Benvenuto Ospite

Forum Entomologi Italiani

www.entomologiitaliani.net/forum
 
Oggi è 30/11/2025, 19:16

Tutti gli orari sono UTC + 1 ora [ ora legale ]

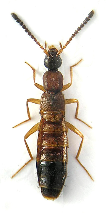
Drusilla canaliculata (Fabricius, 1787) - Staphylinidae Aleocharinae Myrmedoniini

10.IV.2015 - ITALIA - Abruzzo - PE, Micarone, Catignano, 160m, torrente Nora


nuovo argomento
rispondi
Pagina 1 di 1 [ 3 messaggi ]
Autore Messaggio
MessaggioInviato: 17/04/2015, 12:42 
Avatar utente

Iscritto il: 23/06/2010, 19:05
Messaggi: 2588
Località: Pescara
Nome: Alessio Morelli
Altra Drusilla, forse D. canaliculata?

Raccolta sotto alle pietre e ai ciottoli accumulati dal torrente durante l'ultima piena.

5mm

Drusilla 2.jpg


Drusilla 2 edeago.JPG


Drusilla 2 g.JPG



Top
profilo
MessaggioInviato: 17/04/2015, 13:34 
Avatar utente

Iscritto il: 09/11/2009, 14:12
Messaggi: 5158
Località: Hradec Kralove,Czech republik
Nome: Jan Matějíček
Drusilla canaliculata (Fabricius, 1787) - Staphylinidae Aleocharinae Myrmedoniini

_________________
Research Fields
Taxonomy, ecology, biomonitoring , faunistic of Staphylinidae


Top
profilo
MessaggioInviato: 17/04/2015, 17:24 
Avatar utente

Iscritto il: 23/06/2010, 19:05
Messaggi: 2588
Località: Pescara
Nome: Alessio Morelli
Grazie Jan :lov2:


Top
profilo
Visualizza ultimi messaggi:  Ordina per  
nuovo argomento
rispondi
Pagina 1 di 1 [ 3 messaggi ]

Tutti gli orari sono UTC + 1 ora [ ora legale ]


Chi c’è in linea

Visitano il forum: Nessuno e 2 ospiti


Non puoi aprire nuovi argomenti
Non puoi rispondere negli argomenti
Non puoi modificare i tuoi messaggi
Non puoi cancellare i tuoi messaggi
Non puoi inviare allegati

Cerca per:
Vai a: