Forum Entomologi Italiani
https://www.entomologiitaliani.net/public/forum/phpbb3/

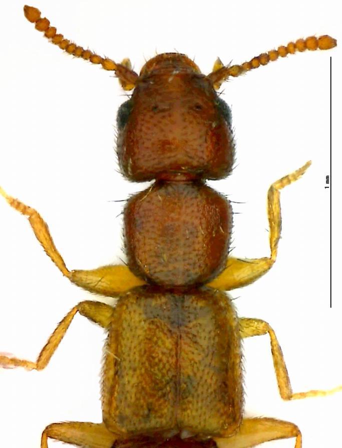
Hypomedon debilicornis (Wollaston, 1857) - Staphylinidae Paederinae
https://www.entomologiitaliani.net/public/forum/phpbb3/viewtopic.php?f=243&t=64027
Pagina 1 di 1

Autore:  Alessio89 [ 12/09/2015, 18:51 ]
Oggetto del messaggio:  Hypomedon debilicornis (Wollaston, 1857) - Staphylinidae Paederinae

Su questo non dovrebbero esserci dubbi perché è l'unico (salvo nuove specie non citate nella Checklist) presente in Italia.
Si tratta di Chloecharis debilicornis (Wollaston, 1857) giusto? :oops:

Grazie :birra:

Raccolto di notte alla lampada UV, sul balcone di casa

Dimensioni: 2,5mm
Staphy 12.jpg


Staphy 12 pronoto.JPG


Staphy 12 segmento genitale.JPG


Autore:  Honza [ 12/09/2015, 19:18 ]
Oggetto del messaggio:  Re: Chloecharis debilicornis (Wollaston, 1857) - Staphylinidae, Paederinae ???

:ok: Hypomedon debilicornis (Wollaston, 1857)
syn. Chloecharis

Allegati:
Hypomedon debilicornis
Hypomedon debilicornis.jpg


Autore:  Alessio89 [ 13/09/2015, 16:48 ]
Oggetto del messaggio:  Re: Hypomedon debilicornis (Wollaston, 1857) - Staphylinidae Paederinae

Grazie anche qui, per la conferma e per la correzione. :ok: :birra:

Pagina 1 di 1 Tutti gli orari sono UTC + 1 ora [ ora legale ]
Powered by phpBB® Forum Software © phpBB Group
http://www.phpbb.com/