Benvenuto Ospite

Forum Entomologi Italiani

www.entomologiitaliani.net/forum
 
Oggi è 22/03/2026, 19:37

Tutti gli orari sono UTC + 1 ora [ ora legale ]

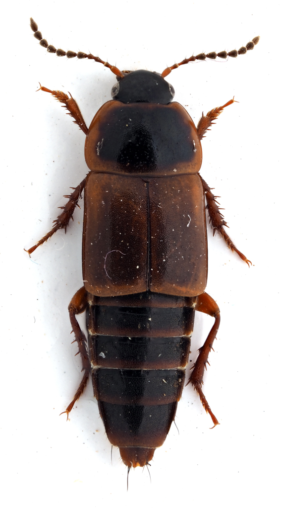
Tachinus humeralis Gravenhorst, 1802 - Staphylinidae

13.VI.2015 - ITALIA - Marche - MC, Esanatoglia


nuovo argomento
rispondi
Pagina 1 di 1 [ 3 messaggi ]
Autore Messaggio
MessaggioInviato: 22/10/2015, 20:15 
Avatar utente

Iscritto il: 10/05/2009, 15:30
Messaggi: 7183
Località: Ancona
Nome: Giacomo Giovagnoli
Mi fermo a Tachyporus... voi andate oltre? :oooner:

Esanatoglia (Macerata); 13.VI.2015; sottobosco umido presso corso d'acqua.

[grazie zio per le foto!!! :birra: ]

Dimensioni: 8mm
CombM1882_22zF3cr.jpg


CombM1883_35zF3cr.jpg


CombM1884_87zF3cr.jpg



Ciao :)

_________________
Immagine Giacomo


Top
profilo
MessaggioInviato: 22/10/2015, 20:29 
Avatar utente

Iscritto il: 09/11/2009, 14:12
Messaggi: 5196
Località: Hradec Kralove,Czech republik
Nome: Jan Matějíček
Tachinus humeralis Gravenhorst, 1802

_________________
Research Fields
Taxonomy, ecology, biomonitoring , faunistic of Staphylinidae


Top
profilo
MessaggioInviato: 22/10/2015, 21:07 
Avatar utente

Iscritto il: 10/05/2009, 15:30
Messaggi: 7183
Località: Ancona
Nome: Giacomo Giovagnoli
Grazie :D

_________________
Immagine Giacomo


Top
profilo
Visualizza ultimi messaggi:  Ordina per  
nuovo argomento
rispondi
Pagina 1 di 1 [ 3 messaggi ]

Tutti gli orari sono UTC + 1 ora [ ora legale ]


Chi c’è in linea

Visitano il forum: Nessuno e 1 ospite


Non puoi aprire nuovi argomenti
Non puoi rispondere negli argomenti
Non puoi modificare i tuoi messaggi
Non puoi cancellare i tuoi messaggi
Non puoi inviare allegati

Cerca per:
Vai a: