Benvenuto Ospite

Forum Entomologi Italiani

www.entomologiitaliani.net/forum
 
Oggi è 14/12/2025, 16:40

Tutti gli orari sono UTC + 1 ora [ ora legale ]

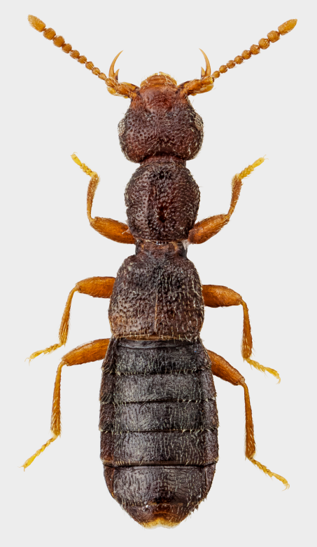
Niphetodes redtenbacheri Miller, 1868 - Staphylinidae Omaliinae Coryphiini Coryphiina

24.VII.2004 - UCRAINA - EE, Carpathians Mountains, Hoverla


nuovo argomento
rispondi
Pagina 1 di 1 [ 1 messaggio ]
Autore Messaggio
MessaggioInviato: 06/03/2018, 13:07 
Avatar utente

Iscritto il: 09/11/2009, 14:12
Messaggi: 5165
Località: Hradec Kralove,Czech republik
Nome: Jan Matějíček
subfamily: Omaliinae Macleay, 1825
tribe: Coryphiini Jakobson, 1908
subtribe: Coryphiina Jakobson, 1908


Niphetodes redtenbacheri Miller, 1868
2,1 mm
sifting under Juniperus


Niphetodes redtenbacheri x No.8.png


_________________
Research Fields
Taxonomy, ecology, biomonitoring , faunistic of Staphylinidae
Top
profilo
Visualizza ultimi messaggi:  Ordina per  
nuovo argomento
rispondi
Pagina 1 di 1 [ 1 messaggio ]

Tutti gli orari sono UTC + 1 ora [ ora legale ]


Chi c’è in linea

Visitano il forum: Nessuno e 1 ospite


Non puoi aprire nuovi argomenti
Non puoi rispondere negli argomenti
Non puoi modificare i tuoi messaggi
Non puoi cancellare i tuoi messaggi
Non puoi inviare allegati

Cerca per:
Vai a: