| Forum Entomologi Italiani https://www.entomologiitaliani.net/public/forum/phpbb3/ |
|
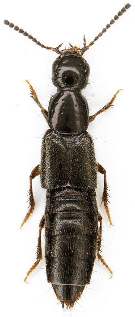
| Philonthus sp. - Staphylinidae. Lazio https://www.entomologiitaliani.net/public/forum/phpbb3/viewtopic.php?f=244&t=11312 |
Pagina 1 di 1 |
| Autore: | Julodis [ 31/08/2010, 0:03 ] |
| Oggetto del messaggio: | Philonthus sp. - Staphylinidae. Lazio |
Altro Staphylinidae sulle sponde del lago. Lazio, Frosinone, Lago di Canterno, 27.VIII.2010, sotto pietra sulle sponde del lago, M. Gigli legit 5,7 mm |
|
| Autore: | Loriscola [ 31/08/2010, 8:42 ] |
| Oggetto del messaggio: | Re: Staphylinidae - Lazio |
Così, tanto per discorrere, mi sembra molto vicino ai Quedius sp.
|
|
| Autore: | Julodis [ 31/08/2010, 8:56 ] |
| Oggetto del messaggio: | Re: Staphylinidae - Lazio |
Loriscola ha scritto: Così, tanto per discorrere, mi sembra molto vicino ai Quedius sp. ![]() E' la prima impressione che ho avuto anche io vedendo le fossette su testa e protorace, ma giusto come impressione da profano. |
|
| Autore: | Honza [ 31/08/2010, 13:20 ] |
| Oggetto del messaggio: | Re: Staphylinidae - Lazio |
Questo non è Quedius essa Philonthus |
|
| Autore: | Julodis [ 31/08/2010, 14:30 ] |
| Oggetto del messaggio: | Re: Staphylinidae - Lazio |
Thank you very much, Jan. |
|
| Pagina 1 di 1 | Tutti gli orari sono UTC + 1 ora [ ora legale ] |
| Powered by phpBB® Forum Software © phpBB Group http://www.phpbb.com/ |
|