Benvenuto Ospite

Forum Entomologi Italiani

www.entomologiitaliani.net/forum
 
Oggi è 01/12/2025, 6:41

Tutti gli orari sono UTC + 1 ora [ ora legale ]

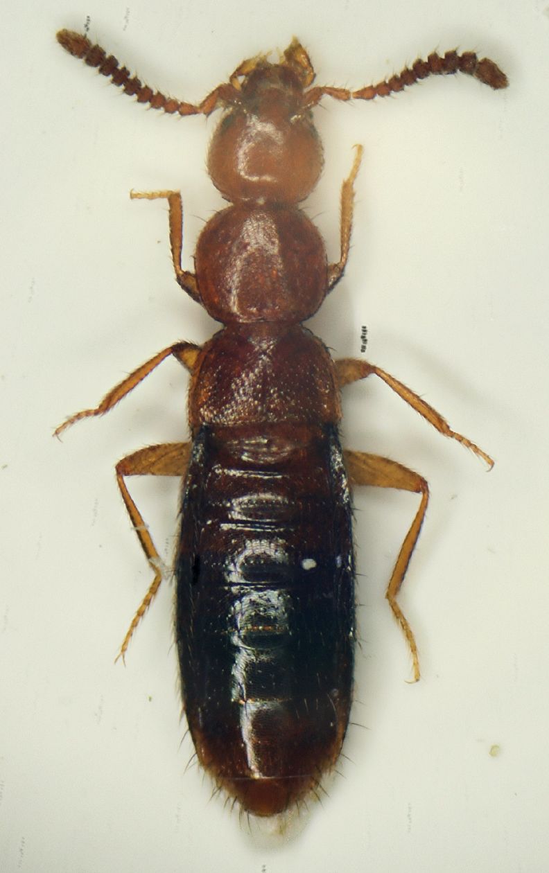
Leptusa sp. - Staphylinidae Aeocharinae

30.X.2011 - ITALIA - Emilia-Romagna - BO, Castel D'Aiano - Roffeno


nuovo argomento
rispondi
Pagina 1 di 1 [ 1 messaggio ]
Autore Messaggio
MessaggioInviato: 12/11/2011, 20:53 
Avatar utente

Iscritto il: 05/02/2009, 17:25
Messaggi: 4894
Località: Zola Predosa (BO)
Nome: Loris Colacurcio
Visti altri precedenti, presumo che il genere sia questo (o almeno sia lì vicino :mrgreen: )

Altra cattura di Roffeno, sempre sotto ai soliti massi interrati, nei pressi di un piccolo ruscello termale....

Lunghezza: ...siamo sui 3 mm

Staphylinide Roffeno.JPG


_________________
Loris


Top
profilo
Visualizza ultimi messaggi:  Ordina per  
nuovo argomento
rispondi
Pagina 1 di 1 [ 1 messaggio ]

Tutti gli orari sono UTC + 1 ora [ ora legale ]


Chi c’è in linea

Visitano il forum: Nessuno e 3 ospiti


Non puoi aprire nuovi argomenti
Non puoi rispondere negli argomenti
Non puoi modificare i tuoi messaggi
Non puoi cancellare i tuoi messaggi
Non puoi inviare allegati

Cerca per:
Vai a:  
cron