Benvenuto Ospite

Forum Entomologi Italiani

www.entomologiitaliani.net/forum
 
Oggi è 23/03/2026, 12:15

Tutti gli orari sono UTC + 1 ora [ ora legale ]

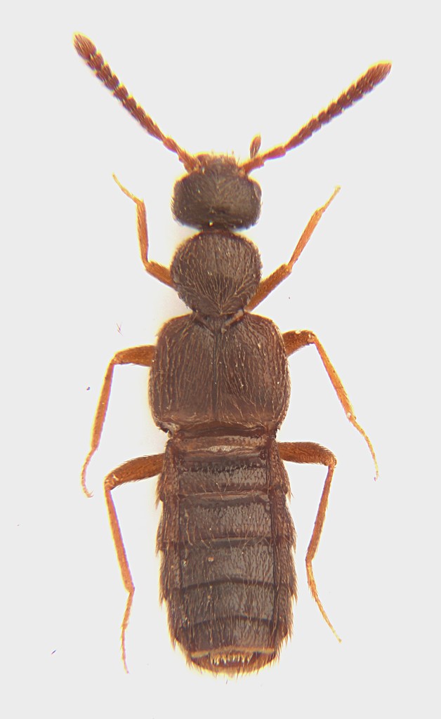
Staphylinidae - Aleocharinae - Falagriini

5.XII.2011 - ITALIA - Lazio - RM, Roma, San Vittorino


nuovo argomento
rispondi
Pagina 1 di 1 [ 2 messaggi ]
Autore Messaggio
MessaggioInviato: 15/12/2011, 18:05 
Avatar utente

Iscritto il: 30/12/2009, 22:20
Messaggi: 31564
Località: Roma
Nome: Maurizio Gigli
Sempre dal solito poliporo. La foto è venuta male, ma è una prova con l'Olympus 4x/0,10 160/-, evidentemente non adatto a questo scopo.

Lazio, Roma, San Vittorino, 5.XII.2011, in un vecchio poliporo alla base di una quercia, M. Gigli legit

2,5 mm
Staphylinidae_SanVittorino_5-XII-2011_2,5mm.jpg



Questo è un particolare della testa, fatto invece col Nikon E Plan LWD 10x/0,25 160/-

Staph_SanVittorino_5-XII-2011_2,5mm.jpg


_________________
Maurizio Gigli
http://utenti.romascuola.net/bups
http://bup.xoom.it/


Top
profilo
 Oggetto del messaggio: Re: Staphylinidae da Poliporo
MessaggioInviato: 15/12/2011, 20:28 
Avatar utente

Iscritto il: 09/11/2009, 14:12
Messaggi: 5196
Località: Hradec Kralove,Czech republik
Nome: Jan Matějíček
Staphylinidae - Aleocharinae - Falagriini

_________________
Research Fields
Taxonomy, ecology, biomonitoring , faunistic of Staphylinidae


Top
profilo
Visualizza ultimi messaggi:  Ordina per  
nuovo argomento
rispondi
Pagina 1 di 1 [ 2 messaggi ]

Tutti gli orari sono UTC + 1 ora [ ora legale ]


Chi c’è in linea

Visitano il forum: Nessuno e 1 ospite


Non puoi aprire nuovi argomenti
Non puoi rispondere negli argomenti
Non puoi modificare i tuoi messaggi
Non puoi cancellare i tuoi messaggi
Non puoi inviare allegati

Cerca per:
Vai a: