Benvenuto Ospite

Forum Entomologi Italiani

www.entomologiitaliani.net/forum
 
Oggi è 30/01/2026, 20:44

Tutti gli orari sono UTC + 1 ora [ ora legale ]

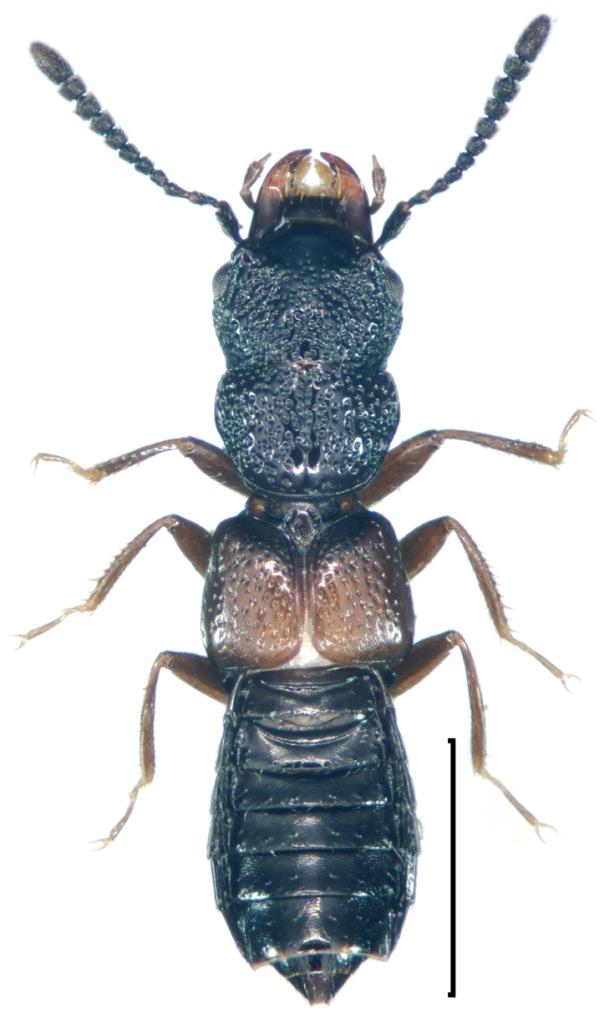
Platystethus sp. - Staphylinidae Oxytelinae Oxytelini

4.III.2012 - ITALIA - Toscana - GR, Oasi wwf San Felice Legit:Bastianini-Nappini


nuovo argomento
rispondi
Pagina 1 di 1 [ 3 messaggi ]
Autore Messaggio
MessaggioInviato: 05/03/2012, 23:10 
Avatar utente

Iscritto il: 10/05/2010, 22:31
Messaggi: 4372
Località: Gavorrano (GR)
Nome: marco bastianini
In trappole aeree in pineta litoranea.Dimensioni mm.4,8.
wwf Staph. 2 mm.4.8..jpg


_________________
:to: Marco
"Le foreste a precedere le civiltà, i deserti a seguire."
François-René de Chateaubriand


Top
profilo
 Oggetto del messaggio: Re: Staphylinidae Toscana
MessaggioInviato: 06/03/2012, 8:53 
Avatar utente

Iscritto il: 09/11/2009, 14:12
Messaggi: 5189
Località: Hradec Kralove,Czech republik
Nome: Jan Matějíček
Platystethus sp. - Oxytelinae - Oxytelini

Platystethus Mannhereim, 1831

Platystethus alutaceus Thomson, 1861 (N, S, Si, Sa)
Platystethus arenarius (Fourcroy, 1785) (N, S, Si, Sa)
Platystethus brevipennis Baudi, 1857 (S, Si, Sa) (*)
Platystethus burlei Brisout, 1861 (N, S, Si)
Platystethus capito Heer, 1839 (N, S, Si?)
Platystethus cornutus (Gravenhorst, 1802) (N, S, Si, Sa)
Platystethus degener Mulsant & Rey, 1879 (N, Si?)
Platystethus laevis Kiesenwetter, 1848 (N, S)
Platystethus nitens (Sahlberg, 1832) (N, S, Si, Sa) (*)
Platystethus nodifrons Mannerheim, 1831 (N, S)
Platystethus rufospinus Hochhuth, 1851 (Si, Sa)
Platystethus spinosus Erichson, 1840 (N, S, Si, Sa)


Platystethus alutaceus Thomson, 1861
Platystethus alutaceus Thomson, 1861.jpg

Platystethus arenarius (Fourcroy, 1785)
Platystethus arenarius (Fourcroy, 1785).jpg

Platystethus capito Heer, 1839
Platystethus capito Heer, 1839.jpg

Platystethus cornutus (Gravenhorst, 1802)
Platystethus cornutus (Gravenhorst, 1802).jpg

Platystethus nitens (Sahlberg, 1832)
Platystethus nitens (Sahlberg, 1832).jpg

Platystethus nodifrons Mannerheim, 1831
Platystethus nodifrons Mannerheim, 1831.jpg

Platystethus spinosus Erichson, 1840
Platystethus spinosus Erichson, 1840.jpg


_________________
Research Fields
Taxonomy, ecology, biomonitoring , faunistic of Staphylinidae
Top
profilo
MessaggioInviato: 06/03/2012, 13:54 
Avatar utente

Iscritto il: 10/05/2010, 22:31
Messaggi: 4372
Località: Gavorrano (GR)
Nome: marco bastianini
Molte grazie Jan
nonostante il tuo contributo credo che al momento non si possa andare oltre Platystethus sp. :hi:

_________________
:to: Marco
"Le foreste a precedere le civiltà, i deserti a seguire."
François-René de Chateaubriand


Top
profilo
Visualizza ultimi messaggi:  Ordina per  
nuovo argomento
rispondi
Pagina 1 di 1 [ 3 messaggi ]

Tutti gli orari sono UTC + 1 ora [ ora legale ]


Chi c’è in linea

Visitano il forum: Nessuno e 1 ospite


Non puoi aprire nuovi argomenti
Non puoi rispondere negli argomenti
Non puoi modificare i tuoi messaggi
Non puoi cancellare i tuoi messaggi
Non puoi inviare allegati

Cerca per:
Vai a: