Benvenuto Ospite

Forum Entomologi Italiani

www.entomologiitaliani.net/forum
 
Oggi è 22/03/2026, 17:59

Tutti gli orari sono UTC + 1 ora [ ora legale ]

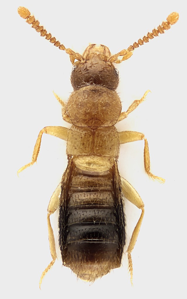
Gen. sp. - Staphylinidae Aleocharinae Aleocharini

17.XI.2012 - ITALIA - Lazio - RM, Cervara di Roma, Campaegli, 1450 m


nuovo argomento
rispondi
Pagina 1 di 1 [ 4 messaggi ]
Autore Messaggio
MessaggioInviato: 17/11/2012, 22:11 
Avatar utente

Iscritto il: 30/12/2009, 22:20
Messaggi: 31564
Località: Roma
Nome: Maurizio Gigli
Oggi, approfittando della giornata che sembrava di sole, sono andato a dare l'ultima occhiata, per quest'anno, tra pascoli e faggete a Campaegli, sull'Appennino laziale, a 75 km da casa mia.
Parto, e dopo pochi minuti evito per un soffio una che faceva una curva contromano mentre parlava al cellulare. Poco prima di Arsoli evito per poco una multa da un autovelox che fà strage di macchine di passaggio. Per fortuna!
Già prima di arrivare a Cervara il tempo era cambiato in brutto, e sui 1200 m era ormai grigio e freddo. Quando sono arrivato alla mia destinazione, a 1450 m, oltre al freddo, pioveva pure, e non c'era in giro assolutamente nulla, e niente nemmeno sotto i sassi (solo una Chrysolina morta). Allora mi sono messo a cercare nella lettiera, vagliando un po' sul posto. Solo 4 Staphylinidi di due specie, di cui questo il più piccolo, che per l'aspetto, le dimensioni ed i movimenti ricordava molto un piccolo Psocottero. Mimetismo per predarli?
Poi mi sono spostato in un altro posto a meno di 1 km, dove in passato avevo trovato parecchie Chrysolina di più specie. Appena mi sono fermato ho sentito uno strano sibilo venire dalla ruota anteriore destra: gomma bucata! Telefono scarico. Niente nelle vicinanze. Per fortuna la gomma di scorta era gonfia! Dopo averla cambiata ho lasciato perdere la ricerca di insetti e sono tornato a Roma, sperando di arrivare prima della chiusura del mio gommista. Sono arrivato 5 minuti dopo che aveva chiuso! Quindi domani meglio se lascio l'auto in garage. Per fortuna ho la vecchia Corsa che funziona ancora!
Sabato 17. E se era venerdì? Per fortuna che non sono superstizioso!

Lazio, Roma, Cervara di Roma, Campaegli, 1450 m, 17.XI.2012, in lettiera di faggeta, M. Gigli legit

1,5 mm
Staphylinidae_Campaegli_17.XI.2012_1,5mm_grey.jpg


_________________
Maurizio Gigli
http://utenti.romascuola.net/bups
http://bup.xoom.it/


Top
profilo
MessaggioInviato: 17/11/2012, 22:35 
Avatar utente

Iscritto il: 09/06/2012, 20:57
Messaggi: 4283
Località: Mesola (FE)
Nome: Daniele Maccapani
:gh:
Dal tuo punto di vista dev'essere stata tutt'altro che una giornata divertente (anzi! :x)... Però il racconto sembra la trama di uno di quei cartoni in cui Paperino parte per una "meravigliosa" vacanza, che invece sarà tutto un susseguirsi di imprevisti! :lol: In questi casi è meglio vederla così, sarà un divertente aneddoto da raccontare in futuro! :D

:hi:

_________________
"Lasciate questo mondo un po' migliore di come lo avete trovato" (Sir Robert Baden Powell)
Immagine Daniele


Top
profilo
MessaggioInviato: 17/11/2012, 22:47 
Avatar utente

Iscritto il: 30/12/2009, 22:20
Messaggi: 31564
Località: Roma
Nome: Maurizio Gigli
Foratura a parte, che capita una volta ogni 10 anni, per il resto è stata una normale giornata. In media, sono più le volte in cui va buca, di quelle in cui si trovano cose interessanti.

_________________
Maurizio Gigli
http://utenti.romascuola.net/bups
http://bup.xoom.it/


Top
profilo
MessaggioInviato: 17/11/2012, 22:49 
Avatar utente

Iscritto il: 05/02/2009, 17:47
Messaggi: 7252
Località: Cagliari
Nome: Piero Leo
Direi tribù Aleocharini.
Julodis ha scritto:
per l'aspetto, le dimensioni ed i movimenti ricordava molto un piccolo Psocottero. Mimetismo per predarli?
Più probabile sia una somiglianza casuale.

:) Ciao
Piero


Top
profilo
Visualizza ultimi messaggi:  Ordina per  
nuovo argomento
rispondi
Pagina 1 di 1 [ 4 messaggi ]

Tutti gli orari sono UTC + 1 ora [ ora legale ]


Chi c’è in linea

Visitano il forum: Nessuno e 1 ospite


Non puoi aprire nuovi argomenti
Non puoi rispondere negli argomenti
Non puoi modificare i tuoi messaggi
Non puoi cancellare i tuoi messaggi
Non puoi inviare allegati

Cerca per:
Vai a: