Benvenuto Ospite

Forum Entomologi Italiani

www.entomologiitaliani.net/forum
 
Oggi è 22/03/2026, 21:16

Tutti gli orari sono UTC + 1 ora [ ora legale ]

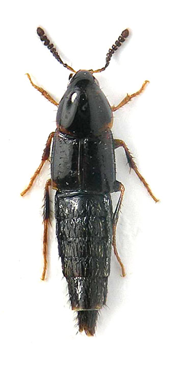
Mycetoporus sp. - Staphylinidae Tachyporinae

3.I.2015 - ITALIA - Abruzzo - PE, Pianella, 220m


nuovo argomento
rispondi
Pagina 1 di 1 [ 7 messaggi ]
Autore Messaggio
MessaggioInviato: 20/01/2015, 13:09 
Avatar utente

Iscritto il: 23/06/2010, 19:05
Messaggi: 2588
Località: Pescara
Nome: Alessio Morelli
Primo Tachyporine da balcone.
Non so come, ma sono riuscito pure ad estrarlo :oooner: .

Grazie :hi:

Dimensioni: 3mm ca.

Staphy 5 Tachyporine.jpg


Lo strano edeago (ammesso che sia l'edeago :? )...
Anzi, ora che ci penso forse non l'ho è affatto. :msic

Staphy 5 Tachyporine edeago.jpg


Staphy 5 Tachyporine uriti.jpg



Top
profilo
MessaggioInviato: 20/01/2015, 13:54 
Avatar utente

Iscritto il: 09/11/2009, 14:12
Messaggi: 5196
Località: Hradec Kralove,Czech republik
Nome: Jan Matějíček
Mycetoporus sp.

_________________
Research Fields
Taxonomy, ecology, biomonitoring , faunistic of Staphylinidae


Top
profilo
MessaggioInviato: 20/01/2015, 14:11 
Avatar utente

Iscritto il: 23/06/2010, 19:05
Messaggi: 2588
Località: Pescara
Nome: Alessio Morelli
Many Thanks Jan :hp:


Top
profilo
MessaggioInviato: 20/01/2015, 16:13 
Avatar utente

Iscritto il: 09/11/2009, 14:12
Messaggi: 5196
Località: Hradec Kralove,Czech republik
Nome: Jan Matějíček
si prega di controllare


Bez názvu.jpg


_________________
Research Fields
Taxonomy, ecology, biomonitoring , faunistic of Staphylinidae
Top
profilo
MessaggioInviato: 20/01/2015, 20:20 
Avatar utente

Iscritto il: 23/06/2010, 19:05
Messaggi: 2588
Località: Pescara
Nome: Alessio Morelli
Yes, Mycetoporus :ok:


DSCN9863.JPG

Top
profilo
MessaggioInviato: 20/01/2015, 21:26 
Avatar utente

Iscritto il: 09/11/2009, 14:12
Messaggi: 5196
Località: Hradec Kralove,Czech republik
Nome: Jan Matějíček
Mycetoporus - Aedoeagus


Mycetoporus.pdf [3.86 MiB]
Scaricato 91 volte

_________________
Research Fields
Taxonomy, ecology, biomonitoring , faunistic of Staphylinidae
Top
profilo
MessaggioInviato: 21/01/2015, 17:05 
Avatar utente

Iscritto il: 23/06/2010, 19:05
Messaggi: 2588
Località: Pescara
Nome: Alessio Morelli
Aedeagus it's very similar at Mycetoporus corpulentus :roll: , but in this key many taxa are not present (M. aequalis, M. boreellus, M. clavicornis, M. erichsonianus, M. gracilis, M. macrocephalus, M. pollinensis, etc...) :oops: .


Mycetoporus edeago 1.jpg

Mycetoporus edeago 2.jpg


Stacking it's very problematic :dead:
Mycetoporus edeago 3.jpg



Top
profilo
Visualizza ultimi messaggi:  Ordina per  
nuovo argomento
rispondi
Pagina 1 di 1 [ 7 messaggi ]

Tutti gli orari sono UTC + 1 ora [ ora legale ]


Chi c’è in linea

Visitano il forum: Nessuno e 1 ospite


Non puoi aprire nuovi argomenti
Non puoi rispondere negli argomenti
Non puoi modificare i tuoi messaggi
Non puoi cancellare i tuoi messaggi
Non puoi inviare allegati

Cerca per:
Vai a: