Benvenuto Ospite

Forum Entomologi Italiani

www.entomologiitaliani.net/forum
 
Oggi è 22/03/2026, 19:32

Tutti gli orari sono UTC + 1 ora [ ora legale ]

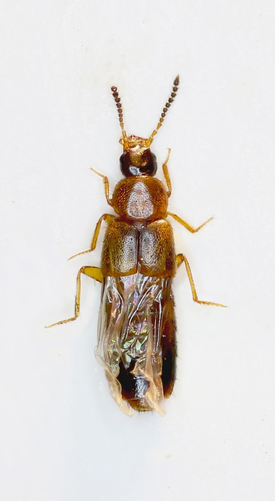
Plataraea sp. - Staphylinidae

8.V.2015 - GERMANIA - EE, Northeim


nuovo argomento
rispondi
Pagina 1 di 1 [ 3 messaggi ]
Autore Messaggio
 Oggetto del messaggio: Plataraea sp. - Staphylinidae
MessaggioInviato: 16/05/2015, 17:26 
Avatar utente

Iscritto il: 31/07/2014, 16:09
Messaggi: 619
Località: Northeim, Lower Saxony, Germany
Nome: Alex Hasenkampf
Germany 8.05.15 4mm


df.jpg

Top
profilo
 Oggetto del messaggio: Re: Staphylinidae sp. ?
MessaggioInviato: 18/05/2015, 18:28 
Avatar utente

Iscritto il: 31/07/2014, 16:09
Messaggi: 619
Località: Northeim, Lower Saxony, Germany
Nome: Alex Hasenkampf
Plataraea cf. brunnea


Top
profilo
 Oggetto del messaggio: Re: Staphylinidae sp. ?
MessaggioInviato: 22/05/2015, 13:31 
 

Iscritto il: 02/11/2010, 22:33
Messaggi: 991
Nome: Aleksei Kovalev
I can't speak for species, but definitely Plataraea


Top
profilo
Visualizza ultimi messaggi:  Ordina per  
nuovo argomento
rispondi
Pagina 1 di 1 [ 3 messaggi ]

Tutti gli orari sono UTC + 1 ora [ ora legale ]


Chi c’è in linea

Visitano il forum: Nessuno e 2 ospiti


Non puoi aprire nuovi argomenti
Non puoi rispondere negli argomenti
Non puoi modificare i tuoi messaggi
Non puoi cancellare i tuoi messaggi
Non puoi inviare allegati

Cerca per:
Vai a: