| Autore |
Messaggio |
|
Alessio89
|
Inviato: 18/03/2015, 0:04 |
|
Iscritto il: 23/06/2010, 19:05 Messaggi: 2591 Località: Pescara
Nome: Alessio Morelli
|
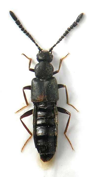
Oooh, finalmente un maschio di "questi", vediamo se con l'edeago si riesce a dire qualcosa in più  . Raccolto a vista sul balcone. Grazie per l'aiuto 4mm
|
|
| Top |
|
 |
|
AetherisIgnis
|
Inviato: 18/03/2015, 5:13 |
|
Iscritto il: 02/11/2010, 22:33 Messaggi: 991
Nome: Aleksei Kovalev
|
C. ? muensteri/? obscurus/? atricollis - impossible to tell more from the pic 
|
|
| Top |
|
 |
|
Honza
|
Inviato: 18/03/2015, 15:14 |
|
Iscritto il: 09/11/2009, 14:12 Messaggi: 5199 Località: Hradec Kralove,Czech republik
Nome: Jan Matějíček
|
|
Callicerus atricollis Aubé, 1850 (N, S) Callicerus gagliardii Scheerpeltz, 1957 (N) probabilmente no Callicerus kaufmanni Eppelsheim, 1887 (S, Sa) Callicerus muensteri Bernhauer, 1900 (S) [E] Callicerus obscurus Gravenhorst, 1802 (N, S, Si) probabilmente no Callicerus rigidicornis (Erichson, 1839) (N?, S?, Si?, Sa?) (*) probabilmente no Callicerus stolfai Scheerpeltz, 1957 (S) [E]
Callicerus rigidicornis (Erichson, 1839)

|
Callicerus rigidicornis (Erichson, 1839)

|
Callicerus obscurus Gravenhorst, 1802

|
Callicerus obscurus Gravenhorst, 1802

|
_________________ Research Fields Taxonomy, ecology, biomonitoring , faunistic of Staphylinidae
|
|
| Top |
|
 |
|
Daniele Maccapani
|
Inviato: 18/03/2015, 18:51 |
|
Iscritto il: 09/06/2012, 20:57 Messaggi: 4283 Località: Mesola (FE)
Nome: Daniele Maccapani
|
Fino a qualche tempo fa si prendeva in giro il Paglia dicendo che per cercare insetti praticamente non doveva nemmeno uscire di casa... Stai cercando di prendere il suo posto?! 
_________________ "Lasciate questo mondo un po' migliore di come lo avete trovato" (Sir Robert Baden Powell) Daniele
|
|
| Top |
|
 |
|
Alessio89
|
Inviato: 18/03/2015, 19:33 |
|
Iscritto il: 23/06/2010, 19:05 Messaggi: 2591 Località: Pescara
Nome: Alessio Morelli
|
Se può essere utile  ... Have you the bibliographic reference for Callicerus kaufmanni Eppelsheim, 1887 and C. stolfai Scheerpeltz, 1957? Both very kind 
|
|
| Top |
|
 |
|
Alessio89
|
Inviato: 18/03/2015, 19:35 |
|
Iscritto il: 23/06/2010, 19:05 Messaggi: 2591 Località: Pescara
Nome: Alessio Morelli
|
Daniele Maccapani ha scritto: Fino a qualche tempo fa si prendeva in giro il Paglia dicendo che per cercare insetti praticamente non doveva nemmeno uscire di casa... Stai cercando di prendere il suo posto?!  ci provo, soltanto che le bestie che raccolgo io sono "qualitativamente" diverse  .
|
|
| Top |
|
 |
|
Honza
|
Inviato: 18/03/2015, 19:51 |
|
Iscritto il: 09/11/2009, 14:12 Messaggi: 5199 Località: Hradec Kralove,Czech republik
Nome: Jan Matějíček
|
|
ora Pseudosemiris kaufmanni (Eppelsheim, 1887)
Schwarz, Fld. braun oder rotbraun, F. hell rostrot, B. rotgelb. K. und Hsdt. dicht chagriniert. völlig matt. K. mit kleinen vorspringenden Augen, etwas schmäler als der schwach quere Hsch., Fld. bedeutend länger und breiter als der Hsch .. K. sehr fein und wenig didtt, Hsdt. deutlidter und dichter raspelig -punktiert, Fld. ziemlich dicht körnig punktiert. Hlb. glänzend fein und weitläufig, nach hinten spärlicher punktiert. F. und Tr. lang und schlank, 1. Gld. der H.Tr. länger als das 2., mittl. F.Gld. schlank, das Endgld. auffällig langgestreckt, so lang wie die 3 vorhergehenden zusammengenommen. 3,5-4 mm. Seltenheit, aus S.O.E. ins südöstl. M.E. einstrahlend, nordwestlich bis nach Sachsen nachgewiesen...................................................... . 1 kaufmanni (Epph.)
Schwarz, Fld. braun oder rotbraun, F. hell rostrot, B. rotgelb. Nero, Fld. marrone o bruno-rossastro, F. luminoso rosso ruggine, come rosso-giallo.

|
_________________ Research Fields Taxonomy, ecology, biomonitoring , faunistic of Staphylinidae
|
|
| Top |
|
 |
|
AetherisIgnis
|
Inviato: 18/03/2015, 20:38 |
|
Iscritto il: 02/11/2010, 22:33 Messaggi: 991
Nome: Aleksei Kovalev
|
This is not Pseudosemiris, note dilated penultimate maxillar palpomeres! 
|
|
| Top |
|
 |
|
Honza
|
Inviato: 18/03/2015, 21:52 |
|
Iscritto il: 09/11/2009, 14:12 Messaggi: 5199 Località: Hradec Kralove,Czech republik
Nome: Jan Matějíček
|
|
It was not determination but the only description of this species. - Pseudosemiris kaufmanni (Eppelsheim, 1887)
_________________ Research Fields Taxonomy, ecology, biomonitoring , faunistic of Staphylinidae
|
|
| Top |
|
 |
|
Honza
|
Inviato: 19/03/2015, 8:05 |
|
Iscritto il: 09/11/2009, 14:12 Messaggi: 5199 Località: Hradec Kralove,Czech republik
Nome: Jan Matějíček
|
secondo la pubblicazione Assing 2001 Callicerus obscurus Gravenhorst, 1802 = Callicerus stolfai Scheerpeltz, 1957 syn.Penso che questo tipo di Callicerus atricollis Aubé, 1850 e questo anche viewtopic.php?f=11&t=59179&hilit=callicerus
Callicerus atricollis Aubé, 1850

|
_________________ Research Fields Taxonomy, ecology, biomonitoring , faunistic of Staphylinidae
|
|
| Top |
|
 |
|
Alessio89
|
Inviato: 19/03/2015, 16:12 |
|
Iscritto il: 23/06/2010, 19:05 Messaggi: 2591 Località: Pescara
Nome: Alessio Morelli
|
AetherisIgnis ha scritto: Pseudosemiris (kaufmanni), note dilated penultimate maxillar palpomeres Honza ha scritto: secondo la pubblicazione Assing 2001
Callicerus obscurus Gravenhorst, 1802 = Callicerus stolfai Scheerpeltz, 1957 syn. Honza ha scritto: Callicerus atricollis Aubé, 1850 (N, S) Callicerus gagliardii Scheerpeltz, 1957 (N) probabilmente no Callicerus kaufmanni Eppelsheim, 1887 (S, Sa) Callicerus muensteri Bernhauer, 1900 (S) [E] Callicerus obscurus Gravenhorst, 1802 (N, S, Si) probabilmente no Callicerus rigidicornis (Erichson, 1839) (N?, S?, Si?, Sa?) (*) probabilmente no Callicerus stolfai Scheerpeltz, 1957 (S) [E] I controlled the Assing publication. The apical antennomeres (male and female), setae of apical lobe of paramere, internal structures of aedeagus, spermathecae of female, correspond! Also for me Callicerus atricollis Aubé, 1850 Thank you 
|
|
| Top |
|
 |
|
Honza
|
Inviato: 19/03/2015, 16:28 |
|
Iscritto il: 09/11/2009, 14:12 Messaggi: 5199 Località: Hradec Kralove,Czech republik
Nome: Jan Matějíček
|
|
Nuova check - list per l'Italia
Callicerus Gravenhorst, 1802 Callicerus atricollis Aubé, 1850 (N, S, Si) Callicerus fulvicornis Eppelsheim, 1883 (N) = Callicerus gagliardii Scheerpeltz, 1957 syn. Callicerus muensteri Bernhauer, 1900 (N, S) Callicerus obscurus Gravenhorst, 1802 (N, S, Si) = Callicerus stolfai Scheerpeltz, 1957 syn. Callicerus rigidicornis (Erichson, 1839) (N, S) Pseudosemiris Machulka, 1935 Pseudosemiris kaufmanni Eppelsheim, 1887 (S, Sa) Pseudosemiris zanettii Assing, 2001 (Si)
_________________ Research Fields Taxonomy, ecology, biomonitoring , faunistic of Staphylinidae
|
|
| Top |
|
 |
|
f.izzillo
|
Inviato: 19/03/2015, 17:22 |
|
Iscritto il: 22/12/2009, 13:31 Messaggi: 9646 Località: Napoli
Nome: Francesco Izzillo
|
Alessio89 ha scritto: AetherisIgnis ha scritto: Pseudosemiris (kaufmanni), note dilated penultimate maxillar palpomeres Honza ha scritto: secondo la pubblicazione Assing 2001
Callicerus obscurus Gravenhorst, 1802 = Callicerus stolfai Scheerpeltz, 1957 syn. Honza ha scritto: Callicerus atricollis Aubé, 1850 (N, S) Callicerus gagliardii Scheerpeltz, 1957 (N) probabilmente no Callicerus kaufmanni Eppelsheim, 1887 (S, Sa) Callicerus muensteri Bernhauer, 1900 (S) [E] Callicerus obscurus Gravenhorst, 1802 (N, S, Si) probabilmente no Callicerus rigidicornis (Erichson, 1839) (N?, S?, Si?, Sa?) (*) probabilmente no Callicerus stolfai Scheerpeltz, 1957 (S) [E] I controlled the Assing publication. The apical antennomeres (male and female), setae of apical lobe of paramere, internal structures of aedeagus, spermathecae of female, correspond! Also for me Callicerus atricollis Aubé, 1850 Thank you  Ciao Alessio, mi pare di capire che gli Stafilini ti interessano; io ne incontro ogni tanto anche di molto piccoli, se vuoi te li tengo da parte, fammi sapere. 
_________________ Francesco Izzillo
|
|
| Top |
|
 |
|
Alessio89
|
Inviato: 19/03/2015, 18:14 |
|
Iscritto il: 23/06/2010, 19:05 Messaggi: 2591 Località: Pescara
Nome: Alessio Morelli
|
f.izzillo ha scritto: Ciao Alessio, mi pare di capire che gli Stafilini ti interessano; io ne incontro ogni tanto anche di molto piccoli, se vuoi te li tengo da parte, fammi sapere. Ti rispondo per mp 
|
|
| Top |
|
 |
|
Daniele Maccapani
|
Inviato: 19/03/2015, 19:59 |
|
Iscritto il: 09/06/2012, 20:57 Messaggi: 4283 Località: Mesola (FE)
Nome: Daniele Maccapani
|
Rispondi per mp alla stessa domanda pure a me! 
_________________ "Lasciate questo mondo un po' migliore di come lo avete trovato" (Sir Robert Baden Powell) Daniele
|
|
| Top |
|
 |
|