| Autore |
Messaggio |
|
Julodis
|
Inviato: 28/03/2010, 22:47 |
|
Iscritto il: 30/12/2009, 22:20 Messaggi: 31564 Località: Roma
Nome: Maurizio Gigli
|
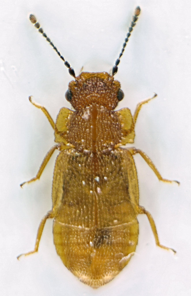
Coppia di una specie che non conosco, e neppure la famiglia, anche se ho qualche sospetto. Sempre dai muschi. Lazio, Roma, San Gregorio, 400 m, 19.III.2010, M. Gigli legit 3,5 mm (quello con le zampe curve, che presumo sia il maschio) 3,3 mm (quello con le zampe dritte, che presumo sia femmina)
|
|
| Top |
|
 |
|
Maurizio Bollino
|
Inviato: 28/03/2010, 22:51 |
|
Iscritto il: 25/11/2009, 9:31 Messaggi: 8158 Località: Lecce
Nome: Maurizio Bollino
|
|
Questa storia dei muschi e della loro fauna per me comincia ad essere un mistero. Ho voluto provare anche io a campionare dei muschi, prelevati in più punti di una fitta lecceta (scegliendo, dove possibile, le zone più in ombra ed umide), ma, a parte delle formiche piccolissime e molti Collemboli, non ho trovato un coleottero che fosse uno!!!!!
_________________ Maurizio Bollino
|
|
| Top |
|
 |
|
Notoxus59
|
Inviato: 28/03/2010, 22:57 |
|
Iscritto il: 06/02/2009, 9:03 Messaggi: 6379 Località: Bubano di Mordano (Bologna)
Nome: Augusto Degiovanni
|
A mè sembra tanto uno Stafilinidae 
|
|
| Top |
|
 |
|
Julodis
|
Inviato: 28/03/2010, 23:59 |
|
Iscritto il: 30/12/2009, 22:20 Messaggi: 31564 Località: Roma
Nome: Maurizio Gigli
|
Notoxus59 ha scritto: A mè sembra tanto uno Stafilinidae  In senso lato anche a me, ma credo sia una di quelle ex famigliole che sono state riunite appunto con gli stafilinidi
|
|
| Top |
|
 |
|
Coleoptera
|
Inviato: 29/03/2010, 0:08 |
|
Iscritto il: 21/01/2010, 18:04 Messaggi: 99
Nome: Nando
|
|
Maurizio (Bollino), ti ho già detto diversi anni fa (Università di Lecce....) che nelle nostre leccete non c'é praticamente niente. Ne ho sondate almeno 5-6 quando studiavo gli Agathidiini. Diverso é il caso delle quercete (tipo San Basilio). Maurizio (Gigli) la tua foto si riferisce a uno Staphylinidae "non transitato"; al momento non ricordo il nome del genere né posso guardarmi oltre 100 scatole ma é sempre stato uno Staphylinidae che spesso trovo anche nei detriti (vinacce, mandorle, erba secca).
Saluti
|
|
| Top |
|
 |
|
Julodis
|
Inviato: 29/03/2010, 0:28 |
|
Iscritto il: 30/12/2009, 22:20 Messaggi: 31564 Località: Roma
Nome: Maurizio Gigli
|
Coleoptera ha scritto: Maurizio (Gigli) la tua foto si riferisce a uno Staphylinidae "non transitato"; al momento non ricordo il nome del genere né posso guardarmi oltre 100 scatole ma é sempre stato uno Staphylinidae che spesso trovo anche nei detriti (vinacce, mandorle, erba secca).
Saluti Grazie. Sempre meglio che non saperne nulla. In effetti in mezzo al muschio c'erano anche parecchi resti di erbe secche dell'anno precedente. Magari stavano lì dentro. Strana questa cosa delle leccete pugliesi! Anche qui ho notato che nella lettiera delle leccete c'è meno (forse a causa dei tegumenti coriacei delle foglie di Quercus ilex? O perchè si tratta di boschi generalmente più aridi?), ma qualcosa si trova comunque.
|
|
| Top |
|
 |
|
Hemerobius
|
Inviato: 29/03/2010, 6:46 |
|
Iscritto il: 02/02/2009, 23:32 Messaggi: 5645 Località: da Ferrara ad Alghero
Nome: Roberto A. Pantaleoni
|
Bisogna considerare che la lecceta è un tipico esempio di bosco climax "povero", più povero degli stadi precedenti di evoluzione dell'ecosistema. A detta dei botanici essa è floristicamente "esigua" a causa del forte potere ombreggiante del leccio e probabilmente anche la micro-fauna ne subisce le conseguenze. Questo è un caso in cui un ambiente leggermente disturbato, per le "teoria del medio disturbo", aumenta la propria biodiversità. Sarei anche curioso di vedere cosa succederebbe/succede in leccete annose, con alberi vecchi e deperienti, anziché questi cedui vigorosi con cui abbiamo normalmente a che fare. Ciao Roberto 
_________________ verum stabile cetera fumus
|
|
| Top |
|
 |
|
Honza
|
Inviato: 29/03/2010, 7:44 |
|
Iscritto il: 09/11/2009, 14:12 Messaggi: 5196 Località: Hradec Kralove,Czech republik
Nome: Jan Matějíček
|
|
Credo che Metopsia clypeata (Müller, 1821)
Metopsia Wollaston, 1854 Metopsia clypeata (Müller, 1821) (N, S, Si) Metopsia refusa (Stephens, 1834) (Sa)
_________________ Research Fields Taxonomy, ecology, biomonitoring , faunistic of Staphylinidae
|
|
| Top |
|
 |
|
Julodis
|
Inviato: 29/03/2010, 8:20 |
|
Iscritto il: 30/12/2009, 22:20 Messaggi: 31564 Località: Roma
Nome: Maurizio Gigli
|
Thank you very much for the identification, Hradec! Hemerobius ha scritto: Bisogna considerare che la lecceta è un tipico esempio di bosco climax "povero", più povero degli stadi precedenti di evoluzione dell'ecosistema. A detta dei botanici essa è floristicamente "esigua" a causa del forte potere ombreggiante del leccio e probabilmente anche la micro-fauna ne subisce le conseguenze. Questo è un caso in cui un ambiente leggermente disturbato, per le "teoria del medio disturbo", aumenta la propria biodiversità. Sarei anche curioso di vedere cosa succederebbe/succede in leccete annose, con alberi vecchi e deperienti, anziché questi cedui vigorosi con cui abbiamo normalmente a che fare. Ciao Roberto  Sicuramente la lecceta pura è un ambiente motono, almeno quando è fitta e si è al suo interno. Per certi aspetti la paragonerei a certi boschi di peccio (assonanza a parte). Comunque mi sembra strano che, così come ha una ricca fauna di xilofagi, non si sia sviluppata una altrettanto ricca fauna della lettiera. Forse hai ragione tu, e bisognerebbe vedere cosa c'è nelle leccete veramente vecchie, purtroppo quasi inesistenti. Per quel che ne so, a parte singoli alberi superstiti, le nostre leccete sono praticamente tutte con meno di 65 anni di età perchè, almeno nel Lazio, durante la seconda guerra mondiale sono state praticamente ridotte a nulla, o comunque fortemente soggette al taglio. Sul Monte Scalambra, dove c'è ora una bella lecceta (ma poverissima anche come xilofagi, a parte specie banali), che tra l'altro è una delle più alte del Lazio, visto che arriva sui 1200 m di quota, forse più, negli anni '40 e '50 c'era rimasto ben poco, e poi si è ripresa in seguito. Dubito faccia bene alla diversità biologica. Comunque, come per ogni altro bosco, la ricchezza di specie aumenta decisamente nelle zone marginali, sia tra le piante, sia tra i funghi, sia ovviamente tra gli insetti. Se poi si cercano Buprestidi, larve o adulti che siano, a meno di poter volare,  inutile addentrarsi nel bosco, lecceta in particolare.
|
|
| Top |
|
 |
|
Coleoptera
|
Inviato: 29/03/2010, 12:30 |
|
Iscritto il: 21/01/2010, 18:04 Messaggi: 99
Nome: Nando
|
|
Parlavo di leccete salentine perché per esempio quelle dell'Aspromonte, intorno ai 400-800 mslm, non hanno nulla da invidiare ai boschi di altre latifoglie, anzi, specie come le Langelandia si raccolgono solo in lecceta. Alla luce dei miei oltre 30 anni di esperienza con il vaglio in tutta Italia e Isole direi che la lecceta, nei posti giusti, ha circa il 20% in meno di fauna di altri boschi, in particolare faggete, ma per contro annovera specie peculiari e molto spesso endemiche (Geostiba sul Circeo e Gargano, ecc.).
Saluti
|
|
| Top |
|
 |
|
Maurizio Bollino
|
Inviato: 29/03/2010, 12:34 |
|
Iscritto il: 25/11/2009, 9:31 Messaggi: 8158 Località: Lecce
Nome: Maurizio Bollino
|
Coleoptera ha scritto: Parlavo di leccete salentine perché per esempio quelle dell'Aspromonte, intorno ai 400-800 mslm, non hanno nulla da invidiare ai boschi di altre latifoglie, anzi, specie come le Langelandia si raccolgono solo in lecceta. Alla luce dei miei oltre 30 anni di esperienza con il vaglio in tutta Italia e Isole direi che la lecceta, nei posti giusti, ha circa il 20% in meno di fauna di altri boschi, in particolare faggete, ma per contro annovera specie peculiari e molto spesso endemiche (Geostiba sul Circeo e Gargano, ecc.).
Saluti E ti pareva che il Salento non fosse "sfigato" anche in questo? Una terra povera di entomofauna, con pochi ambienti ancora integri (semmai ce ne fossero...), impatto antropico devastante ovunque, abusivismo che deturpa quel poco di naturale che esisteva fino a 10-15 anni! 
_________________ Maurizio Bollino
|
|
| Top |
|
 |
|
Glaphyrus
|
Inviato: 29/03/2010, 12:40 |
|
Iscritto il: 05/02/2009, 17:28 Messaggi: 3228
Nome: Marco Uliana
|
Coleoptera ha scritto: specie come le Langelandia si raccolgono solo in lecceta. nel meridione forse? Dalle mie parti le raccolgo anche sui suoli alluvionali della gronda lagunare veneta, lungo le siepi che delimitano i campi coltivati.
|
|
| Top |
|
 |
|