Forum Entomologi Italiani
https://www.entomologiitaliani.net/public/forum/phpbb3/

Staphylinidae sp.
https://www.entomologiitaliani.net/public/forum/phpbb3/viewtopic.php?f=244&t=65833
Pagina 1 di 1

Autore:  marco villa [ 23/12/2015, 19:42 ]
Oggetto del messaggio:  Staphylinidae sp.

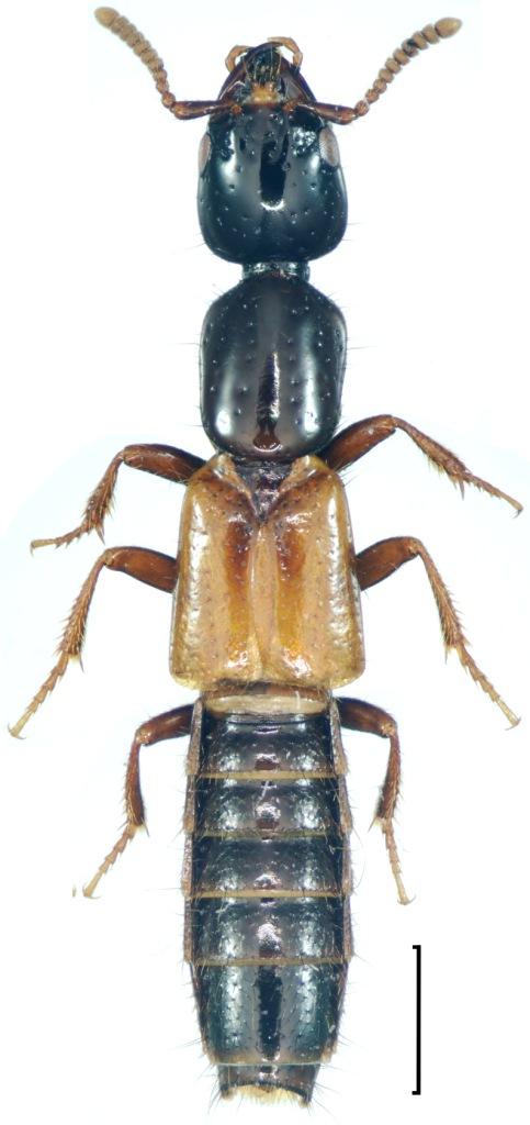
Questo Xantholinino è caduto in trappola insieme ad altri Staphylinidi. La suddetta trappola era al suolo, ai margini di un prato erboso, e conteneva aceto e succo di frutto (+ sale). Le antenne sembrano proprio da Hypnogyra angularis. Il capo è pressoché liscio, con dei finissimi puntini quasi impercettibili.
Si può confermare?
Metto il mese senza il giorno perché le trappole dove ho raccolto gli esemplari sono rimaste attive per circa due settimane.
dicembre2015 038.JPG


:hi:
P.S.: il dato è interessante dato che per la ZPS di Mezzano non erano stati segnalati Xantholinini.

Autore:  Honza [ 23/12/2015, 20:00 ]
Oggetto del messaggio:  Re: Hypnogyra angularis?

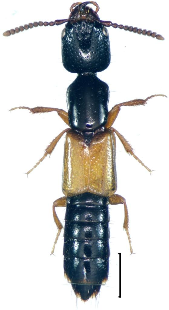
sicuramente non Hypnogyra
confrontare
con la foto

Hypnogyra angularis (Ganglbauer, 1895)
= glabra (Nordmann, 1837)

Allegati:
angulari (2).jpg

angulari.jpg

angulari (3).jpg


Autore:  marco villa [ 24/12/2015, 10:12 ]
Oggetto del messaggio:  Re: Hypnogyra angularis?

Hai ragione! La mia non ha quei punti sul capo, che invece è quasi liscio. Il colore sembra identico.

Autore:  Honza [ 24/12/2015, 10:36 ]
Oggetto del messaggio:  Re: Hypnogyra angularis?

e che cosa è questo?
Xantholinus (Helicophallus) distans Mulsant & Rey, 1853

Allegati:
distans - Kopie (2).jpg

distans - Kopie.jpg

distans.jpg


Autore:  marco villa [ 24/12/2015, 10:38 ]
Oggetto del messaggio:  Re: Hypnogyra angularis?

Grazie, il mio però ha capo e pronoto neri lucidi.
:hi:

Autore:  Entoandrea [ 24/12/2015, 10:55 ]
Oggetto del messaggio:  Re: Hypnogyra angularis?

Potrebbe essere Nudobius lentus (Gravenhorst,1806) :roll:


Ciao :hi:
Andrea :)

Autore:  Honza [ 24/12/2015, 11:07 ]
Oggetto del messaggio:  Re: Hypnogyra angularis?

sicuramente non
Nudobius lentus (Gravenhorst, 1806)

Allegati:
lentus.jpg

lentus - Kopie.jpg

lentus - Kopie (2).jpg


Pagina 1 di 1 Tutti gli orari sono UTC + 1 ora [ ora legale ]
Powered by phpBB® Forum Software © phpBB Group
http://www.phpbb.com/