Benvenuto Ospite

Forum Entomologi Italiani

www.entomologiitaliani.net/forum
 
Oggi è 09/05/2026, 15:52

Tutti gli orari sono UTC + 1 ora [ ora legale ]

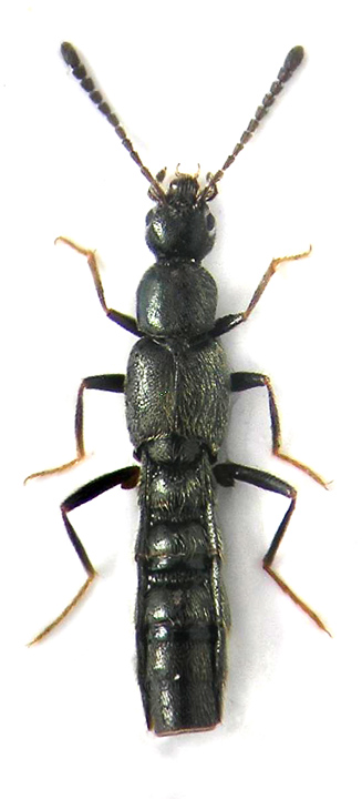
Tachyusa sp. - Staphylinidae Aleocharinae

20.III.2016 - ITALIA - Emilia-Romagna - FE, Bosco di Porporana, sponda del fiume Po, D. Maccapani leg.


nuovo argomento
rispondi
Pagina 1 di 1 [ 2 messaggi ]
Autore Messaggio
MessaggioInviato: 30/04/2016, 21:35 
Avatar utente

Iscritto il: 23/06/2010, 19:05
Messaggi: 2591
Località: Pescara
Nome: Alessio Morelli
Staphylinidi ferraresi :sma:

"Para" una "ocyusa" ma è una Tachyusa :vism
(non fateci caso mi sono impazzito a forza di estrarre stafilinidi :rey ).

Grazie Daniele :lov2:

"sponda del Po, fra detriti"
Dimensioni: 3 mm
Tachyusa.jpg


Tachyusa - testa.JPG


edeago e parameri (l'edeago è un po' malconcio :sick: )
Tachyusa - edeago e parameri.JPG



Top
profilo
MessaggioInviato: 30/04/2016, 23:30 
Avatar utente

Iscritto il: 09/11/2009, 14:12
Messaggi: 5199
Località: Hradec Kralove,Czech republik
Nome: Jan Matějíček
Pronotum wider than long, moderately convex; elytra as
long as wide; aedeagus as in Figs 25–26, spermatheca as in
Fig. 27. Distribution: Palaearctic.......................
........................... T. objecta Mulsant & Rey


Pronotum glossy but without metallic lustre; male and
female tergite VIII straight; apex of median lobe of adeagus
not hooked in lateral view (Fig. 10); aedeagus as in Figs
10–11, spermatheca as in Fig. 12. Distribution: Palaearctic. .
............................... T. coarctata Erichson


Tachyusa.pdf [714.99 KiB]
Scaricato 119 volte
Bez názvu.jpg


_________________
Research Fields
Taxonomy, ecology, biomonitoring , faunistic of Staphylinidae
Top
profilo
Visualizza ultimi messaggi:  Ordina per  
nuovo argomento
rispondi
Pagina 1 di 1 [ 2 messaggi ]

Tutti gli orari sono UTC + 1 ora [ ora legale ]


Chi c’è in linea

Visitano il forum: Nessuno e 1 ospite


Non puoi aprire nuovi argomenti
Non puoi rispondere negli argomenti
Non puoi modificare i tuoi messaggi
Non puoi cancellare i tuoi messaggi
Non puoi inviare allegati

Cerca per:
Vai a: