Benvenuto Ospite

Forum Entomologi Italiani

www.entomologiitaliani.net/forum
 
Oggi è 14/12/2025, 5:03

Tutti gli orari sono UTC + 1 ora [ ora legale ]

Lordithon sp. - Staphylinidae

14.XI.2018 - ITALIA - Sardegna - CA, Monte Uda - Barrali


nuovo argomento
rispondi
Pagina 1 di 1 [ 7 messaggi ]
Autore Messaggio
 Oggetto del messaggio: Lordithon sp. - Staphylinidae
MessaggioInviato: 21/11/2018, 19:39 
 

Iscritto il: 30/12/2014, 18:57
Messaggi: 1027
Nome: Adriana Lecis
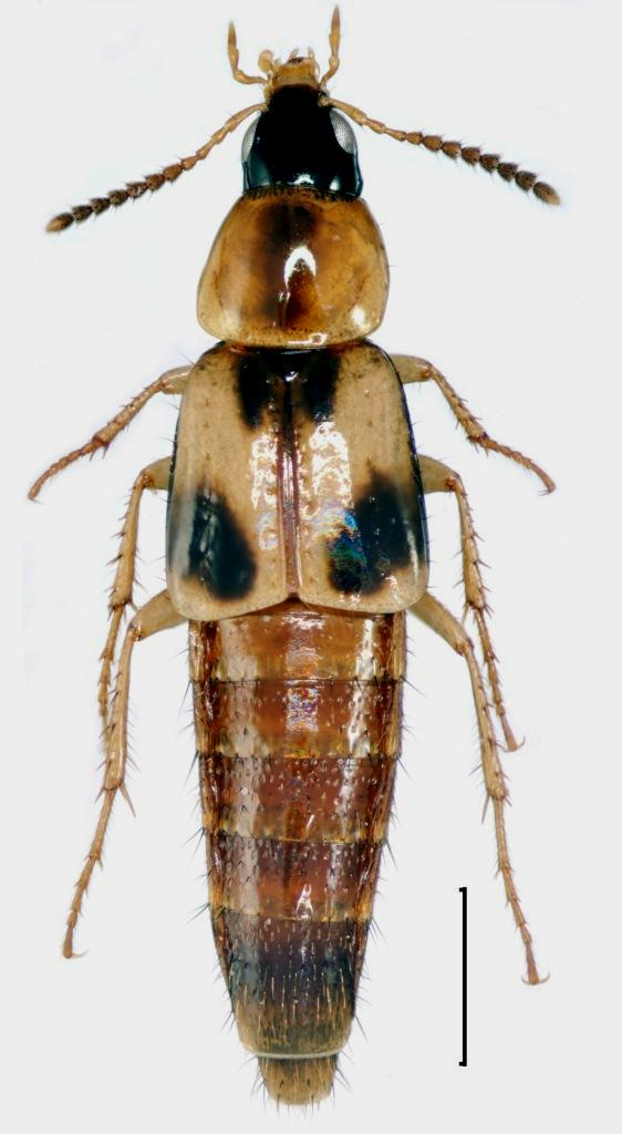
Salve! L'ho trovato dentro un fungo, probabilmente un pinarolo, misura circa 4 mm. :roll: :roll: :roll:


2018-11-21 18-16-26 (B,Radius8,Smoothing4).jpg

2018-11-20 16-30-05 (B,Radius8,Smoothing4).jpg

Top
profilo
 Oggetto del messaggio: Re: Determinazione Staphylinidae
MessaggioInviato: 21/11/2018, 23:07 
 

Iscritto il: 02/11/2010, 22:33
Messaggi: 991
Nome: Aleksei Kovalev
Lordithon bimaculatus/trinotatus/thoracicus/etc.
:hi:


Top
profilo
 Oggetto del messaggio: Re: Determinazione Staphylinidae
MessaggioInviato: 22/11/2018, 8:33 
 

Iscritto il: 30/12/2014, 18:57
Messaggi: 1027
Nome: Adriana Lecis
Grazie! Per la Sardegna la vecchia checklist segnala 3 Lordithon: exoletus, lunulatus e thoracicus, molto probabilmente è proprio quest'ultimo! Buona giornata! :hi: :hi: :hi:


Top
profilo
 Oggetto del messaggio: Re: Determinazione Staphylinidae
MessaggioInviato: 22/11/2018, 11:35 
Avatar utente

Iscritto il: 09/11/2009, 14:12
Messaggi: 5164
Località: Hradec Kralove,Czech republik
Nome: Jan Matějíček
confrontare con l'immagine

Lordithon thoracicus (Fabricius, 1777)


L thoracicus.jpg

L exoletus.jpg


_________________
Research Fields
Taxonomy, ecology, biomonitoring , faunistic of Staphylinidae
Top
profilo
 Oggetto del messaggio: Re: Determinazione Staphylinidae
MessaggioInviato: 22/11/2018, 11:45 
Avatar utente

Iscritto il: 09/11/2009, 14:12
Messaggi: 5164
Località: Hradec Kralove,Czech republik
Nome: Jan Matějíček
altre specie


L. trinotatus
L trinotatus.jpg

L. bimaculatus
L bimaculatus.jpg


_________________
Research Fields
Taxonomy, ecology, biomonitoring , faunistic of Staphylinidae
Top
profilo
 Oggetto del messaggio: Re: Determinazione Staphylinidae
MessaggioInviato: 22/11/2018, 17:15 
 

Iscritto il: 30/12/2014, 18:57
Messaggi: 1027
Nome: Adriana Lecis
Grazie Jan! Bellissime foto, molto esaurienti, nei prossimi giorni posterò altre specie......Devo mettere in evidenza qualche dettaglio in particolare? :lov1: :lov1: :lov1:


Top
profilo
 Oggetto del messaggio: Re: Determinazione Staphylinidae
MessaggioInviato: 22/11/2018, 18:41 
Avatar utente

Iscritto il: 09/11/2009, 14:12
Messaggi: 5164
Località: Hradec Kralove,Czech republik
Nome: Jan Matějíček
Die Käfer Mitteleuropas 4 Staphylinidae


Die Käfer Mitteleuropas 4 Staphylinidae I - 154.jpg

Die Käfer Mitteleuropas 4 Staphylinidae I - 155.jpg

Die Käfer Mitteleuropas 4 Staphylinidae I - 156.jpg

Die Käfer Mitteleuropas 4 Staphylinidae I - 157.jpg

Die Käfer Mitteleuropas 4 Staphylinidae I - 158.jpg


_________________
Research Fields
Taxonomy, ecology, biomonitoring , faunistic of Staphylinidae
Top
profilo
Visualizza ultimi messaggi:  Ordina per  
nuovo argomento
rispondi
Pagina 1 di 1 [ 7 messaggi ]

Tutti gli orari sono UTC + 1 ora [ ora legale ]


Chi c’è in linea

Visitano il forum: Nessuno e 1 ospite


Non puoi aprire nuovi argomenti
Non puoi rispondere negli argomenti
Non puoi modificare i tuoi messaggi
Non puoi cancellare i tuoi messaggi
Non puoi inviare allegati

Cerca per:
Vai a:  
cron