Benvenuto Ospite

Forum Entomologi Italiani

www.entomologiitaliani.net/forum
 
Oggi è 01/12/2025, 6:47

Tutti gli orari sono UTC + 1 ora [ ora legale ]

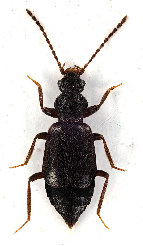
Lesteva sp. - Staphylinidae Omalinae Omaliini

6.X.2019 - ITALIA - Marche - PU, Passo Cantoniera, Carpegna


nuovo argomento
rispondi
Pagina 1 di 1 [ 4 messaggi ]
Autore Messaggio
MessaggioInviato: 10/11/2019, 23:22 
Avatar utente

Iscritto il: 10/05/2009, 15:30
Messaggi: 7182
Località: Ancona
Nome: Giacomo Giovagnoli
Passo Cantoniera, Carpegna (Pesaro/Urbino); 06.X.2019
In cavità umidissima alla base di un grosso faggio.

Chi è???

[grazie zio per le foto!!! :birra: ]
Comb2859-33zL3cr.jpg



Ciao :)

_________________
Immagine Giacomo


Top
profilo
 Oggetto del messaggio: Re: Staphylinidae da ID
MessaggioInviato: 11/11/2019, 10:55 
Avatar utente

Iscritto il: 05/02/2010, 19:48
Messaggi: 354
Nome: andrea bramanti
Genere: Lesteva ....specie più difficile!


Top
profilo
 Oggetto del messaggio: Re: Staphylinidae da ID
MessaggioInviato: 11/11/2019, 11:25 
Avatar utente

Iscritto il: 09/11/2009, 14:12
Messaggi: 5158
Località: Hradec Kralove,Czech republik
Nome: Jan Matějíček
femmina
:?
Lesteva monticola Kiesenwetter, 1847
viewtopic.php?f=243&t=45327&hilit=Lesteva

Lesteva omissa Mulsant & Rey, 1880
viewtopic.php?f=243&t=35657&hilit=Lesteva

_________________
Research Fields
Taxonomy, ecology, biomonitoring , faunistic of Staphylinidae


Top
profilo
 Oggetto del messaggio: Re: Staphylinidae da ID
MessaggioInviato: 11/11/2019, 19:56 
Avatar utente

Iscritto il: 10/05/2009, 15:30
Messaggi: 7182
Località: Ancona
Nome: Giacomo Giovagnoli
Se a qualcuno interessa vedo di rimediarne altri perché devo tornare sul posto a controllare le trappole.

_________________
Immagine Giacomo


Top
profilo
Visualizza ultimi messaggi:  Ordina per  
nuovo argomento
rispondi
Pagina 1 di 1 [ 4 messaggi ]

Tutti gli orari sono UTC + 1 ora [ ora legale ]


Chi c’è in linea

Visitano il forum: Nessuno e 1 ospite


Non puoi aprire nuovi argomenti
Non puoi rispondere negli argomenti
Non puoi modificare i tuoi messaggi
Non puoi cancellare i tuoi messaggi
Non puoi inviare allegati

Cerca per:
Vai a:  
cron