Benvenuto Ospite

Forum Entomologi Italiani

www.entomologiitaliani.net/forum
 
Oggi è 23/03/2026, 19:18

Tutti gli orari sono UTC + 1 ora [ ora legale ]

Xantholinus sp. - Staphylinidae

18.XI.2020 - ITALIA - Sardegna - CA, Snnai - Arcu de su crabiolu


nuovo argomento
rispondi
Pagina 1 di 1 [ 9 messaggi ]
Autore Messaggio
 Oggetto del messaggio: Xantholinus sp. - Staphylinidae
MessaggioInviato: 14/04/2022, 17:24 
 

Iscritto il: 30/12/2014, 18:57
Messaggi: 1027
Nome: Adriana Lecis
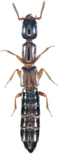
Salve! Potrebbe essere una Luzea nigritula? Misura circa 6 mm. :roll: :roll: :roll:


b44.jpg

b33.jpg

b22.jpg

b11.jpg

Top
profilo
 Oggetto del messaggio: Re: Determinazione Staphylinidae
MessaggioInviato: 14/04/2022, 19:45 
 

Iscritto il: 10/07/2010, 14:42
Messaggi: 4866
Nome: Giuseppe Pace
E' uno Xantholininae.

Ciao
Giuseppe


Top
profilo
 Oggetto del messaggio: Re: Determinazione Staphylinidae
MessaggioInviato: 15/04/2022, 8:09 
 

Iscritto il: 30/12/2014, 18:57
Messaggi: 1027
Nome: Adriana Lecis
Grazie Giuseppe, con queste foto così scadenti, si riesce a determinare il genere? :roll: Buona giornata! :hi: :hi: :hi:


Top
profilo
 Oggetto del messaggio: Re: Determinazione Staphylinidae
MessaggioInviato: 15/04/2022, 15:04 
Avatar utente

Iscritto il: 09/11/2009, 14:12
Messaggi: 5196
Località: Hradec Kralove,Czech republik
Nome: Jan Matějíček
Adriana si prega di confrontare


Xantholinus longiventris Heer, 1839
Xantholinus longiventris .jpg

b11.jpg

longiventris.jpg


_________________
Research Fields
Taxonomy, ecology, biomonitoring , faunistic of Staphylinidae
Top
profilo
 Oggetto del messaggio: Re: Determinazione Staphylinidae
MessaggioInviato: 15/04/2022, 15:34 
 

Iscritto il: 30/12/2014, 18:57
Messaggi: 1027
Nome: Adriana Lecis
Ciao Jan, si, vedo chiaramente la fila di punti parallela alle elitre e altri punti confusi sugli omeri e lungo il bordo delle elitre.
Quindi potrebbe essere proprio il X. longiventris. Le zampe, le antenne e le elitre sono brunicce. Grazie, sempre gentile e preciso! :lov1: :lov1:


Top
profilo
 Oggetto del messaggio: Re: Determinazione Staphylinidae
MessaggioInviato: 15/04/2022, 15:41 
 

Iscritto il: 30/12/2014, 18:57
Messaggi: 1027
Nome: Adriana Lecis
Piccolo problema: per la vecchia checklist non è presente in Sardegna. :roll: :roll: :roll:


Top
profilo
 Oggetto del messaggio: Re: Determinazione Staphylinidae
MessaggioInviato: 15/04/2022, 16:10 
Avatar utente

Iscritto il: 09/11/2009, 14:12
Messaggi: 5196
Località: Hradec Kralove,Czech republik
Nome: Jan Matějíček
Adriana49 ha scritto:
Piccolo problema: per la vecchia checklist non è presente in Sardegna. :roll: :roll: :roll:


non significa niente, ho raccolto in Sardegna Megalinus hesperius Erichson, 1839, Phacophalus japonicus Cameron, 1933 (det. A.Bordoni) anche non elencato in Sardegna.

viewtopic.php?f=243&t=96823&hilit=Megalinus
viewtopic.php?f=243&t=96824&hilit=Phacophalus

_________________
Research Fields
Taxonomy, ecology, biomonitoring , faunistic of Staphylinidae


Top
profilo
 Oggetto del messaggio: Re: Determinazione Staphylinidae
MessaggioInviato: 15/04/2022, 16:49 
 

Iscritto il: 30/12/2014, 18:57
Messaggi: 1027
Nome: Adriana Lecis
Grazie Jan, so che la vecchia checklist non è aggiornata.....ne ho l'ennesima conferma! :lov1:


Top
profilo
 Oggetto del messaggio: Re: Determinazione Staphylinidae
MessaggioInviato: 15/04/2022, 17:40 
Avatar utente

Iscritto il: 09/11/2009, 14:12
Messaggi: 5196
Località: Hradec Kralove,Czech republik
Nome: Jan Matějíček
Un'altra possibilità è che sia l'unica specie conosciuta della Sardegna Xantholinus sardous Gridelli, 1947 ,Non ho questa specie, non posso confrontare.


b11.jpg


_________________
Research Fields
Taxonomy, ecology, biomonitoring , faunistic of Staphylinidae
Top
profilo
Visualizza ultimi messaggi:  Ordina per  
nuovo argomento
rispondi
Pagina 1 di 1 [ 9 messaggi ]

Tutti gli orari sono UTC + 1 ora [ ora legale ]


Chi c’è in linea

Visitano il forum: Nessuno e 1 ospite


Non puoi aprire nuovi argomenti
Non puoi rispondere negli argomenti
Non puoi modificare i tuoi messaggi
Non puoi cancellare i tuoi messaggi
Non puoi inviare allegati

Cerca per:
Vai a: