Benvenuto Ospite

Forum Entomologi Italiani

www.entomologiitaliani.net/forum
 
Oggi è 31/03/2026, 6:09

Tutti gli orari sono UTC + 1 ora [ ora legale ]

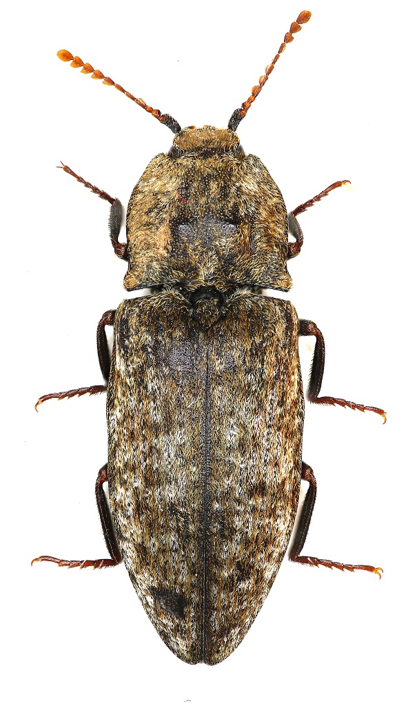
Agrypnus murinus (Linnaeus, 1758) - Elateridae

21.VI.2015 - GERMANIA - EE, Northeim


nuovo argomento
rispondi
Pagina 1 di 1 [ 3 messaggi ]
Autore Messaggio
MessaggioInviato: 25/06/2015, 18:43 
Avatar utente

Iscritto il: 31/07/2014, 16:09
Messaggi: 619
Località: Northeim, Lower Saxony, Germany
Nome: Alex Hasenkampf
Agrypnus murina (Linnaeus, 1758) ? 14mm


r.jpg

Top
profilo
 Oggetto del messaggio: Re: Agrypnus murina ?
MessaggioInviato: 26/06/2015, 12:00 
Avatar utente

Iscritto il: 24/09/2009, 20:40
Messaggi: 1956
Nome: Giuseppe Platia
:hp: :hp: Agrypnus murinus (Linnaeus, 1758)

:hi: :hi:


Top
profilo
 Oggetto del messaggio: Re: Agrypnus murina ?
MessaggioInviato: 26/06/2015, 16:22 
Avatar utente

Iscritto il: 31/07/2014, 16:09
Messaggi: 619
Località: Northeim, Lower Saxony, Germany
Nome: Alex Hasenkampf
:ok: :hi:
Фдуч


Top
profilo
Visualizza ultimi messaggi:  Ordina per  
nuovo argomento
rispondi
Pagina 1 di 1 [ 3 messaggi ]

Tutti gli orari sono UTC + 1 ora [ ora legale ]


Chi c’è in linea

Visitano il forum: Nessuno e 3 ospiti


Non puoi aprire nuovi argomenti
Non puoi rispondere negli argomenti
Non puoi modificare i tuoi messaggi
Non puoi cancellare i tuoi messaggi
Non puoi inviare allegati

Cerca per:
Vai a:  
cron