Benvenuto Ospite

Forum Entomologi Italiani

www.entomologiitaliani.net/forum
 
Oggi è 21/04/2026, 17:10

Tutti gli orari sono UTC + 1 ora [ ora legale ]

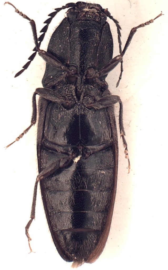
Hemicrepidius hirtus (Herbst, 1784) - Elateridae

10.VII.1985 - ITALIA - Valle d'Aosta - AO, Valtournenche - 1700m


nuovo argomento
rispondi
Pagina 1 di 1 [ 4 messaggi ]
Autore Messaggio
MessaggioInviato: 13/03/2016, 13:15 
 

Iscritto il: 13/11/2011, 13:51
Messaggi: 961
Nome: Paolo Bigliani
Ciao

Questo Elateridae ...... :roll: :roll: :roll:
Non ne ho idea

A vederlo dall'esterno direi Anostirus (magari sulphuripennis - Germar, 1843), ma l'edeago non gli assomiglia per niente :roll: :roll: :roll: e mi sembra più da Athous :roll: :roll: :roll:

A vedere il pronoto e le antenne l'insetto sembra essere nato con varie malformazioni
Potrebbe essere un ibrido?
Lunghezza = 13mm

Grazie per l'aiuto e buona Domenica

Paolo

A 3.jpg



A 6.jpg



A 4.jpg



A 7.jpg



A 8.jpg



A 5.jpg



A 1.jpg



A 2.jpg



Top
profilo
 Oggetto del messaggio: Re: Elateridae da identificare
MessaggioInviato: 13/03/2016, 15:51 
Avatar utente

Iscritto il: 05/02/2009, 17:44
Messaggi: 2699
Località: Garbagnate Milanese
Nome: Augusto Franzini
Anostirus no di certo: giustamente l'edeago è diversissimo e le antenne del maschio avrebbero le lamelle.
A costo di prendere :no1: :no1: :no1: :no1: :no1: mazzate, io azzardo un Hemicrepidius hirtus colorato in modo un po' strano... che poi non sarebbe tanto lontano dagli Athous.
Ma è meglio sentire l'Esperto.
:hi:

_________________
Augusto (aug)
Prediction is very difficult, especially about the future (Niels Bohr, fisico)


Top
profilo
 Oggetto del messaggio: Re: Elateridae da identificare
MessaggioInviato: 13/03/2016, 19:18 
Avatar utente

Iscritto il: 24/09/2009, 20:40
Messaggi: 1956
Nome: Giuseppe Platia
:hi: :hi: giusto Augusto, è un Hemicrepidius hirtus (Herbst, 1784)"malamente" sfarfallato!

:hi: :hi:


Top
profilo
 Oggetto del messaggio: Re: Elateridae da identificare
MessaggioInviato: 13/03/2016, 19:21 
 

Iscritto il: 13/11/2011, 13:51
Messaggi: 961
Nome: Paolo Bigliani
Grazie a entrambi

Mi prendo io le mazzate :no1:

Buona serata

Paolo


Top
profilo
Visualizza ultimi messaggi:  Ordina per  
nuovo argomento
rispondi
Pagina 1 di 1 [ 4 messaggi ]

Tutti gli orari sono UTC + 1 ora [ ora legale ]


Chi c’è in linea

Visitano il forum: Nessuno e 1 ospite


Non puoi aprire nuovi argomenti
Non puoi rispondere negli argomenti
Non puoi modificare i tuoi messaggi
Non puoi cancellare i tuoi messaggi
Non puoi inviare allegati

Cerca per:
Vai a: