Benvenuto Ospite

Forum Entomologi Italiani

www.entomologiitaliani.net/forum
 
Oggi è 31/03/2026, 6:02

Tutti gli orari sono UTC + 1 ora [ ora legale ]

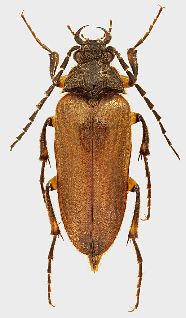
Cebrio (Cebrio) benedicti Fairmaire, 1849 - Elateridae Cebrioninae

13.XI.2016 - ITALIA - Sicilia - TP, Valderice, 100 m


nuovo argomento
rispondi
Pagina 1 di 1 [ 4 messaggi ]
Autore Messaggio
MessaggioInviato: 28/12/2016, 23:44 
Avatar utente

Iscritto il: 30/12/2009, 22:20
Messaggi: 31564
Località: Roma
Nome: Maurizio Gigli
Ecco un altro Cebrio, questa volta siciliano.

Sicilia, Trapani, Valderice, 100 m, 13.XI.2016, S. Gigli legit
19,5 mm
Cebrio_Trapani_13-XI-2016_19,5mm_grey.jpg


_________________
Maurizio Gigli
http://utenti.romascuola.net/bups
http://bup.xoom.it/


Top
profilo
MessaggioInviato: 29/12/2016, 0:01 
Avatar utente

Iscritto il: 30/12/2009, 22:20
Messaggi: 31564
Località: Roma
Nome: Maurizio Gigli
Noto ora una piccola teratologia all'antenna sinistra.

_________________
Maurizio Gigli
http://utenti.romascuola.net/bups
http://bup.xoom.it/


Top
profilo
MessaggioInviato: 29/12/2016, 0:46 
Avatar utente

Iscritto il: 30/12/2010, 11:51
Messaggi: 4548
Località: San Giovanni Valdarno (AR)
Nome: Giovanni Altadonna
Non vorrei sparare cavolate vista l'ora tarda, ma mi sembra si tratti di

Cebrio benedicti Fairmaire, 1849 - Cebrionidae (= C. benoiti)

Specie endemica di Sicilia, la cui fenologia è legata alle precipitazioni autunnali.

Buona notte... :)

_________________
"L' uomo che è cieco alle bellezze della natura ha perduto metà del piacere di vivere"
Sir Robert Baden Powell

Giovanni Altadonna


Top
profilo
MessaggioInviato: 29/12/2016, 8:15 
Avatar utente

Iscritto il: 30/12/2009, 22:20
Messaggi: 31564
Località: Roma
Nome: Maurizio Gigli
Lucanus tetraodon ha scritto:
Non vorrei sparare cavolate vista l'ora tarda, ma mi sembra si tratti di
Cebrio benedicti Fairmaire, 1849 - Cebrionidae (= C. benoiti)

Sembra identico all'esemplare di questa discussione, tra l'altro preso ad una decina di km da questo (questi). Dalla stessa discussione vedo che già allora mio fratello mi aveva portato qualche esemplare (immagino impreparabile, poichè allora li buttava direttamente in alcool), di cui mi ero completamente dimenticato.
Stavolta, per fortuna, aveva un barattolo con l'etere, per cui, quando mia cognata, inizialmente poco convinta, per la superficiale somiglianza con dei Blattodei, ne ha trovati alcuni sulla porta d'ingresso di casa, l'ha usato.

Leggendo quest'altra discussione ci si rende invece conto di quanto siano cambiati gli interventi sui Cebrio del nostro Roberto in questi 6 anni!

_________________
Maurizio Gigli
http://utenti.romascuola.net/bups
http://bup.xoom.it/


Top
profilo
Visualizza ultimi messaggi:  Ordina per  
nuovo argomento
rispondi
Pagina 1 di 1 [ 4 messaggi ]

Tutti gli orari sono UTC + 1 ora [ ora legale ]


Chi c’è in linea

Visitano il forum: Nessuno e 2 ospiti


Non puoi aprire nuovi argomenti
Non puoi rispondere negli argomenti
Non puoi modificare i tuoi messaggi
Non puoi cancellare i tuoi messaggi
Non puoi inviare allegati

Cerca per:
Vai a:  
cron