Benvenuto Ospite

Forum Entomologi Italiani

www.entomologiitaliani.net/forum
 
Oggi è 20/11/2025, 19:04

Tutti gli orari sono UTC + 1 ora [ ora legale ]

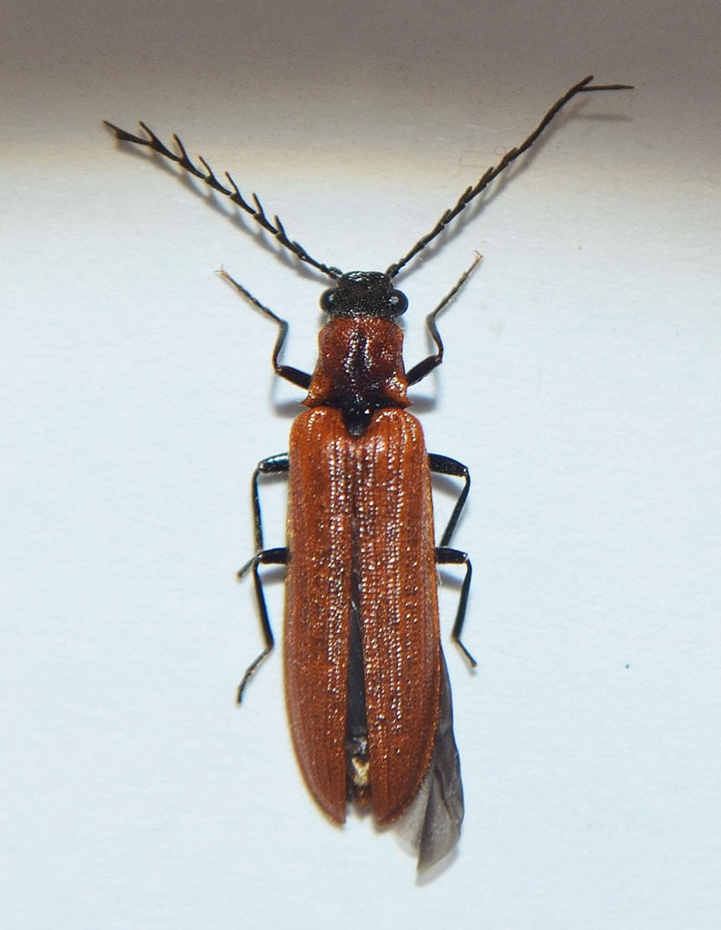
Denticollis rubens Piller & Mitterpacher, 1783 - Elateridae

7.V.2017 - ITALIA - Toscana - FI, Badia a Passignano


nuovo argomento
rispondi
Pagina 1 di 1 [ 5 messaggi ]
Autore Messaggio
MessaggioInviato: 15/02/2018, 20:38 
Avatar utente

Iscritto il: 25/04/2016, 19:02
Messaggi: 889
Località: Scandicci
Nome: Carlos R. de Queros
Determinato in passato come Pyrochroa serraticornis , rosso e con quelle antenne mi pareva ovvio :oops: :ses :ses

Ma pur essendo così caratteristico non riesco a dargli un nome a questo simpatico esserino,
Lycidae? Omalisidae? Drilidae?
:? :?

11mm

Grazie in anticipo!


DSC_0314.JPG

DSC_0289.JPG



Ultima modifica di Dicomed il 15/02/2018, 20:56, modificato 1 volta in totale.
Top
profilo
 Oggetto del messaggio: Re: Elateroidea
MessaggioInviato: 15/02/2018, 20:49 
Avatar utente

Iscritto il: 18/06/2009, 16:54
Messaggi: 1093
Località: Casalecchio di Reno (BO)
Nome: Iuri Zappi
Penso questo:
viewtopic.php?f=251&t=74728&hilit=Denticollis
ma aspetta chi di Elateridae ne capisce.

_________________
:hi: :hi: :hi:
Iuri


Top
profilo
 Oggetto del messaggio: Re: Elateroidea
MessaggioInviato: 15/02/2018, 20:55 
Avatar utente

Iscritto il: 25/04/2016, 19:02
Messaggi: 889
Località: Scandicci
Nome: Carlos R. de Queros
:lol: Molto simile si, sembra proprio lui
Cambio in tanto il titolo visto che ancora posso farlo
:birra:
Grazie Iuri!


Top
profilo
MessaggioInviato: 16/02/2018, 8:45 
Avatar utente

Iscritto il: 10/04/2016, 14:33
Messaggi: 1174
Località: Guidonia Montecelio (RM)
Nome: Edoardo Pulvirenti
È lui :ok:

_________________
”Da un grande potere derivano grandi responsabilità”
-Ben Parker


EDOARDO PULVIRENTI


Top
profilo
MessaggioInviato: 16/02/2018, 21:18 
Avatar utente

Iscritto il: 25/04/2016, 19:02
Messaggi: 889
Località: Scandicci
Nome: Carlos R. de Queros
:birra: Grazie Edo!


Top
profilo
Visualizza ultimi messaggi:  Ordina per  
nuovo argomento
rispondi
Pagina 1 di 1 [ 5 messaggi ]

Tutti gli orari sono UTC + 1 ora [ ora legale ]


Chi c’è in linea

Visitano il forum: Nessuno e 5 ospiti


Non puoi aprire nuovi argomenti
Non puoi rispondere negli argomenti
Non puoi modificare i tuoi messaggi
Non puoi cancellare i tuoi messaggi
Non puoi inviare allegati

Cerca per:
Vai a: