Benvenuto Ospite

Forum Entomologi Italiani

www.entomologiitaliani.net/forum
 
Oggi è 20/04/2026, 21:12

Tutti gli orari sono UTC + 1 ora [ ora legale ]

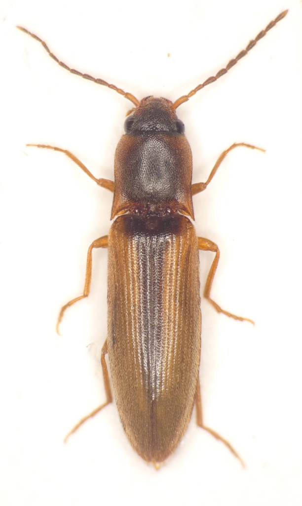
Dalopius marginatus (Linnaeus, 1758) - Elateridae

3.VI.2018 - ITALIA - Calabria - RC, Caulonia Marina


nuovo argomento
rispondi
Pagina 1 di 1 [ 3 messaggi ]
Autore Messaggio
MessaggioInviato: 16/06/2018, 16:45 
 

Iscritto il: 14/10/2011, 14:54
Messaggi: 226
Località: Castelnuovo Bocca d'Adda (LO)
Nome: Luciano Arcorace
Questo è arrivato alla luce
l'ambiente circostante è caratterizzato da campi argillosi, calanchi e a non troppa distanza una fiumara

mm 8


elateride caulonia 1.jpg


_________________
Ciao Lucio
Top
profilo
 Oggetto del messaggio: Re: elateride - Calabria
MessaggioInviato: 16/06/2018, 19:22 
Avatar utente

Iscritto il: 24/09/2009, 20:40
Messaggi: 1956
Nome: Giuseppe Platia
:hp: :hp: Dalopius marginatus (L.), maschio.

:hi: :hi:


Top
profilo
 Oggetto del messaggio: Re: elateride - Calabria
MessaggioInviato: 17/06/2018, 0:09 
 

Iscritto il: 14/10/2011, 14:54
Messaggi: 226
Località: Castelnuovo Bocca d'Adda (LO)
Nome: Luciano Arcorace
Grazie :birra:

_________________
Ciao Lucio


Top
profilo
Visualizza ultimi messaggi:  Ordina per  
nuovo argomento
rispondi
Pagina 1 di 1 [ 3 messaggi ]

Tutti gli orari sono UTC + 1 ora [ ora legale ]


Chi c’è in linea

Visitano il forum: Nessuno e 2 ospiti


Non puoi aprire nuovi argomenti
Non puoi rispondere negli argomenti
Non puoi modificare i tuoi messaggi
Non puoi cancellare i tuoi messaggi
Non puoi inviare allegati

Cerca per:
Vai a: