Benvenuto Ospite

Forum Entomologi Italiani

www.entomologiitaliani.net/forum
 
Oggi è 26/05/2026, 22:50

Tutti gli orari sono UTC + 1 ora [ ora legale ]

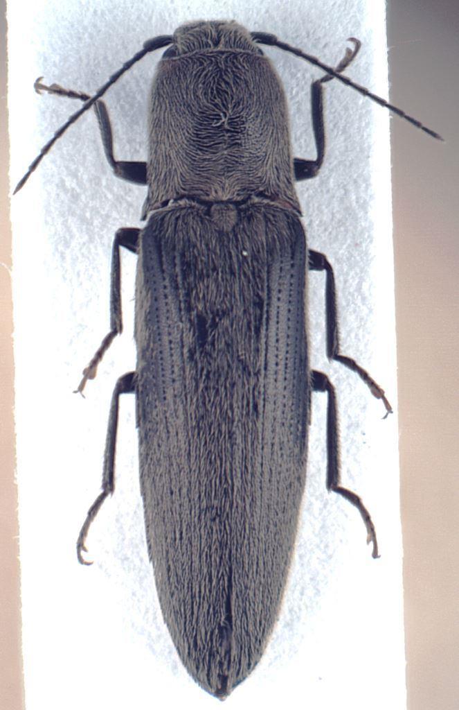
Synaptus filiformis (Fabricius, 1781) - Elateridae

7.VI.2019 - ITALIA - Piemonte - TO, Carmagnola


nuovo argomento
rispondi
Pagina 1 di 1 [ 3 messaggi ]
Autore Messaggio
MessaggioInviato: 15/06/2019, 15:04 
 

Iscritto il: 13/11/2011, 13:51
Messaggi: 961
Nome: Paolo Bigliani
Ciao

Credo possa essere Synaptus filiformis (Fabricius, 1781)
Lunghezza = 11mm

Grazie per l'aiuto

Buon fine settimana :hi: :hi: :hi:

Paolo

A 3.jpg



A 4.jpg



A 1.jpg



A 2.jpg



Top
profilo
 Oggetto del messaggio: Re: Elateridae da identificare
MessaggioInviato: 16/06/2019, 7:59 
Avatar utente

Iscritto il: 10/04/2016, 14:33
Messaggi: 1174
Località: Guidonia Montecelio (RM)
Nome: Edoardo Pulvirenti
Ciao! È un Synaptus filiformis :hi:

_________________
”Da un grande potere derivano grandi responsabilità”
-Ben Parker


EDOARDO PULVIRENTI


Top
profilo
 Oggetto del messaggio: Re: Elateridae da identificare
MessaggioInviato: 16/06/2019, 8:24 
 

Iscritto il: 13/11/2011, 13:51
Messaggi: 961
Nome: Paolo Bigliani
:lov2:

Grazie

Buona Domenica :hi: :hi: :hi:

Paolo


Top
profilo
Visualizza ultimi messaggi:  Ordina per  
nuovo argomento
rispondi
Pagina 1 di 1 [ 3 messaggi ]

Tutti gli orari sono UTC + 1 ora [ ora legale ]


Chi c’è in linea

Visitano il forum: Nessuno e 2 ospiti


Non puoi aprire nuovi argomenti
Non puoi rispondere negli argomenti
Non puoi modificare i tuoi messaggi
Non puoi cancellare i tuoi messaggi
Non puoi inviare allegati

Cerca per:
Vai a: