Benvenuto Ospite

Forum Entomologi Italiani

www.entomologiitaliani.net/forum
 
Oggi è 17/01/2026, 3:10

Tutti gli orari sono UTC + 1 ora [ ora legale ]

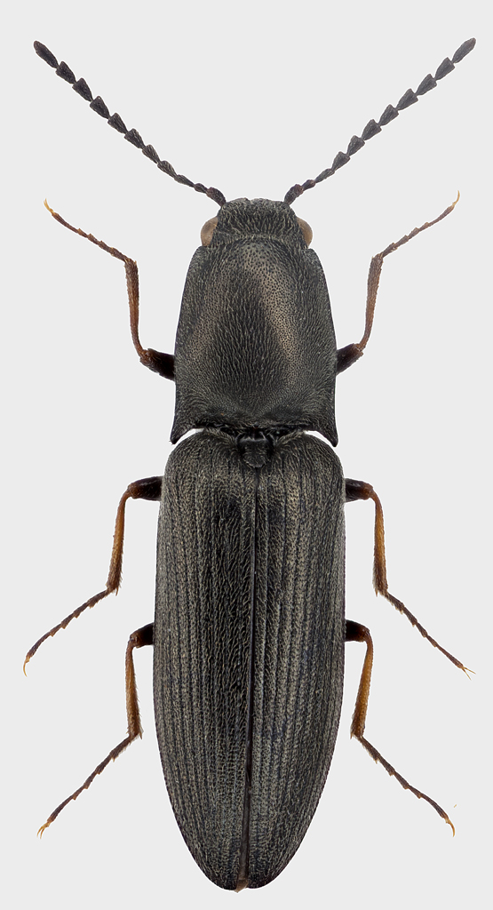
Aplotarsus incanus (Gyllenhal, 1827) - Elateridae

1.V.2014 - FRANCIA - EE, S.Huberts Notre Dame de Bois


nuovo argomento
rispondi
Pagina 1 di 1 [ 3 messaggi ]
Autore Messaggio
MessaggioInviato: 11/03/2022, 17:01 
Avatar utente

Iscritto il: 22/05/2009, 21:00
Messaggi: 2780
Località: Pergine Valsugana (TN)
Nome: Andrea Carlin
:hi: Ciao a tutti. Inserisco qui l'immagine di questo esemplare di elateride per avere un aiuto nella sua determinazione. Grazie mille. :lov2:
Lunghezza: 8 mm
habitus.jpg



:birra:

_________________
Andrea Carlin, Pergine Valsugana (TN) carlin.andrea(AT)gmail.com

Nota: tutti gli esemplari inseriti nelle discussioni aperte da me sono da ritenere "Andrea Carlin legit" se non diversamente specificato.


Top
profilo
 Oggetto del messaggio: Re: Elateridae francese
MessaggioInviato: 11/03/2022, 18:41 
Avatar utente

Iscritto il: 24/09/2009, 20:40
Messaggi: 1953
Nome: Giuseppe Platia
:hp: :hp: Aplotarsus incanus (Gyllenhal, 1827), maschio.

:hi: :hi:


Top
profilo
 Oggetto del messaggio: Re: Elateridae francese
MessaggioInviato: 11/03/2022, 21:12 
Avatar utente

Iscritto il: 22/05/2009, 21:00
Messaggi: 2780
Località: Pergine Valsugana (TN)
Nome: Andrea Carlin
:hp: Grazie mille Giuseppe :birra:
:lov2:

_________________
Andrea Carlin, Pergine Valsugana (TN) carlin.andrea(AT)gmail.com

Nota: tutti gli esemplari inseriti nelle discussioni aperte da me sono da ritenere "Andrea Carlin legit" se non diversamente specificato.


Top
profilo
Visualizza ultimi messaggi:  Ordina per  
nuovo argomento
rispondi
Pagina 1 di 1 [ 3 messaggi ]

Tutti gli orari sono UTC + 1 ora [ ora legale ]


Chi c’è in linea

Visitano il forum: Nessuno e 1 ospite


Non puoi aprire nuovi argomenti
Non puoi rispondere negli argomenti
Non puoi modificare i tuoi messaggi
Non puoi cancellare i tuoi messaggi
Non puoi inviare allegati

Cerca per:
Vai a:  
cron