Benvenuto Ospite

Forum Entomologi Italiani

www.entomologiitaliani.net/forum
 
Oggi è 27/03/2026, 11:45

Tutti gli orari sono UTC + 1 ora [ ora legale ]

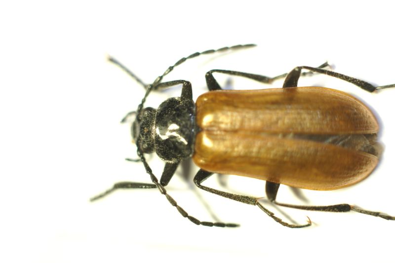
Omophlus sp. - Tenebrionidae Alleculinae

21.VIII.2014 - ITALIA - Abruzzo - CH, Celenza sul Trigno


nuovo argomento
rispondi
Pagina 1 di 1 [ 2 messaggi ]
Autore Messaggio
MessaggioInviato: 19/11/2014, 17:46 
 

Iscritto il: 09/08/2013, 15:35
Messaggi: 1260
Nome: Andrea marata
Salve,
Aiutino per favore... :roll:
Grazie
Andrea :hi:
Dimensioni: 1,1 cm


DSC05460.jpg

DSC05459.jpg

DSC05458.jpg

DSC05457.jpg

Top
profilo
 Oggetto del messaggio: Re: Alleculinae?
MessaggioInviato: 19/11/2014, 22:01 
Avatar utente

Iscritto il: 02/12/2012, 18:53
Messaggi: 204
Località: roma
Nome: alessandro bruno biscaccianti
stesso discorso fatto per l'altro post di Omophlus, eccetto per la specie che è certamente diversa. Si capisce poco ma sembrerebbe un individuo di un gruppo di specie complesso, dovresti inviarmi gli esemplari che dovrò molto probabilmente estrarre. scrivimi un messaggio privato se vuoi.
ciao,
ale


Top
profilo
Visualizza ultimi messaggi:  Ordina per  
nuovo argomento
rispondi
Pagina 1 di 1 [ 2 messaggi ]

Tutti gli orari sono UTC + 1 ora [ ora legale ]


Chi c’è in linea

Visitano il forum: Nessuno e 1 ospite


Non puoi aprire nuovi argomenti
Non puoi rispondere negli argomenti
Non puoi modificare i tuoi messaggi
Non puoi cancellare i tuoi messaggi
Non puoi inviare allegati

Cerca per:
Vai a: