Benvenuto Ospite

Forum Entomologi Italiani

www.entomologiitaliani.net/forum
 
Oggi è 28/04/2026, 20:38

Tutti gli orari sono UTC + 1 ora [ ora legale ]

Thaumastocoris peregrinus Carpintero & Dellapé, 2006 - Thaumastocoridae

29.IX.2012 - ITALIA - Lazio - RM, Maccarese


nuovo argomento
rispondi
Pagina 1 di 1 [ 6 messaggi ]
Autore Messaggio
MessaggioInviato: 09/10/2012, 0:46 
Avatar utente

Iscritto il: 30/12/2009, 22:20
Messaggi: 31564
Località: Roma
Nome: Maurizio Gigli
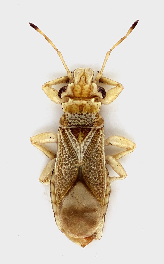
Qualcuno ha idea di cosa possa essere questo microeterottero di appena 2,5 mm?

In un campo di erba medica, sotto i mucchietti di erba tagliata da poco, in una giornata calda ma piovigginosa..

Lazio, Roma, Maccarese, 29.IX.2012, M. Gigli legit

Eterottero_Maccarese_18-IX-2012_2,5mm_grey.jpg


_________________
Maurizio Gigli
http://utenti.romascuola.net/bups
http://bup.xoom.it/


Top
profilo
 Oggetto del messaggio: Re: Heteroptera - Lazio
MessaggioInviato: 09/10/2012, 0:54 
Avatar utente

Iscritto il: 01/07/2010, 22:26
Messaggi: 5665
Località: Viterbo
Nome: Marco Selis
Thaumastocoris peregrinus Carpintero & Dellapé, 2006 - Thaumastocoridae Thaumastocorinae, specie aliena legata all'Eucalipto. Se non ci sono stati avvistamenti negli ultimi tempi questo sarebbe il secondo rinvenimento di questa specie.


Top
profilo
 Oggetto del messaggio: Re: Heteroptera - Lazio
MessaggioInviato: 09/10/2012, 1:27 
Avatar utente

Iscritto il: 30/12/2009, 22:20
Messaggi: 31564
Località: Roma
Nome: Maurizio Gigli
Accidenti Marco, che memoria!
Hai ragione. E' proprio lui (credo che non ci sia molto con cui confonderlo, qui da noi), purtroppo! Evidentemente si sta diffondendo rapidamente.
A pochi metri da dove l'ho trovato c'era, quarda caso, un bel filare di eucalipti.
Anzi, per la precisione, sul terreno sotto i mucchietti di erba medica ne avevo visti diversi, ma ne ho preso uno giusto per scrupolo, visto che di solito non mi interesso di queste bestie.
Tra l'altro, ero proprio sul margine (appena fuori) di un'area naturalistica protetta, esattamente a queste coordinate: 41°52'1.87"N, 12°13'36.09"E.

Forse sarà il caso che lo comunichi al servizio fitosanitario della regione.

_________________
Maurizio Gigli
http://utenti.romascuola.net/bups
http://bup.xoom.it/


Top
profilo
 Oggetto del messaggio: Re: Heteroptera - Lazio
MessaggioInviato: 18/10/2012, 13:20 
Avatar utente

Iscritto il: 04/08/2011, 16:19
Messaggi: 25
Località: Roma
Nome: Luciano Nuccitelli
Julodis ha scritto:
Accidenti Marco, che memoria!
Hai ragione. E' proprio lui (credo che non ci sia molto con cui confonderlo, qui da noi), purtroppo! Evidentemente si sta diffondendo rapidamente.
A pochi metri da dove l'ho trovato c'era, quarda caso, un bel filare di eucalipti.
Anzi, per la precisione, sul terreno sotto i mucchietti di erba medica ne avevo visti diversi, ma ne ho preso uno giusto per scrupolo, visto che di solito non mi interesso di queste bestie.
Tra l'altro, ero proprio sul margine (appena fuori) di un'area naturalistica protetta, esattamente a queste coordinate: 41°52'1.87"N, 12°13'36.09"E.

Forse sarà il caso che lo comunichi al servizio fitosanitario della regione.


Ciao Maurizio, come ho fatto rispondendoti via e-mail, voglio ringraziarti anche pubblicamente a nome e titolo del SFR Lazio per la segnalazione della presenza di Thaumastocoris peregrinus in zona Maccarese.
Approfitto di questa mia visita alquanto estemporanea sul forum per fornire le ulteriori informazioni che a te ho già esteso.

Dopo la segnalazione dello scorso anno, effettuata da Claude54 (Guidonia), il SFR Lazio ha attivato un’indagine sul territorio, riscontrando la presenza di Thaumastocoris peregrinus in varie zone della regione: S.Marinella, Cerveteri, Bracciano, Tragliata, Ostia Antica, Ostia e Fiumicino, Roma Casalotti.
Il ritrovamento a Maccarese è pertanto compatibile e, nel complesso, denota l’attesa diffusione dell’insetto alieno nei distretti dove c’è presenza di eucalipto. Diffusione che non trova ostacoli in primis per mancanza di antagonisti. Non poteva essere altrimenti.
Da subito si è provveduto ad informare le autorità nazionali e, con esse, il comitato fitosanitario europeo. La segnalazione è stata accolta anche in seno alla EPPO che ha inserito l'organismo nella lista "Alert" e sta valutando con il Servizio Fitosanitario italiano l'opportunità di redigere un PRA (Pest Risk Analysis).

La dannosità del fitomizo è certa e sarà a carico di piante del genere Eucaliptus spp.
Quei sintomi di bronzatura e argentatura che interessano il fogliame, a causa delle punture provocate dagli stiletti dell'apparato boccale dell'insetto, evolvono poi in seccume, defogliazione e disseccamenti progressivi del legno. Fino alle estreme conseguenze di morte di piante fortemente infestate. Ne conseguiranno rischi di incendio e rischi di schianto.
Al momento non sono state individuate misure di controllo efficaci.In Australia, luogo di origine dell'alieno, si stanno provando interventi endoterapici con neonicotinoidi ed il controllo biologico con 2 specie di ooparassitoidi Mymaridae: Cleruchoides noackae e Stethynium spp. In Brasile, area di neocolonizzazione, sono stati individuate predatori generalisti tra i quali Atopozelus opsimus (Hemiptera: Reduviidae) e funghi entomopatogeni (Beauveria bassiana e Entomophtorales).

http://www.agricoltura.regione.lazio.it ... rinus.html

Un saluto
Luciano Nuccitelli


Top
profilo
MessaggioInviato: 18/10/2012, 14:33 
Avatar utente

Iscritto il: 30/12/2009, 22:20
Messaggi: 31564
Località: Roma
Nome: Maurizio Gigli
Grazie Luciano. Oggi non ho ancora controllato la posta, ma lo farò più tardi.

Proprio stamattina sono tornato nello stesso posto, e ho dato un'occhiata agli eucalipti.

Da lontano sembrano essere in discrete condizioni ...
Maccarese_18-X-2012_CN001.JPG


ma avvicinandosi si vede subito che le foglie presentano evidenti segni di infestazione ...
Maccarese_18-X-2012_CN064.JPG


poi, ad una osservazione ravvicinata ...
Maccarese_18-X-2012_CN060.JPG



Credo che ormai l'invasione sia inarrestabile. Questi insetti sembrerebbero riprodursi con un ritmo molto elevato. Sono così piccoli da passare inosservati finchè non diventano molto numerosi. Oltre a spostarsi con i loro mezzi, presumo che possano facilmente farsi dare un passaggio. Basta sfiorare il fogliame per ritrovarsi pieni di questi miniscoli insetti sui capelli, sulla pelle, sui vestiti, ovunque. E invece di staccarsi tendono a rimanere aggrappati, anche quando si cerca di levarseli di dosso. Dopo aver fatto queste foto me li sono trovati ovunque, e malgrado abbia cercato di levarmeli in tutti i modi, è probabile che qualcuno sia arrivato con me fino a Roma. Per cui tempo che in brevissimo tempo infesteranno tutte le zone con eucalipti dell'Italia centrale e meridionale. Speriamo almeno che sopportino male il freddo!
A qualche km di distanza, zona Stazione di Maccarese, ci sono lo stesso. Già lì gli eucalipti erano massacrati dalle due Phoracantha, ora pure questi!

_________________
Maurizio Gigli
http://utenti.romascuola.net/bups
http://bup.xoom.it/


Top
profilo
MessaggioInviato: 05/12/2014, 11:04 
 

Iscritto il: 06/02/2009, 9:10
Messaggi: 570
Nome: Maurizio Mei
Ne avevo preso un esemplare lo scorso settembre vicino all'Università, al centro di Roma. Me l'ero trovato addosso e l'avevo tenuto perché mi sembrava una bestia "strana", una cimice che ricordava un po' nell'aspetto generale un pidocchio... Non l'avevo mai vista prima, adesso controllerò tutti gli eucalipti che mi capiterà di incontrare, immagino che non farò fatica a vederne altre...
Ciao!
Maurizio


Top
profilo
Visualizza ultimi messaggi:  Ordina per  
nuovo argomento
rispondi
Pagina 1 di 1 [ 6 messaggi ]

Tutti gli orari sono UTC + 1 ora [ ora legale ]


Chi c’è in linea

Visitano il forum: Nessuno e 1 ospite


Non puoi aprire nuovi argomenti
Non puoi rispondere negli argomenti
Non puoi modificare i tuoi messaggi
Non puoi cancellare i tuoi messaggi
Non puoi inviare allegati

Cerca per:
Vai a: