Benvenuto Ospite

Forum Entomologi Italiani

www.entomologiitaliani.net/forum
 
Oggi è 22/05/2026, 4:36

Tutti gli orari sono UTC + 1 ora [ ora legale ]

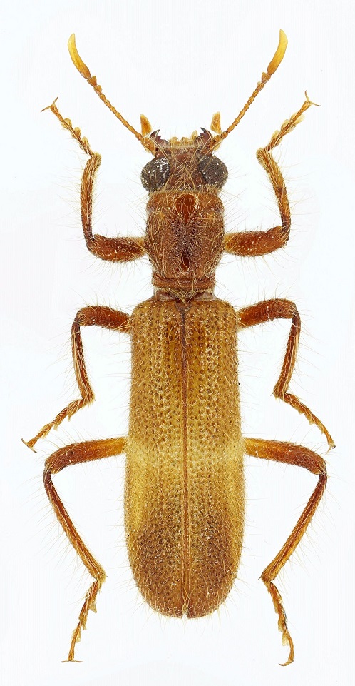
Phloiocopus magnanii Zappi, 2014 - Cleridae - holotipo (con descrizione)

15.V.2005 - IRAN, REPUBBLICA ISLAMICA DELL' - EE, Iran, Fars, Mian Jangal, 40 km N Fasa, 1750 m, 15.V.2005, G. Magnani leg., ex larva Ficus sp. emerged 12.VI.2005.


nuovo argomento
rispondi
Vai alla pagina 1, 2  Prossimo
Pagina 1 di 2 [ 19 messaggi ]
Autore Messaggio
MessaggioInviato: 24/11/2014, 15:37 
Avatar utente

Iscritto il: 18/06/2009, 16:54
Messaggi: 1093
Località: Casalecchio di Reno (BO)
Nome: Iuri Zappi
Corri, corri, corri e........il tempo vola.
Cari amici,
ho chiesto al nostro amministratore di rendere nuovamente visibile questa discussione:
viewtopic.php?f=11&t=21084
La descrizione di questa specie ha richiesto più tempo di quanto inizialmente preventivato sia perché ho cercato di approfondire le conoscenze sul suo genere di appartenenza (e non solo) sia perché il mio tempo entomologico è in questi ultimi anni molto calato.
Voglio anche qui ringraziare il mitico gruppo degli amici entomologi Daniele Baiocchi, Domenico Gianasso, Gianluca Magnani e Gianfranco Sama, per il materiale fornito e le preziose informazioni ricevute. Un grande grazie al nostro Notoxus59 (Augusto Degiovanni), mago della micro e macrofotografia.
Questa nuova specie è dedicata al noto specialista di Buprestidae paleartici e amico di lunga data Gianluca Magnani, che per primo mi affidò in studio alcuni esemplari.

Inserisco qui il pdf:

e una foto dell'olotipo:


Phloiocopus magnanii-FEI.jpg


_________________
:hi: :hi: :hi:
Iuri
Top
profilo
 Oggetto del messaggio: Re: Phloiocopus magnanii Zappi, 2014
MessaggioInviato: 24/11/2014, 16:14 
Avatar utente

Iscritto il: 05/02/2009, 17:47
Messaggi: 7252
Località: Cagliari
Nome: Piero Leo
:birra: :birra: :birra:

:) Ciao
Piero


Top
profilo
 Oggetto del messaggio: Re: Phloiocopus magnanii Zappi, 2014
MessaggioInviato: 24/11/2014, 16:17 
Avatar utente

Iscritto il: 22/12/2009, 13:31
Messaggi: 9646
Località: Napoli
Nome: Francesco Izzillo
Ottimo Iuri! :birra:

_________________
Francesco Izzillo


Top
profilo
 Oggetto del messaggio: Re: Phloiocopus magnanii Zappi, 2014
MessaggioInviato: 24/11/2014, 16:27 
Amministratore
Avatar utente

Iscritto il: 02/02/2009, 23:30
Messaggi: 7107
Località: Capaci (Pa)
Nome: Marcello Romano
La discussione a suo tempo oscurata è ora nuovamente visibile qui.
Ancora complimenti, caro Iuri :ok:

_________________
:hi: Marcello Romano


Top
profilo
 Oggetto del messaggio: Re: Phloiocopus magnanii Zappi, 2014
MessaggioInviato: 24/11/2014, 16:45 
Avatar utente

Iscritto il: 30/12/2010, 11:51
Messaggi: 4548
Località: San Giovanni Valdarno (AR)
Nome: Giovanni Altadonna
Complimenti Iuri (e anche ai raccoglitori)! :ok:

_________________
"L' uomo che è cieco alle bellezze della natura ha perduto metà del piacere di vivere"
Sir Robert Baden Powell

Giovanni Altadonna


Top
profilo
 Oggetto del messaggio: Re: Phloiocopus magnanii Zappi, 2014
MessaggioInviato: 24/11/2014, 16:47 
Avatar utente

Iscritto il: 08/02/2010, 23:01
Messaggi: 6190
Località: Vicenza
Nome: Silvano Biondi
Bravissimo Iuri :birra:

:hi:

_________________



Silvano


Top
profilo
 Oggetto del messaggio: Re: Phloiocopus magnanii Zappi, 2014
MessaggioInviato: 24/11/2014, 16:55 
Avatar utente

Iscritto il: 30/12/2009, 22:20
Messaggi: 31564
Località: Roma
Nome: Maurizio Gigli
Mi ricorda qualcosa! :roll:

_________________
Maurizio Gigli
http://utenti.romascuola.net/bups
http://bup.xoom.it/


Top
profilo
 Oggetto del messaggio: Re: Phloiocopus magnanii Zappi, 2014
MessaggioInviato: 24/11/2014, 16:56 
Amministratore
Avatar utente

Iscritto il: 06/02/2009, 9:16
Messaggi: 6925
Località: Portici (Napoli)
Nome: Claudio Labriola
Iuri, complimenti anche da parte mia :birra: :birra: :birra: :hp:

_________________
Immagine Claudio Labriola
Buona Vita!!!!


Top
profilo
 Oggetto del messaggio: Re: Phloiocopus magnanii Zappi, 2014
MessaggioInviato: 24/11/2014, 18:03 
Avatar utente

Iscritto il: 23/06/2010, 19:05
Messaggi: 2591
Località: Pescara
Nome: Alessio Morelli
Mitico Iuri :hp:


Top
profilo
 Oggetto del messaggio: Re: Phloiocopus magnanii Zappi, 2014
MessaggioInviato: 24/11/2014, 18:32 
Avatar utente

Iscritto il: 06/02/2009, 9:03
Messaggi: 6381
Località: Bubano di Mordano (Bologna)
Nome: Augusto Degiovanni
Di nuovo Complimenti :birra: :birra: :birra:

_________________
CIAO :hi: Augusto Degiovanni

http://anthicidaeecarabidae.altervista.org


Top
profilo
 Oggetto del messaggio: Re: Phloiocopus magnanii Zappi, 2014
MessaggioInviato: 24/11/2014, 18:38 
Avatar utente

Iscritto il: 10/05/2010, 22:31
Messaggi: 4377
Località: Gavorrano (GR)
Nome: marco bastianini
Ciao Juri
tantissimi complimenti anche da parte mia
:birra: :hp: :birra: :hp: :birra: :hp: :birra: :hp:

_________________
:to: Marco
"Le foreste a precedere le civiltà, i deserti a seguire."
François-René de Chateaubriand


Top
profilo
 Oggetto del messaggio: Re: Phloiocopus magnanii Zappi, 2014
MessaggioInviato: 24/11/2014, 18:52 
Avatar utente

Iscritto il: 02/02/2009, 23:32
Messaggi: 5645
Località: da Ferrara ad Alghero
Nome: Roberto A. Pantaleoni
Bel lavoro, complimentoni !!!
Roberto


Top
profilo
 Oggetto del messaggio: Re: Phloiocopus magnanii Zappi, 2014
MessaggioInviato: 24/11/2014, 19:14 
Avatar utente

Iscritto il: 04/02/2009, 17:49
Messaggi: 5558
Località: Cagliari
Nome: Daniele Sechi
Complimenti Iuri! E a tutto il gruppo di ricercatori, bravissimi!

_________________
:hi:
Daniele


Top
profilo
 Oggetto del messaggio: Re: Phloiocopus magnanii Zappi, 2014
MessaggioInviato: 24/11/2014, 20:10 
Avatar utente

Iscritto il: 17/02/2009, 0:05
Messaggi: 8524
Località: Isola d'Elba - Arcipelago Toscano
Nome: Leonardo Forbicioni
:hp: :hp: :birra: :birra: Bravissimo Iuri!!! :birra: :birra: :hp: :hp:

_________________
"Stay hungry, stay foolish".
Steve Jobs, 2005
___________________
jjuniper8(at)gmail.com
Twitter: @weevil_forbix
cell. 339/5275910
___________________


Top
profilo
 Oggetto del messaggio: Re: Phloiocopus magnanii Zappi, 2014
MessaggioInviato: 24/11/2014, 20:16 
Avatar utente

Iscritto il: 02/09/2009, 20:57
Messaggi: 8703
Località: Cagliari
Nome: Roberto Rattu
Enoplium ha scritto:
Corri, corri, corri e........il tempo vola

..ma scripta manent :) , come questo bel lavoro: tantissimi complimenti Iuri :birra: :hp: .

:hi:


Top
profilo
Visualizza ultimi messaggi:  Ordina per  
nuovo argomento
rispondi
Vai alla pagina 1, 2  Prossimo
Pagina 1 di 2 [ 19 messaggi ]

Tutti gli orari sono UTC + 1 ora [ ora legale ]


Chi c’è in linea

Visitano il forum: Google [Bot] e 2 ospiti


Non puoi aprire nuovi argomenti
Non puoi rispondere negli argomenti
Non puoi modificare i tuoi messaggi
Non puoi cancellare i tuoi messaggi
Non puoi inviare allegati

Cerca per:
Vai a: