Benvenuto Ospite

Forum Entomologi Italiani

www.entomologiitaliani.net/forum
 
Oggi è 07/04/2026, 23:48

Tutti gli orari sono UTC + 1 ora [ ora legale ]

Malthinus sp. - Cantharidae - Tunisia

10.IV.2006 - TUNISIA - EE, Zaghouan, 2 km S di Bir al Mashariqah, 150 m


nuovo argomento
rispondi
Pagina 1 di 1 [ 8 messaggi ]
Autore Messaggio
 Oggetto del messaggio: Malthinus sp. - Cantharidae - Tunisia
MessaggioInviato: 16/03/2013, 1:21 
Avatar utente

Iscritto il: 30/12/2009, 22:20
Messaggi: 31564
Località: Roma
Nome: Maurizio Gigli
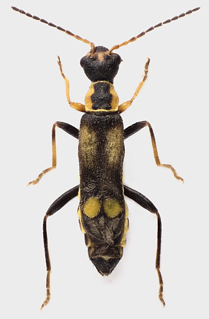
Questo era sulle infiorescenze di Ferula. Malthinus, o che altro?

TUNISIA - EE, Zaghouan, 2 km S di Bir al Mashariqah, 150 m, 10.IV.2006, M. Gigli legit

4,6 mm
Cantharidae_Tunisia_4,6mm_grey.jpg


_________________
Maurizio Gigli
http://utenti.romascuola.net/bups
http://bup.xoom.it/


Top
profilo
 Oggetto del messaggio: Re: Cantharidae ? - Tunisia
MessaggioInviato: 08/03/2017, 9:23 
Avatar utente

Iscritto il: 30/12/2009, 22:20
Messaggi: 31564
Località: Roma
Nome: Maurizio Gigli
Questo è rimasto dimenticato per quattro anni.

_________________
Maurizio Gigli
http://utenti.romascuola.net/bups
http://bup.xoom.it/


Top
profilo
 Oggetto del messaggio: Re: Cantharidae ? - Tunisia
MessaggioInviato: 08/03/2017, 9:57 
 

Iscritto il: 03/02/2015, 11:23
Messaggi: 984
Località: Policoro (MT)
Nome: Giuseppe Cancelliere
Io avrei detto Malachiidae :?


Top
profilo
 Oggetto del messaggio: Re: Cantharidae ? - Tunisia
MessaggioInviato: 08/03/2017, 19:18 
Avatar utente

Iscritto il: 27/02/2009, 19:34
Messaggi: 857
Località: Belluno
Nome: Enzo GATTI
Ciao Maurizio;

direi o Malthinus, o Malthodes :?: :?:

Enzo :hi: :hi:


Top
profilo
 Oggetto del messaggio: Re: Cantharidae ? - Tunisia
MessaggioInviato: 08/03/2017, 22:44 
Avatar utente

Iscritto il: 14/03/2009, 12:59
Messaggi: 3259
Località: Milano
Nome: Gabriele Franzini
Cita:
Io avrei detto Malachiidae

Succede molto spesso. Anticamente infatti gli uni e gli altri erano accostati sotto il nome di Malacodermi. La parentela però è solo apparente.

:hi: :hi: G.


Top
profilo
 Oggetto del messaggio: Re: Cantharidae ? - Tunisia
MessaggioInviato: 08/03/2017, 22:59 
 

Iscritto il: 03/02/2015, 11:23
Messaggi: 984
Località: Policoro (MT)
Nome: Giuseppe Cancelliere
gabrif ha scritto:
Cita:
Io avrei detto Malachiidae

Succede molto spesso. Anticamente infatti gli uni e gli altri erano accostati sotto il nome di Malacodermi. La parentela però è solo apparente.

:hi: :hi: G.


Grazie Gabriele! :hi:


Top
profilo
 Oggetto del messaggio: Re: Cantharidae ? - Tunisia
MessaggioInviato: 10/03/2017, 22:59 
Avatar utente

Iscritto il: 14/03/2009, 12:59
Messaggi: 3259
Località: Milano
Nome: Gabriele Franzini
Chiesto a G. Liberti, che molto gentilmente ha confermato: Malthinus sp., femmina, praticamente indeterminabile a livello di specie.

:hi: :hi: G.


Top
profilo
 Oggetto del messaggio: Re: Cantharidae ? - Tunisia
MessaggioInviato: 11/03/2017, 16:46 
Avatar utente

Iscritto il: 30/12/2009, 22:20
Messaggi: 31564
Località: Roma
Nome: Maurizio Gigli
Grazie.
Almeno il genere l'avevo azzeccato. :hi:

_________________
Maurizio Gigli
http://utenti.romascuola.net/bups
http://bup.xoom.it/


Top
profilo
Visualizza ultimi messaggi:  Ordina per  
nuovo argomento
rispondi
Pagina 1 di 1 [ 8 messaggi ]

Tutti gli orari sono UTC + 1 ora [ ora legale ]


Chi c’è in linea

Visitano il forum: Nessuno e 2 ospiti


Non puoi aprire nuovi argomenti
Non puoi rispondere negli argomenti
Non puoi modificare i tuoi messaggi
Non puoi cancellare i tuoi messaggi
Non puoi inviare allegati

Cerca per:
Vai a: