Benvenuto Ospite

Forum Entomologi Italiani

www.entomologiitaliani.net/forum
 
Oggi è 23/05/2026, 12:15

Tutti gli orari sono UTC + 1 ora [ ora legale ]

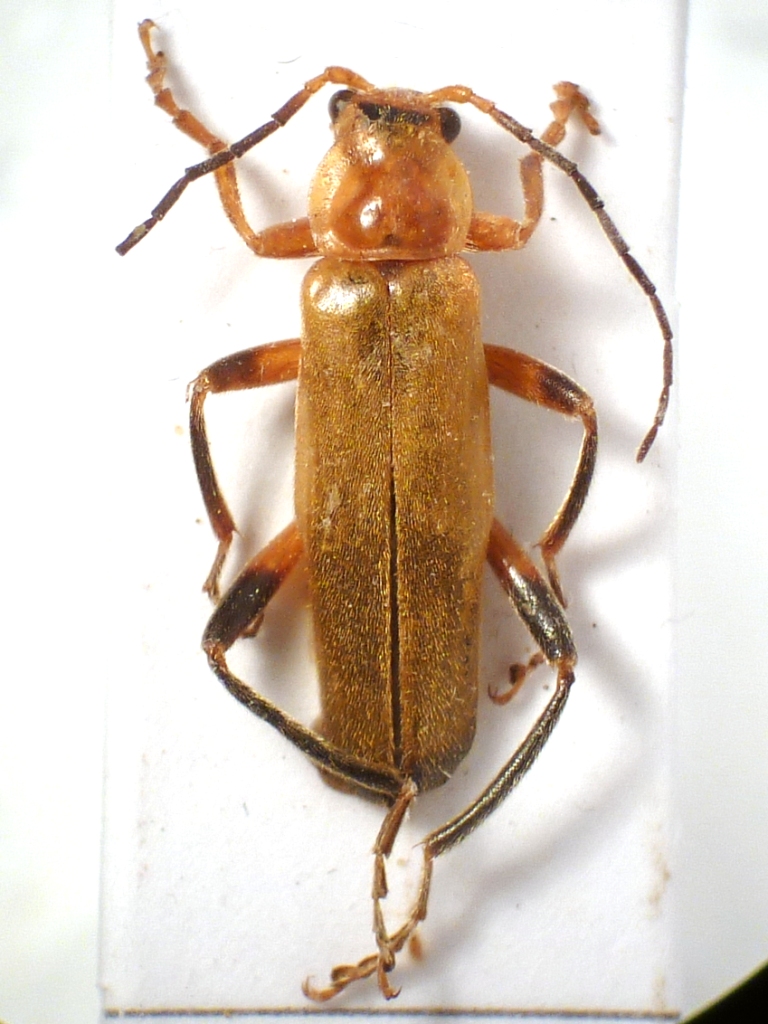
Cantharis (Cantharis) livida Linnaeus, 1758 - Cantharidae

16.VI.2013 - ITALIA - Calabria - CS, dint. lago Arvo, 1.280 m


nuovo argomento
rispondi
Pagina 1 di 1 [ 2 messaggi ]
Autore Messaggio
MessaggioInviato: 11/05/2020, 13:41 
Avatar utente

Iscritto il: 28/04/2010, 23:44
Messaggi: 2107
Località: Roma
Nome: Valerio Viglioglia
Dovrebbe essere Canhtharis livida
Chiedo cortese conferma :)

L. = 12 e 11 mm

Primo esemplare
P1030150.JPG

P1030151.JPG



Secondo esemplare
P1030152.JPG

P1030153.JPG


_________________
Valerio V


Top
profilo
MessaggioInviato: 16/05/2020, 19:30 
Avatar utente

Iscritto il: 28/04/2010, 23:44
Messaggi: 2107
Località: Roma
Nome: Valerio Viglioglia
Confermata C. livida da F. Fanti

_________________
Valerio V


Top
profilo
Visualizza ultimi messaggi:  Ordina per  
nuovo argomento
rispondi
Pagina 1 di 1 [ 2 messaggi ]

Tutti gli orari sono UTC + 1 ora [ ora legale ]


Chi c’è in linea

Visitano il forum: Nessuno e 1 ospite


Non puoi aprire nuovi argomenti
Non puoi rispondere negli argomenti
Non puoi modificare i tuoi messaggi
Non puoi cancellare i tuoi messaggi
Non puoi inviare allegati

Cerca per:
Vai a: