Forum Entomologi Italiani
https://www.entomologiitaliani.net/public/forum/phpbb3/

Cantharis (Cantharis) figurata Mannerheim, 1843 - Cantharidae
https://www.entomologiitaliani.net/public/forum/phpbb3/viewtopic.php?f=291&t=34751
Pagina 1 di 1

Autore:  Maura [ 30/05/2012, 18:32 ]
Oggetto del messaggio:  Cantharis (Cantharis) figurata Mannerheim, 1843 - Cantharidae

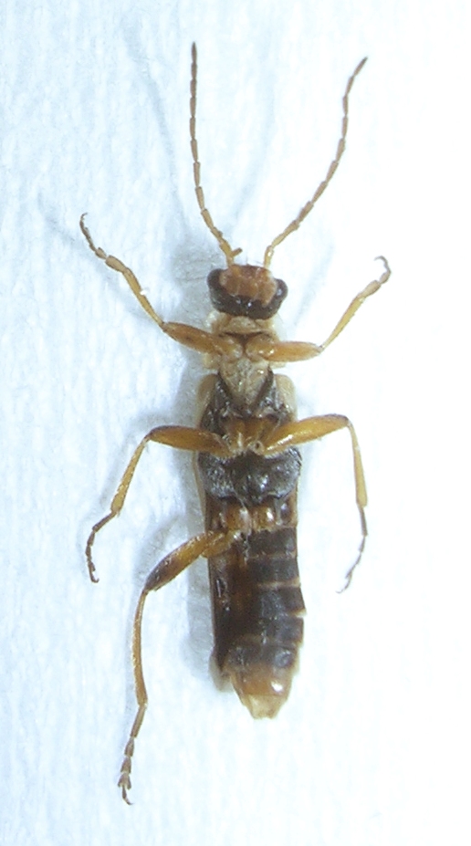
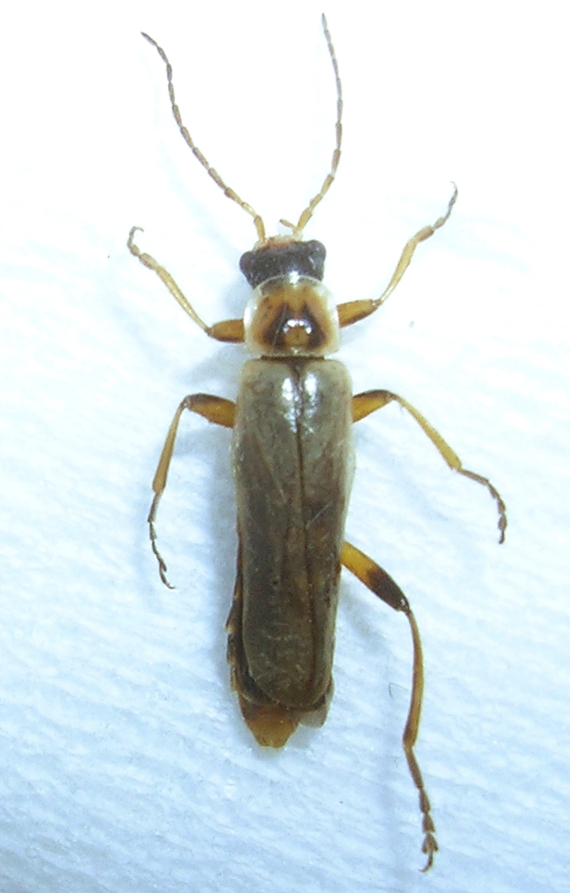
Questa piccolina (7 mm) era decisamente troppo fragile per uscire indenne da una trappola a vino e frutta.

Image1.jpg


Image2.jpg


Image4.jpg


Autore:  hutia [ 27/10/2013, 15:25 ]
Oggetto del messaggio:  Re: Cantharis (Cantharis) figurata Mannerheim, 1843 - Cantharidae

direi che non รจ la figurata :no1: :no1:

Pagina 1 di 1 Tutti gli orari sono UTC + 1 ora [ ora legale ]
Powered by phpBB® Forum Software © phpBB Group
http://www.phpbb.com/