Benvenuto Ospite

Forum Entomologi Italiani

www.entomologiitaliani.net/forum
 
Oggi è 23/05/2026, 21:54

Tutti gli orari sono UTC + 1 ora [ ora legale ]

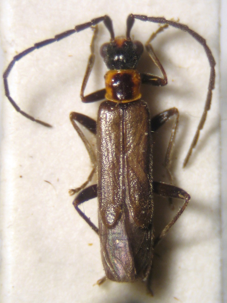
Malthodes (cf.) - Cantharidae.

27.IV.2012 - ITALIA - Sicilia - ME, dint. Messina, cava in loc. Pace


nuovo argomento
rispondi
Pagina 1 di 1 [ 4 messaggi ]
Autore Messaggio
 Oggetto del messaggio: Malthodes (cf.) - Cantharidae.
MessaggioInviato: 19/11/2013, 13:56 
Avatar utente

Iscritto il: 28/04/2010, 23:44
Messaggi: 2107
Località: Roma
Nome: Valerio Viglioglia
Da oggi vi propongo qualche cantaride.
Questo credo sia un Podabrus o qualcosa di affine

L.= 4,5 mm

IMG_4760aa.JPG


IMG_4760ab.JPG


_________________
Valerio V


Top
profilo
 Oggetto del messaggio: Re: Cantharidae indet.
MessaggioInviato: 20/11/2013, 3:04 
Avatar utente

Iscritto il: 28/04/2010, 23:44
Messaggi: 2107
Località: Roma
Nome: Valerio Viglioglia
o più probabilmente Malthodes

_________________
Valerio V


Top
profilo
 Oggetto del messaggio: Re: Cantharidae indet.
MessaggioInviato: 20/11/2013, 17:13 
 
questo mi piacerebbe studiarlo ops estrarlo :mrgreen: :mrgreen:


Top
 Oggetto del messaggio: Re: Cantharidae indet.
MessaggioInviato: 20/11/2013, 17:16 
 
certo che a secco cosi senza estrarlo sarà accartocciato


Top
Visualizza ultimi messaggi:  Ordina per  
nuovo argomento
rispondi
Pagina 1 di 1 [ 4 messaggi ]

Tutti gli orari sono UTC + 1 ora [ ora legale ]


Chi c’è in linea

Visitano il forum: Nessuno e 1 ospite


Non puoi aprire nuovi argomenti
Non puoi rispondere negli argomenti
Non puoi modificare i tuoi messaggi
Non puoi cancellare i tuoi messaggi
Non puoi inviare allegati

Cerca per:
Vai a: