Benvenuto Ospite

Forum Entomologi Italiani

www.entomologiitaliani.net/forum
 
Oggi è 23/05/2026, 20:25

Tutti gli orari sono UTC + 1 ora [ ora legale ]

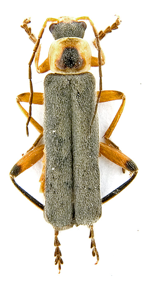
Cantharis (Cantharis) nigricans (O.F. Müller, 1776) - Cantharidae - Lamon(BL), Veneto

13.VI.2010 - ITALIA - Veneto - BL, Lamon


nuovo argomento
rispondi
Pagina 1 di 1 [ 1 messaggio ]
Autore Messaggio
MessaggioInviato: 26/06/2010, 13:58 
Avatar utente

Iscritto il: 08/06/2009, 0:06
Messaggi: 3415
Località: Feltre(BL)
Nome: Nicola Dal Zotto
Potrebbe essere Cantharis nigricans ??

IT- Veneto
Col de Thede (1300m)
La[quote][/quote]mon: Le ei (BL)
13/VI/2010 N. Dal Zotto legit
Cantharis-nigricans-.jpg


_________________
Nicola Dal Zotto


Top
profilo
Visualizza ultimi messaggi:  Ordina per  
nuovo argomento
rispondi
Pagina 1 di 1 [ 1 messaggio ]

Tutti gli orari sono UTC + 1 ora [ ora legale ]


Chi c’è in linea

Visitano il forum: Nessuno e 2 ospiti


Non puoi aprire nuovi argomenti
Non puoi rispondere negli argomenti
Non puoi modificare i tuoi messaggi
Non puoi cancellare i tuoi messaggi
Non puoi inviare allegati

Cerca per:
Vai a:  
cron