| Forum Entomologi Italiani https://www.entomologiitaliani.net/public/forum/phpbb3/ |
|
| Cantharis (Cantharis) rustica Fallen, 1807 - Cantharidae https://www.entomologiitaliani.net/public/forum/phpbb3/viewtopic.php?f=291&t=89998 |
Pagina 1 di 1 |
| Autore: | Valerio [ 12/05/2020, 11:17 ] |
| Oggetto del messaggio: | Cantharis (Cantharis) rustica Fallen, 1807 - Cantharidae |
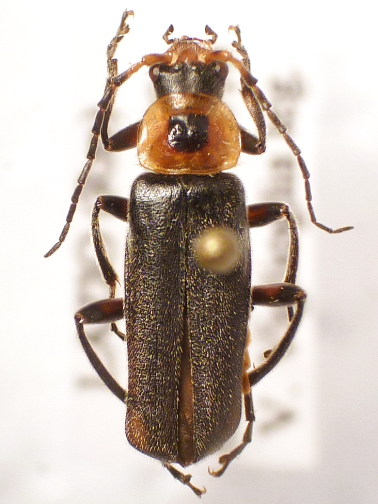
Questo esemplare non l'ho determinato. Mi sembra moto simile a Cantharis fusca ma ho visto anche sul forum che ha sempre la macchia sul pronoto spostata in avanti. Questo invece la ha al centro. Come Cantharis rustica. E' lei? la posizione della macchia sul pronoto รจ un carattere discriminante? L. = 12 mm
|
|
| Autore: | Valerio [ 16/05/2020, 19:33 ] |
| Oggetto del messaggio: | Re: Cantharis sp. 2 - Cantharidae |
Confermata C. rustica da F. Fanti
|
|
| Pagina 1 di 1 | Tutti gli orari sono UTC + 1 ora [ ora legale ] |
| Powered by phpBB® Forum Software © phpBB Group http://www.phpbb.com/ |
|