Benvenuto Ospite

Forum Entomologi Italiani

www.entomologiitaliani.net/forum
 
Oggi è 19/01/2026, 3:38

Tutti gli orari sono UTC + 1 ora [ ora legale ]

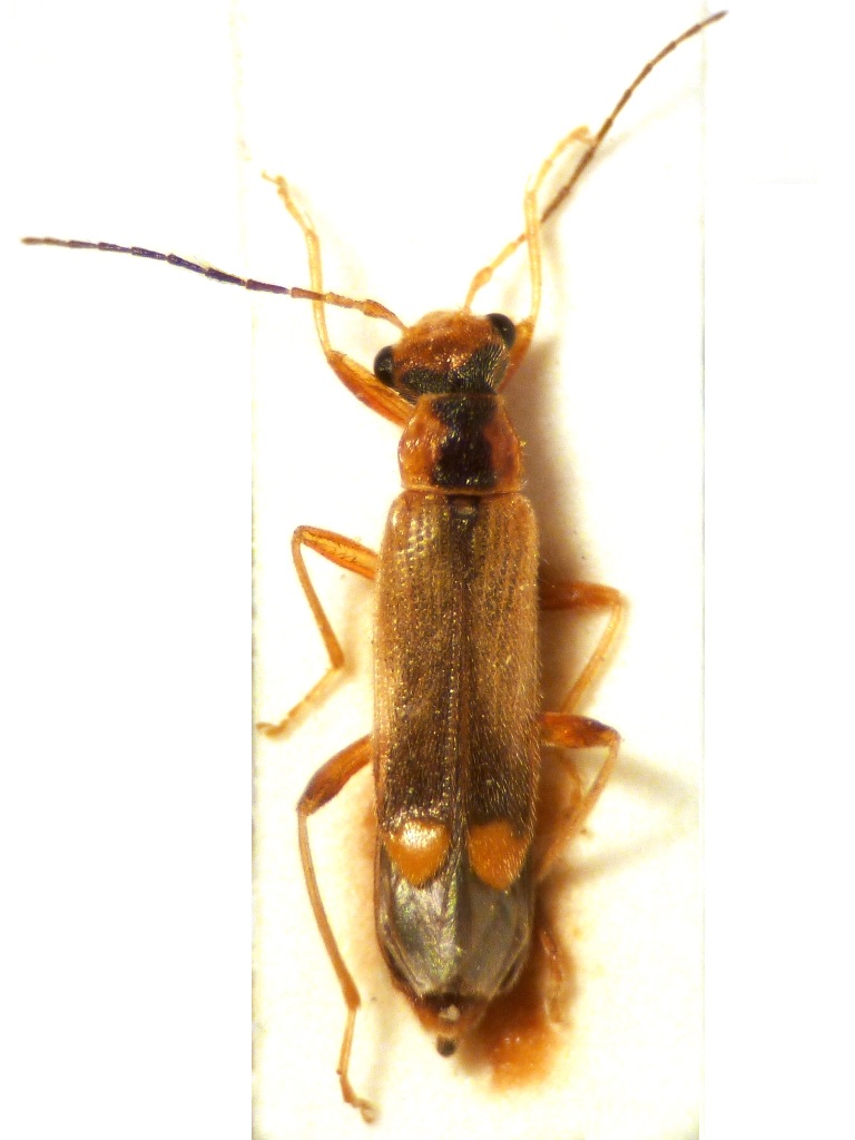
Malthinus seriepunctatus/reflexus - Cantharidae

24.IV.2007 - ITALIA - Lazio - RM, Roma, via Papiria


nuovo argomento
rispondi
Pagina 1 di 1 [ 1 messaggio ]
Autore Messaggio
MessaggioInviato: 27/05/2020, 23:52 
Avatar utente

Iscritto il: 28/04/2010, 23:44
Messaggi: 2107
Località: Roma
Nome: Valerio Viglioglia
semideterminazione da parte di F. Fanti.

Malthinus seriepunctatus/reflexus
Si riconoscono dall'esame dell'edeago e quindi per ora ci fermiamo qui

L. = 5 mm

P1030284 (RM) Malthinus seriepunctatus vs M. reflexus.JPG



:hi:

_________________
Valerio V


Top
profilo
Visualizza ultimi messaggi:  Ordina per  
nuovo argomento
rispondi
Pagina 1 di 1 [ 1 messaggio ]

Tutti gli orari sono UTC + 1 ora [ ora legale ]


Chi c’è in linea

Visitano il forum: Bing [Bot] e 1 ospite


Non puoi aprire nuovi argomenti
Non puoi rispondere negli argomenti
Non puoi modificare i tuoi messaggi
Non puoi cancellare i tuoi messaggi
Non puoi inviare allegati

Cerca per:
Vai a: