Benvenuto Ospite

Forum Entomologi Italiani

www.entomologiitaliani.net/forum
 
Oggi è 23/04/2026, 17:15

Tutti gli orari sono UTC + 1 ora [ ora legale ]

Conops silaceus Wiedemann in Meigen, 1824 - Conopidae

17.VIII.2023 - ITALIA - Emilia-Romagna - RA, Mezzano (ex ZPS)


nuovo argomento
rispondi
Pagina 1 di 1 [ 9 messaggi ]
Autore Messaggio
MessaggioInviato: 21/08/2023, 19:48 
 

Iscritto il: 08/12/2013, 1:52
Messaggi: 7702
Località: Bagnacavallo (RA)
Nome: Giorgio Pezzi
Memore di quanto richiesto qui viewtopic.php?f=11&t=103262 , aggiungo foto della proboscide. Spero sia identificabile. mm 11. Se serve altro chiedere. Grazie.
:hi:
DSC01104.JPG



DSC01085.JPG

DSC01087.JPG

DSC01086.JPG

DSC01090.JPG

DSC01088.JPG

Top
profilo
 Oggetto del messaggio: Re: Altro Conopidae d ID
MessaggioInviato: 22/08/2023, 6:19 
 

Iscritto il: 10/08/2010, 14:39
Messaggi: 3260
Località: Milano
Nome: Carlo Monari
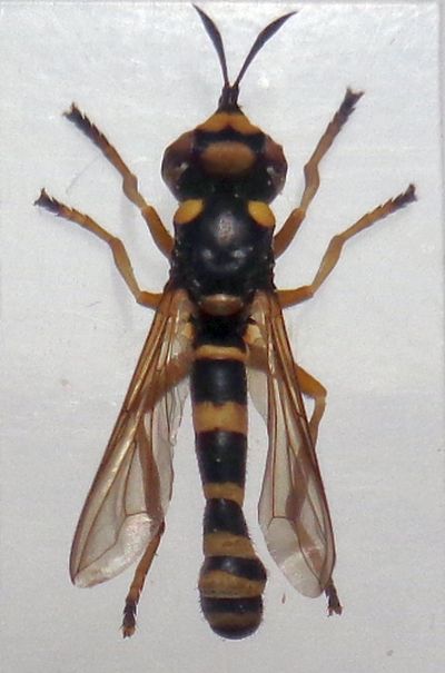
Una vista d'insieme no?

_________________
Ciao

Carlo


Top
profilo
 Oggetto del messaggio: Re: Altro Conopidae d ID
MessaggioInviato: 22/08/2023, 20:44 
 

Iscritto il: 08/12/2013, 1:52
Messaggi: 7702
Località: Bagnacavallo (RA)
Nome: Giorgio Pezzi
Sì, dimenticata :) L'ho messa in testa alle altre.
:hi:


Top
profilo
 Oggetto del messaggio: Re: Altro Conopidae da ID
MessaggioInviato: 24/08/2023, 7:24 
 

Iscritto il: 10/08/2010, 14:39
Messaggi: 3260
Località: Milano
Nome: Carlo Monari
La vista d'insieme era necessaria ma sapevo che non sarebbe stata sufficiente. Rimango perplesso; la forma dell'addome mi sembra anomala. Il genere dovrebbe comunque essere Conops; striscie argentee sui lati del torace non ne vedo, cosa che, vista l'assenza di colori rossicci e le dimensioni, porterebbe a C. flavipes, ma Il confronto con le immagini sul web non mi convince. Le chiavi sono quelle online, che sono per la fauna nord-europea; qui sul forum abbiamo un esperto (Maurizio Mei) che però non ci frequenta da diversi anni.

_________________
Ciao

Carlo


Top
profilo
 Oggetto del messaggio: Re: Altro Conopidae da ID
MessaggioInviato: 24/08/2023, 19:04 
 

Iscritto il: 08/12/2013, 1:52
Messaggi: 7702
Località: Bagnacavallo (RA)
Nome: Giorgio Pezzi
Questo esemplare preso a pochi km e giorni di distanza (dint. di Alfonsine, Destra Senio - RA) e sicuramente :) della stessa specie, forse chiarisce di più le idee, visto che ha pubescenza argentata su tempie e parti pleurali.
:hi:
DSC01135.JPG



DSC01133.JPG

DSC01129.JPG

DSC01125.JPG

DSC01132.JPG

DSC01127.jpg

Top
profilo
 Oggetto del messaggio: Re: Altro Conopidae da ID
MessaggioInviato: 25/08/2023, 7:30 
 

Iscritto il: 10/08/2010, 14:39
Messaggi: 3260
Località: Milano
Nome: Carlo Monari
Le strisce argentate cambiano tutto, sono al primo punto delle chiavi. Rimane la perplessità; mi porterebbe a C. silaceus, cioè lo stesso dell'altro post, ma l'addome è talmente diverso che faccio fatica a crederci. La forma anomala la si potrebbe forse spiegare immaginando che si sia contratto essicandosi, ma la forma delle bande gialle certo non si è modificata. Sarebbe più che mai opportuno il parere di un vero specialista.

_________________
Ciao

Carlo


Top
profilo
 Oggetto del messaggio: Re: Altro Conopidae da ID
MessaggioInviato: 25/08/2023, 18:43 
 

Iscritto il: 08/12/2013, 1:52
Messaggi: 7702
Località: Bagnacavallo (RA)
Nome: Giorgio Pezzi
Grazie ancora; forse, se ti riferisci alla strozzatura sulla terza fascia, è dovuto al tentativo di distendere gli ultimi segmenti per evidenziare la forma degli stessi sul lato ventrale. Credo che la chiave a cui ti riferisci sia questa https://home.hccnet.nl/mp.van.veen/cono ... onops.html ; allego un ultima foto della faccia sotto le antenne del primo individuo. :hi:


DSC01159.JPG

Top
profilo
 Oggetto del messaggio: Re: Altro Conopidae da ID
MessaggioInviato: 28/08/2023, 6:48 
 

Iscritto il: 10/08/2010, 14:39
Messaggi: 3260
Località: Milano
Nome: Carlo Monari
La diversità delle strisce colorate sui tergiti addominali dovrebbe essere dimorfismo sessuale; questa è una femmina.

_________________
Ciao

Carlo


Top
profilo
 Oggetto del messaggio: Re: Altro Conopidae da ID
MessaggioInviato: 28/08/2023, 10:31 
 

Iscritto il: 08/12/2013, 1:52
Messaggi: 7702
Località: Bagnacavallo (RA)
Nome: Giorgio Pezzi
Ah, pensavo che la maggior deformazione degli ultimi segmenti fossero più tipici dei maschi. :birra:


Top
profilo
Visualizza ultimi messaggi:  Ordina per  
nuovo argomento
rispondi
Pagina 1 di 1 [ 9 messaggi ]

Tutti gli orari sono UTC + 1 ora [ ora legale ]


Chi c’è in linea

Visitano il forum: Nessuno e 1 ospite


Non puoi aprire nuovi argomenti
Non puoi rispondere negli argomenti
Non puoi modificare i tuoi messaggi
Non puoi cancellare i tuoi messaggi
Non puoi inviare allegati

Cerca per:
Vai a: