Forum Entomologi Italiani
https://www.entomologiitaliani.net/public/forum/phpbb3/

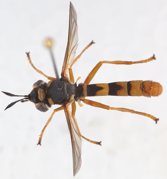
Conops (Conops) vitellinus Loew, 1847 - Conopidae - Toscana, Isola d'Elba
https://www.entomologiitaliani.net/public/forum/phpbb3/viewtopic.php?f=302&t=12922
Pagina 1 di 1

Autore:  FORBIX [ 16/10/2010, 21:14 ]
Oggetto del messaggio:  Conops (Conops) vitellinus Loew, 1847 - Conopidae - Toscana, Isola d'Elba

Portoferraio (LI) - Loc. San Giovanni - 14.X.2010

Immagino che sarà molto difficile arrivare arrivare ad una determinazione........ma era troppo bellina per non mostrarvela!!

Conopidae1.JPG

Conopidae2.JPG

Conopidae3.JPG


Autore:  Hemerobius [ 17/10/2010, 9:14 ]
Oggetto del messaggio:  Re: Conopidae da ID - Toscana, Isola d'Elba

FORBIX ha scritto:
Immagino che sarà molto difficile arrivare arrivare ad una determinazione........ma era troppo bellina per non mostrarvela!!

Ma allora non hai fiducia in uno dei nostri tanti Maurizi* :?
:gh:

Roberto :to:


* uno dei quali (Gomphus) ci è scomparso :cry:

Autore:  Livio [ 17/10/2010, 9:37 ]
Oggetto del messaggio:  Re: Conopidae da ID - Toscana, Isola d'Elba

Assomiglia proprio tanto a Conops vitellinus

Autore:  FORBIX [ 15/11/2010, 4:36 ]
Oggetto del messaggio:  Re: Conopidae da ID - Toscana, Isola d'Elba

Visto che Gomphus è finalmente "ricomparso" :hp: :hp: :hp: per "sommo piacere" di tutti noi.....riporto in vista questo bel ditterino!! Semmai Maurizio volgia dargli un'occhiata!!

Autore:  mauriziomei [ 15/11/2010, 16:05 ]
Oggetto del messaggio:  Re: Conopidae da ID - Toscana, Isola d'Elba

Ma il Maurizio dei conopidi sono io...! :no1: Confermo: è un Conops vitellinus femmina...
Ciao!
Maurizio

Pagina 1 di 1 Tutti gli orari sono UTC + 1 ora [ ora legale ]
Powered by phpBB® Forum Software © phpBB Group
http://www.phpbb.com/