Benvenuto Ospite

Forum Entomologi Italiani

www.entomologiitaliani.net/forum
 
Oggi è 07/03/2026, 6:31

Tutti gli orari sono UTC + 1 ora [ ora legale ]

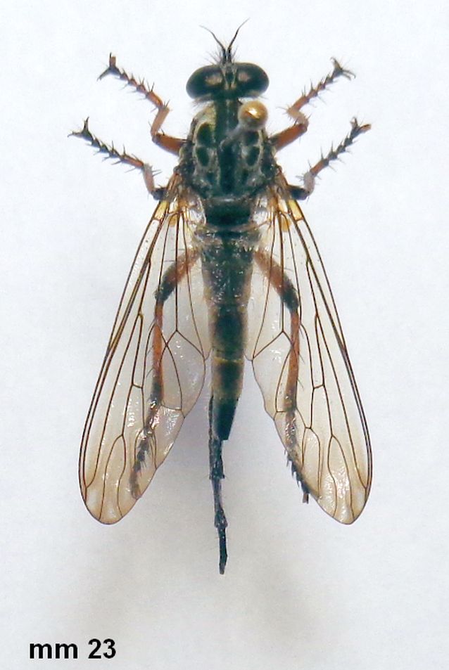
Neoitamus sp. ♀ - Asilidae

24.VII.2025 - ITALIA - Emilia-Romagna - BO, dintorni di Monte Vigese, 800 m


nuovo argomento
rispondi
Pagina 1 di 1 [ 1 messaggio ]
Autore Messaggio
 Oggetto del messaggio: Neoitamus sp. ♀ - Asilidae
MessaggioInviato: 29/07/2025, 20:18 
 

Iscritto il: 08/12/2013, 1:52
Messaggi: 7665
Località: Bagnacavallo (RA)
Nome: Giorgio Pezzi
Posto anch'io un Asilide, una femmina di Neoitamus diversa da questa viewtopic.php?f=303&t=102727&hilit=neoitamus ; infatti la cellula radiale non ha diffusi microtrichi, anzi, pare non averne. Nelle chiavi di Geller-Grimm si arriverebbe a N. cyanurus (Loew, 1849) ma al solito manca il raffronto con castellanii e splendidus. Idee?
:hi:
DSC04468.JPG



DSC04474.JPG

DSC04473.JPG

DSC04462.JPG

DSC04470.JPG

Top
profilo
Visualizza ultimi messaggi:  Ordina per  
nuovo argomento
rispondi
Pagina 1 di 1 [ 1 messaggio ]

Tutti gli orari sono UTC + 1 ora [ ora legale ]


Chi c’è in linea

Visitano il forum: Nessuno e 1 ospite


Non puoi aprire nuovi argomenti
Non puoi rispondere negli argomenti
Non puoi modificare i tuoi messaggi
Non puoi cancellare i tuoi messaggi
Non puoi inviare allegati

Cerca per:
Vai a:  
cron