Benvenuto Ospite

Forum Entomologi Italiani

www.entomologiitaliani.net/forum
 
Oggi è 24/04/2026, 17:57

Tutti gli orari sono UTC + 1 ora [ ora legale ]

Engelopogon sp. - Asilidae Asilinae

17.VI.2007 - ITALIA - Sicilia - PA, Lago di Caccamo


nuovo argomento
rispondi
Pagina 1 di 1 [ 5 messaggi ]
Autore Messaggio
 Oggetto del messaggio: Engelopogon sp. - Asilidae Asilinae
MessaggioInviato: 24/10/2011, 22:03 
Avatar utente

Iscritto il: 01/06/2011, 11:43
Messaggi: 292
Località: Palermo
Nome: Lello Brancato
Nei pressi del lago di Caccamo (PA) su ombrellifera.
Grazie in anticipo per l'aiuto :D

Lello


Focus Result 113 (A, 8, 4)2.jpg

Focus Result 111 (B, 8, 4)3.jpg

Focus Result 111 (B, 8, 4)2.jpg

Focus Result 111 (B, 8, 4).jpg


_________________
....ed era tutta vela la navicella dell'ingegno mio.
Top
profilo
 Oggetto del messaggio: Re: Asilide da determinare
MessaggioInviato: 25/10/2011, 8:07 
 

Iscritto il: 10/08/2010, 14:39
Messaggi: 3260
Località: Milano
Nome: Carlo Monari
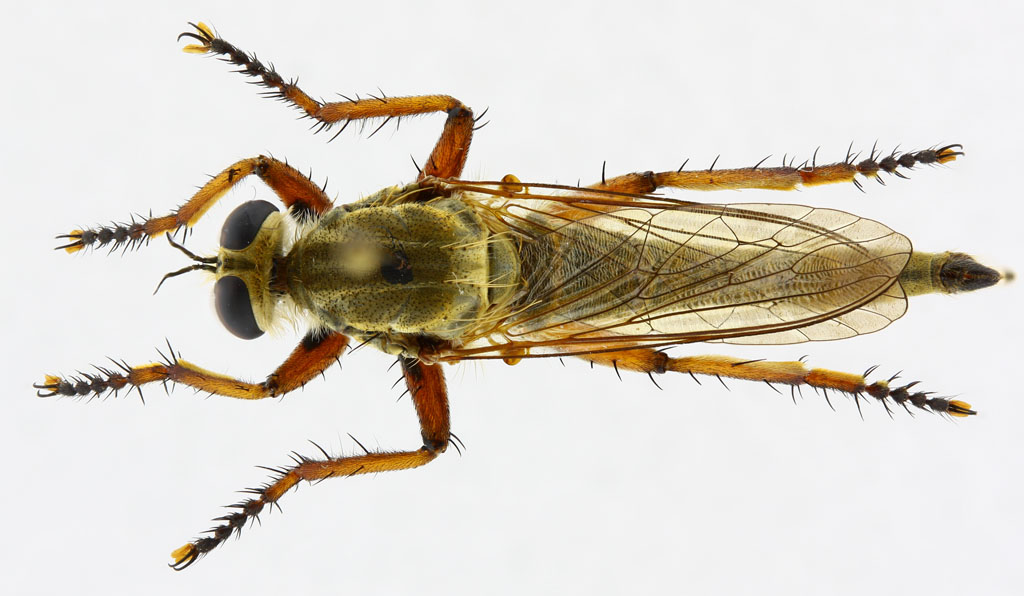
Belle foto. Sarebbe utile però anche una inquadratura completa dell'insetto, con la possibilità di leggere bene la venatura alare.

_________________
Ciao

Carlo


Top
profilo
 Oggetto del messaggio: Re: Asilide da determinare
MessaggioInviato: 25/10/2011, 13:41 
Avatar utente

Iscritto il: 01/06/2011, 11:43
Messaggi: 292
Località: Palermo
Nome: Lello Brancato
Inserisco la foto dorsale che per errore non avevo messo.
Scusate..... :oops:
Lello


Focus Result 121 (B, 8, 4).jpg


_________________
....ed era tutta vela la navicella dell'ingegno mio.
Top
profilo
 Oggetto del messaggio: Re: Asilide da determinare
MessaggioInviato: 26/10/2011, 7:57 
 

Iscritto il: 10/08/2010, 14:39
Messaggi: 3260
Località: Milano
Nome: Carlo Monari
Lello, ieri ho provato a seguire le chiavi di cui dispongo (il Seguy e lo Hull) ma la strada è tortuosa e io mi ci perdo.
Forse una foto di profilo, in cui siano ben visibili i tergiti, potrbbe aiutare. Un altro elemento richiesto dalle chiavi è il numero di articoli dei palpi, anche se in questo caso potrebbe non essere decisivo.
Puoi indicare anche le dimensioni?

_________________
Ciao

Carlo


Top
profilo
 Oggetto del messaggio: Re: Asilide da determinare
MessaggioInviato: 26/10/2011, 17:57 
 

Iscritto il: 06/02/2009, 9:05
Messaggi: 2588
Località: Alghero
Nome: Pietro Niolu
A mio avviso si tratta di una femmina di Engelopogon sp. (ex Acanthopleura), credo corrisponda al Machimus brunnipes di Seguy ma da allora si sono aggiunte altre nuove specie.

Per saperne (forse) di più bisognerebbe recuperare questo lavoro:
Tsacas, L. (1964): Révision des espèces du genre Acanthopleura Engel (Diptera - Asilidae). - Memoires du Museum national d'Histoire naturelle. Serie A - Zoologie N.S. 28(3): 205-240; Paris.

_________________
Ciao
Pietro


Top
profilo
Visualizza ultimi messaggi:  Ordina per  
nuovo argomento
rispondi
Pagina 1 di 1 [ 5 messaggi ]

Tutti gli orari sono UTC + 1 ora [ ora legale ]


Chi c’è in linea

Visitano il forum: Nessuno e 1 ospite


Non puoi aprire nuovi argomenti
Non puoi rispondere negli argomenti
Non puoi modificare i tuoi messaggi
Non puoi cancellare i tuoi messaggi
Non puoi inviare allegati

Cerca per:
Vai a: