Benvenuto Ospite

Forum Entomologi Italiani

www.entomologiitaliani.net/forum
 
Oggi è 23/04/2026, 23:05

Tutti gli orari sono UTC + 1 ora [ ora legale ]

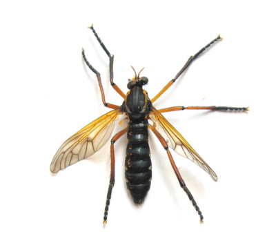
Molobratia teutonus (Linnaeus 1767) ♀ - Asilidae Dasypogoninae Molobratiini

8.VII.2010 - ITALIA - Lombardia - LC, Valmadrera


nuovo argomento
rispondi
Pagina 1 di 1 [ 6 messaggi ]
Autore Messaggio
MessaggioInviato: 10/07/2010, 18:47 
 

Iscritto il: 05/05/2010, 11:56
Messaggi: 1521
Nome: Giuseppe Mariani
Valmadrera (LC) 8-VII-2010

__________________________________

Giuseppe :hi:


047.JPG

Top
profilo
 Oggetto del messaggio: Re: Dittero da determinare
MessaggioInviato: 11/07/2010, 0:43 
 

Iscritto il: 06/02/2009, 9:05
Messaggi: 2588
Località: Alghero
Nome: Pietro Niolu
La nervatura é quella di un Asilidae.
E' morto?
Se hai l'insetto sono necessari dei dettagli: spina apicale della prima tibia, delle antenne con ben visibili tutti i segmenti e lo stilo, delle pleure (settore laterale del torace) e dello scuto con le sue setole, della faccia con barba e baffi.
Ancora una nervatura alare meglio leggibile sul lato costale (magari con una foto più grande).

Saluti

_________________
Ciao
Pietro


Top
profilo
 Oggetto del messaggio: Re: Dittero da determinare
MessaggioInviato: 22/07/2010, 10:58 
Avatar utente

Iscritto il: 04/02/2009, 17:49
Messaggi: 5557
Località: Cagliari
Nome: Daniele Sechi
Giuseppe...?

_________________
:hi:
Daniele


Top
profilo
 Oggetto del messaggio: Re: Dittero da determinare
MessaggioInviato: 22/07/2010, 15:25 
 

Iscritto il: 05/05/2010, 11:56
Messaggi: 1521
Nome: Giuseppe Mariani
Ciao Daniele, :D
Io ti hò mandato un MP dicendoti che avevo due di questi Asilidae, e se eri d'accordo, te ne avrei inviato uno, così avresti guardato con calma tutto quello che era necessario per la determinazione, ma non hò ricevuto nessuna risposta da parte tua, evidentemente il messaggio è andato perso.
Se sei d'accordo, fammi un fischio che te lo spedisco.

_________________________________

Giuseppe :hi:


Top
profilo
 Oggetto del messaggio: Re: Dittero da determinare
MessaggioInviato: 22/07/2010, 18:19 
 

Iscritto il: 05/05/2010, 11:56
Messaggi: 1521
Nome: Giuseppe Mariani
Quì hò fatto confusione :bit (è il caldo)
volevo dire che il MP l'hò inviato a Pietro e non a Daniele (Pietro fammi sapere)

_______________________________

Giuseppe :hi:


Top
profilo
 Oggetto del messaggio: Re: Asilidae da determinare - Toscana
MessaggioInviato: 07/11/2013, 13:34 
 

Iscritto il: 31/05/2010, 13:17
Messaggi: 166
Località: Warsaw
Nome: Jan Tatur-Dytkowski
Femmina di Molobratia teutonus.

_________________
"Whenever I hear of the capture of rare beetles, I feel like an old war-horse at the sound of a trumpet"

- Charles Darwin


Top
profilo
Visualizza ultimi messaggi:  Ordina per  
nuovo argomento
rispondi
Pagina 1 di 1 [ 6 messaggi ]

Tutti gli orari sono UTC + 1 ora [ ora legale ]


Chi c’è in linea

Visitano il forum: Nessuno e 1 ospite


Non puoi aprire nuovi argomenti
Non puoi rispondere negli argomenti
Non puoi modificare i tuoi messaggi
Non puoi cancellare i tuoi messaggi
Non puoi inviare allegati

Cerca per:
Vai a: