Benvenuto Ospite

Forum Entomologi Italiani

www.entomologiitaliani.net/forum
 
Oggi è 16/02/2026, 18:47

Tutti gli orari sono UTC + 1 ora [ ora legale ]

Zaira cinerea (Fallén 1810). Pupari in Carabus morbillosus morbillosus

23.III.2009 - ITALIA - Sardegna - SS, Olmedo: Pulpazos


nuovo argomento
rispondi
Vai alla pagina Precedente  1, 2
Pagina 2 di 2 [ 25 messaggi ]
Autore Messaggio
 Oggetto del messaggio: Re: Carabus morbillosus ?
MessaggioInviato: 03/04/2009, 10:38 
Avatar utente

Iscritto il: 02/02/2009, 23:32
Messaggi: 5645
Località: da Ferrara ad Alghero
Nome: Roberto A. Pantaleoni
Hai ragione, scusa :oops: !

Montage_1.jpg


Montage_2.jpg


Montage_3.jpg


Montage_4.jpg



Roberto :to:

_________________
verum stabile cetera fumus


Top
profilo
MessaggioInviato: 07/04/2009, 11:27 
Avatar utente

Iscritto il: 02/02/2009, 23:32
Messaggi: 5645
Località: da Ferrara ad Alghero
Nome: Roberto A. Pantaleoni
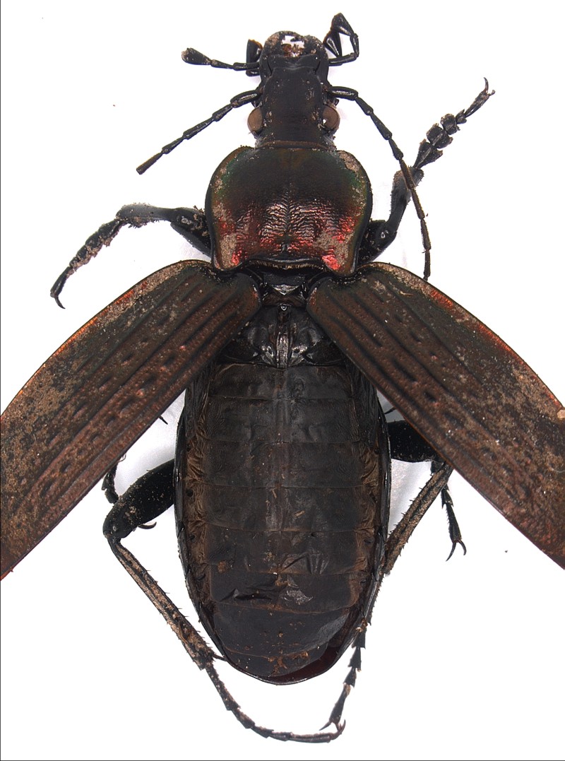
Ieri, nella medesima località, sollecitato anche dalla graditissima telefonata di Pierfilippo/zeuxia, ho cercato per un'oretta sotto i cumuli di erba tagliata ed ho trovato un secondo esemplare che non sarà "smontato", anche i attesa di scoprire da dove "escono" i parassiti.
Carabus_morbillosus_Olmedo_06Aprile2009.jpg



Roberto :to:

_________________
verum stabile cetera fumus


Top
profilo
MessaggioInviato: 14/04/2009, 11:24 
Avatar utente

Iscritto il: 02/02/2009, 23:32
Messaggi: 5645
Località: da Ferrara ad Alghero
Nome: Roberto A. Pantaleoni
Oggi abbiamo trovato i primi due Tachinidi sfarfallati dal primo Carabus raccolto. Ecco la foto di un esemplare in tutte le sua "facce".

1Tachinidae_Olmedo_suCarabus_8,25mm_sfarf12_IV_2009.jpg


2Tachinidae_Olmedo_suCarabus_8,25mm_sfarf12_IV_2009.jpg


3Tachinidae_Olmedo_suCarabus_8,25mm_sfarf12_IV_2009.jpg


4Tachinidae_Olmedo_suCarabus_8,25mm_sfarf12_IV_2009.jpg



Roberto :to:

_________________
verum stabile cetera fumus


Top
profilo
MessaggioInviato: 15/04/2009, 16:53 
 

Iscritto il: 06/02/2009, 9:05
Messaggi: 2588
Località: Alghero
Nome: Pietro Niolu
Suggerirei senza troppa convinzione Zaira cinerea, alcuni caratteri sembrano corrispondere, ci vorrebbe però uno specialista, per me é troppo difficile!

_________________
Ciao
Pietro


Top
profilo
MessaggioInviato: 15/04/2009, 19:30 
Avatar utente

Iscritto il: 02/02/2009, 23:32
Messaggi: 5645
Località: da Ferrara ad Alghero
Nome: Roberto A. Pantaleoni
Bravissimo Pietro, ce lo conferma Pierfilippo Cerretti (il nostro zeuxia) che, preferendo la mail, scrive:
"Ho visto la bella foto e senza dubbio si tratta di Zaira cinerea! confermo nessun dato pubblicato su C. morbillosus. ciao, P"

Roberto :to:

PS per Filippo/Eopteryx: uno a uno sei in recupero :) !
PS per gli altri: scusate l'off topic con Filippo, ma abbiamo in corso una mezza scommessa :D .

_________________
verum stabile cetera fumus


Top
profilo
MessaggioInviato: 15/04/2009, 19:50 
Avatar utente

Iscritto il: 06/02/2009, 9:02
Messaggi: 1429
Località: Verona - Roma - Foggia e sporadicamente Padova
Nome: Filippo Di Giovanni
:D

_________________
"Non posso separare il piacere estetico che provo nel vedere una farfalla dal piacere scientifico di sapere che cosa è" (V.Nabokov)


Top
profilo
MessaggioInviato: 12/05/2009, 11:18 
Avatar utente

Iscritto il: 06/02/2009, 9:14
Messaggi: 91
Nome: Alessandro Molinu
:pc:
Ciao a tutti,
anche dal secondo Carabus sono sfarfallati alcuni Tachinidae, 4 esemplari che sembrano sempre di Zaira cinerea (allego la foto di un esemplare).
In più sono sbucati dei coinquilini; all'esterno del carabo si sono impupati dei piccoli ditteri, 3 pupari per 3 adulti (allego le foto), ignoro completamente famiglia, genere e specie :?
Resta da verificare sul secondo carabo la via di uscita dei tachinidi.
:pc:


Adulto di coinquilino su II Carabus
Coinquilini_Carabus_morbillosus_adulto_sfarf9_V_2009.jpg

Pupari dei coinquilini su II Carabus
Coinquilini_su II_C_morbillosus_pupari.jpg

Adulto di Z. cinerea sfarfallato da II Carabus
Tachinidae_Zaira_da II_C_morbillosus_sfarf27_IV_2009.jpg

Top
profilo
MessaggioInviato: 12/05/2009, 18:32 
Avatar utente

Iscritto il: 02/02/2009, 23:32
Messaggi: 5645
Località: da Ferrara ad Alghero
Nome: Roberto A. Pantaleoni
Pierfilippo Cerretti mi scrive oggi:
Cita:
Ciao Roberto,
i coinquilini sono Phoridae… per il genere la vedo dura!
A presto, pierfilippo

p.s. confermo, il tachinide è Z. cinerea (femmina)


Ciao Roberto :)

_________________
verum stabile cetera fumus


Top
profilo
MessaggioInviato: 12/05/2009, 19:44 
Avatar utente

Iscritto il: 06/02/2009, 9:02
Messaggi: 1429
Località: Verona - Roma - Foggia e sporadicamente Padova
Nome: Filippo Di Giovanni
e quindi vinco la scommessa... :mrgreen:

_________________
"Non posso separare il piacere estetico che provo nel vedere una farfalla dal piacere scientifico di sapere che cosa è" (V.Nabokov)


Top
profilo
MessaggioInviato: 02/07/2010, 9:06 
 

Iscritto il: 01/07/2010, 11:34
Messaggi: 43
Nome: Daniel Whitmore
Ciao Alessandro,

I piccoli coinquilini sono Phoridae, probabilmente del megagenere Megaselia.

_________________
Daniel


Top
profilo
Visualizza ultimi messaggi:  Ordina per  
nuovo argomento
rispondi
Vai alla pagina Precedente  1, 2
Pagina 2 di 2 [ 25 messaggi ]

Tutti gli orari sono UTC + 1 ora [ ora legale ]


Chi c’è in linea

Visitano il forum: Nessuno e 1 ospite


Non puoi aprire nuovi argomenti
Non puoi rispondere negli argomenti
Non puoi modificare i tuoi messaggi
Non puoi cancellare i tuoi messaggi
Non puoi inviare allegati

Cerca per:
Vai a: