Forum Entomologi Italiani
https://www.entomologiitaliani.net/public/forum/phpbb3/

Cynipidae? - Hymenoptera
https://www.entomologiitaliani.net/public/forum/phpbb3/viewtopic.php?f=313&t=54619
Pagina 1 di 1

Autore:  Mikiphasmide [ 27/06/2014, 21:55 ]
Oggetto del messaggio:  Cynipidae? - Hymenoptera

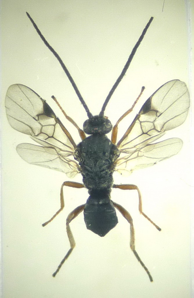
Trovato questo curioso imenottero ombrellando un arbusto, credo, di Hippophae. L'unica famiglia che mi sia venuta in mente alla quale possa appartenere è Cynipidae, ma non sono affatto sicuro :?
5,5 mm

Allegati:
P1500241.jpg

P1500238.jpg

P1500234.jpg


Autore:  Andricus [ 28/06/2014, 0:46 ]
Oggetto del messaggio:  Re: Cynipidae? - Hymenoptera

Non potrebbe essere un Braconidae o un Ichneumonidae?

Autore:  Mikiphasmide [ 28/06/2014, 0:52 ]
Oggetto del messaggio:  Re: Cynipidae? - Hymenoptera

Ci avevo pensato... se è così se passasse Eopteryx ce lo confermerebbe.

Pagina 1 di 1 Tutti gli orari sono UTC + 1 ora [ ora legale ]
Powered by phpBB® Forum Software © phpBB Group
http://www.phpbb.com/