Benvenuto Ospite

Forum Entomologi Italiani

www.entomologiitaliani.net/forum
 
Oggi è 27/04/2026, 4:12

Tutti gli orari sono UTC + 1 ora [ ora legale ]

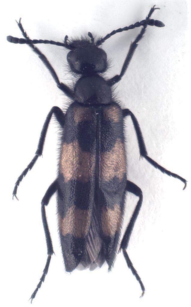
Meloidae sp.

VII.2018 - ITALIA - Piemonte - TO, Monte Musinè - 400m - Caselette


nuovo argomento
rispondi
Pagina 1 di 1 [ 9 messaggi ]
Autore Messaggio
 Oggetto del messaggio: Meloidae sp.
MessaggioInviato: 25/01/2019, 11:23 
 

Iscritto il: 13/11/2011, 13:51
Messaggi: 961
Nome: Paolo Bigliani
Ciao

Potrebbe essere Mylabris (Mylabris) variabilis (Pallas, 1781)?
Lunghezza = 11mm

Grazie per l'aiuto

Buona giornata :hi: :hi: :hi:

Paolo

A 1.jpg



Top
profilo
 Oggetto del messaggio: Re: Meloidae da identificare
MessaggioInviato: 25/01/2019, 11:36 
Avatar utente

Iscritto il: 05/02/2009, 17:31
Messaggi: 9527
Località: milano
Nome: maurizio pavesi
oppure Hycleus polymorphus polymorphus (Pallas, 1771) :roll: ?

_________________
*****************
Immagine maurizio


Top
profilo
 Oggetto del messaggio: Re: Meloidae da identificare
MessaggioInviato: 25/01/2019, 12:06 
 

Iscritto il: 13/11/2011, 13:51
Messaggi: 961
Nome: Paolo Bigliani
Ciao

La mancanza di stria mediana sul pronoto può indicare Mylabris piuttosto che Hycleus?
Grazie ancora :hi:

Paolo

A 2.jpg



Top
profilo
 Oggetto del messaggio: Re: Meloidae da identificare
MessaggioInviato: 25/01/2019, 12:30 
Avatar utente

Iscritto il: 21/05/2009, 14:59
Messaggi: 6995
Località: Parigi
Nome: Riccardo Poloni
Gli Hycleus dovrebbero avere la terza macchia che non arriva all'apice elitrale, quindi dovrebbe essere una Mylabris variabilis

_________________
Riccardo Poloni
La dignità degli elementi
la libertà della poesia,
al di là dei tradimenti degli uomini
è magia, è magia, è magia...
Negrita, Rotolando verso sud


Top
profilo
 Oggetto del messaggio: Re: Meloidae da identificare
MessaggioInviato: 25/01/2019, 12:35 
 

Iscritto il: 13/11/2011, 13:51
Messaggi: 961
Nome: Paolo Bigliani
Grazie a tutti

Buona giornata :hi: :hi: :hi:

Paolo


Top
profilo
 Oggetto del messaggio: Re: Meloidae da identificare
MessaggioInviato: 25/01/2019, 15:21 
Avatar utente

Iscritto il: 05/02/2009, 17:31
Messaggi: 9527
Località: milano
Nome: maurizio pavesi
Plagionotus ha scritto:
Gli Hycleus dovrebbero avere la terza macchia che non arriva all'apice elitrale...

verificherò in collezione... cmq il fatto che una si chiami variabilis e l'altro polymorphus mi preoccupa :to:

_________________
*****************
Immagine maurizio


Top
profilo
 Oggetto del messaggio: Re: Meloidae da identificare
MessaggioInviato: 25/01/2019, 20:56 
 

Iscritto il: 08/12/2013, 1:52
Messaggi: 7704
Località: Bagnacavallo (RA)
Nome: Giorgio Pezzi
In Mylabris variabilis il 3° art. antennale è ben più lungo che il 4°, appena più in polymorphus ma quest'ultima specie si differenzia subito per i lunghi peli neri irti sulle prozampe, tarsi in particolare che qui non vedo. Quanto alla colorazione, salvo melanismi estremi, polymorphus ha macchie/bande gialle su 4 "linee", l'ultima (macchia) presso l'apice che variabilis non ha mai. Quindi per me è M. (Mylabris) variabilis (Pallas, 1781).
:hi:


Top
profilo
 Oggetto del messaggio: Re: Meloidae da identificare
MessaggioInviato: 25/01/2019, 22:06 
Avatar utente

Iscritto il: 13/10/2010, 18:21
Messaggi: 2004
Nome: Andrea Liberto
Ha l'aspetto di un maschietto, e non vedo (come dice Chalybion) ai lati dei protarsi le caratteristiche lunghe setole agglutinate divergenti dei maschi di Hycleus del gruppo polymorphus. Inoltre non vedo tracce di stria o linea mediana sul pronoto.

Perché non utilizzi l'ottima chiave della Fauna d'Italia di Marco (pag. 185), esaminando inoltre le mesopleure ?

Ciao, A. :hi:


Top
profilo
 Oggetto del messaggio: Re: Meloidae da identificare
MessaggioInviato: 26/01/2019, 10:02 
 

Iscritto il: 13/11/2011, 13:51
Messaggi: 961
Nome: Paolo Bigliani
Ciao

Ho provato ad usarle, ma mi sono arenato proprio sulle mesopleure ..... dove posso trovarle :oops: :oops: :oops: :oops: ? Nella foto c'è qualcosa che possa servire?

Grazie per l'aiuto e buon fine settimana :hi: :hi:

Paolo

A 3.jpg



Top
profilo
Visualizza ultimi messaggi:  Ordina per  
nuovo argomento
rispondi
Pagina 1 di 1 [ 9 messaggi ]

Tutti gli orari sono UTC + 1 ora [ ora legale ]


Chi c’è in linea

Visitano il forum: Nessuno e 1 ospite


Non puoi aprire nuovi argomenti
Non puoi rispondere negli argomenti
Non puoi modificare i tuoi messaggi
Non puoi cancellare i tuoi messaggi
Non puoi inviare allegati

Cerca per:
Vai a:  
cron