Benvenuto Ospite

Forum Entomologi Italiani

www.entomologiitaliani.net/forum
 
Oggi è 16/02/2026, 4:35

Tutti gli orari sono UTC + 1 ora [ ora legale ]

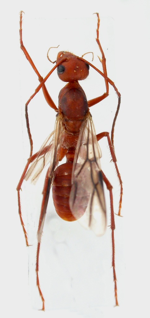
Cataglyphis sp. - Formicidae Formicinae

12.V.2017 - MAROCCO - EE, MEKNES-TAFILALT – Strada N8 – 11,9 Km a 23° da Khenifra, R. Rattu leg.


nuovo argomento
rispondi
Pagina 1 di 1 [ 3 messaggi ]
Autore Messaggio
MessaggioInviato: 28/12/2017, 16:09 
Avatar utente

Iscritto il: 02/09/2009, 20:57
Messaggi: 8703
Località: Cagliari
Nome: Roberto Rattu
Preparazione senz'altro poco soddisfacente per un mirmecologo ma spero comunque si possa dire qualcosa. Lunghezza: 10 mm. Rinvenuto a sfalcio ai margini di un corso d'acqua:

DSCN3290.JPG


DSCN3289.JPG



Top
profilo
 Oggetto del messaggio: Re: Formicidae da id.
MessaggioInviato: 28/12/2017, 17:38 
 

Iscritto il: 29/04/2014, 1:30
Messaggi: 475
Località: Napoli
Nome: Vincenzo Gentile
Cataglyphis sp., maschio.

Con esemplare in mano forse (ma forse) si potrebbe dire qualcosa in più.

_________________
Vade ad formicam...


Top
profilo
MessaggioInviato: 28/12/2017, 18:02 
Avatar utente

Iscritto il: 02/09/2009, 20:57
Messaggi: 8703
Località: Cagliari
Nome: Roberto Rattu
Ciao Vincenzo, grazie :)

:hi:


Top
profilo
Visualizza ultimi messaggi:  Ordina per  
nuovo argomento
rispondi
Pagina 1 di 1 [ 3 messaggi ]

Tutti gli orari sono UTC + 1 ora [ ora legale ]


Chi c’è in linea

Visitano il forum: Nessuno e 2 ospiti


Non puoi aprire nuovi argomenti
Non puoi rispondere negli argomenti
Non puoi modificare i tuoi messaggi
Non puoi cancellare i tuoi messaggi
Non puoi inviare allegati

Cerca per:
Vai a: