Benvenuto Ospite

Forum Entomologi Italiani

www.entomologiitaliani.net/forum
 
Oggi è 29/03/2026, 11:39

Tutti gli orari sono UTC + 1 ora [ ora legale ]

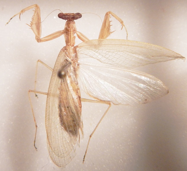
Tropidomantis ( Tropidomantis ) tenera (Stal, 1858) - Iridopterygidae - Tropidomantinae

MALESIA - EE, Cameron Highlands


nuovo argomento
rispondi
Pagina 1 di 1 [ 3 messaggi ]
Autore Messaggio
MessaggioInviato: 15/11/2014, 16:34 
Avatar utente

Iscritto il: 19/06/2012, 14:35
Messaggi: 5666
Località: Alfonsine (RA)
Nome: Marco Villani
Il genere Tropidomantis è ampiamente diffuso dal Nepal alla Nuova Guinea con 5 specie suddivise in 2 sottogeneri. Il sottogenere Tropidomantis è caratterizzato da dimensioni molto ridotte (15-25 mm) e da tegmine monocrome e ialine. La specie a più ampia diffusione è T. tenera, che quest'anno è stata segnalata per la Polinesia francese (Ramage & Roy, 2014). Si differenzia dalla simile T. gressitti per le dimensioni inferiori e la corporatura più allungata.
Questa è una femmina proveniente da Cameron Highlands


feefwhtwrehju 008.JPG

Top
profilo
MessaggioInviato: 15/11/2014, 16:43 
Avatar utente

Iscritto il: 01/07/2010, 22:26
Messaggi: 5663
Località: Viterbo
Nome: Marco Selis
Di recente seguendo alcune aste di insetti filippini ho visto delle mantidi con le ali trasparenti come in questo esemplare. Ci sono specie segnalate per l'arcipelago filippino?


Top
profilo
MessaggioInviato: 15/11/2014, 19:39 
Avatar utente

Iscritto il: 19/06/2012, 14:35
Messaggi: 5666
Località: Alfonsine (RA)
Nome: Marco Villani
Le ho viste e ne ho acquistate. Sembra essere una nuova specie endemica delle Filippine, dove convive con T. (Tropidomantis) tenera, seppur con areale più meridionale (Mindanao).


Top
profilo
Visualizza ultimi messaggi:  Ordina per  
nuovo argomento
rispondi
Pagina 1 di 1 [ 3 messaggi ]

Tutti gli orari sono UTC + 1 ora [ ora legale ]


Chi c’è in linea

Visitano il forum: Nessuno e 2 ospiti


Non puoi aprire nuovi argomenti
Non puoi rispondere negli argomenti
Non puoi modificare i tuoi messaggi
Non puoi cancellare i tuoi messaggi
Non puoi inviare allegati

Cerca per:
Vai a: