Benvenuto Ospite

Forum Entomologi Italiani

www.entomologiitaliani.net/forum
 
Oggi è 30/03/2026, 10:20

Tutti gli orari sono UTC + 1 ora [ ora legale ]

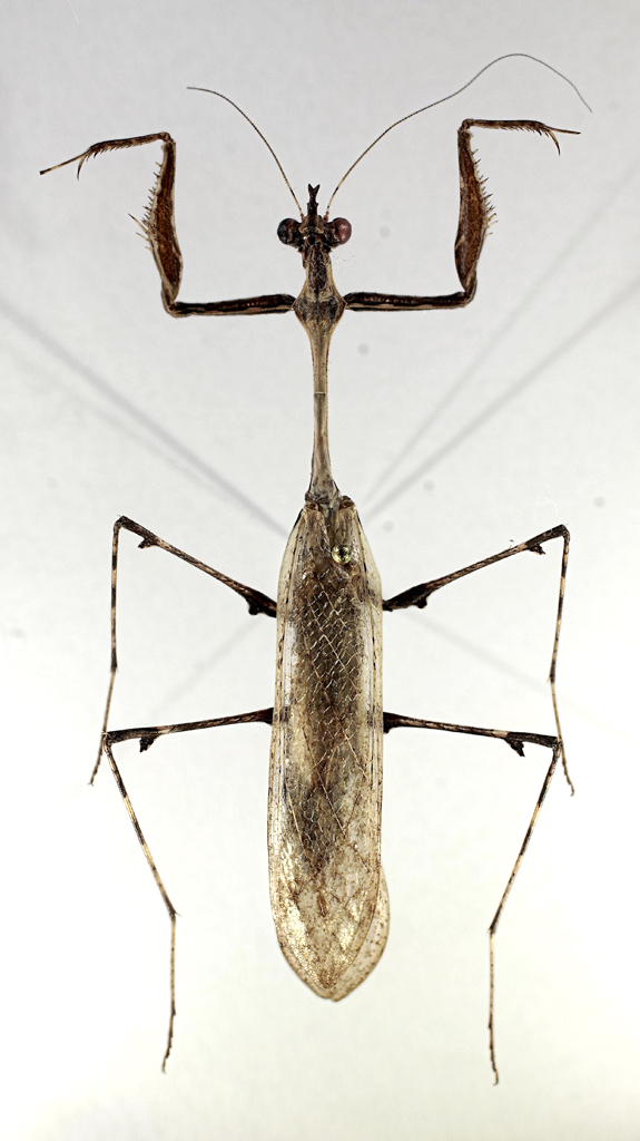
Sibylla (Sibyllopsis) griffinii Giglio-Tos, 1915 - Hymenopodidae Sibyllinae - Gabon

XI.2019 - GABON - EE, Parc National des Monts de Cristal, Kinguélé, 19-30.XI.2019, legit D. Sechi


nuovo argomento
rispondi
Pagina 1 di 1 [ 4 messaggi ]
Autore Messaggio
MessaggioInviato: 30/12/2019, 18:23 
Avatar utente

Iscritto il: 04/02/2009, 17:49
Messaggi: 5557
Località: Cagliari
Nome: Daniele Sechi
Altra Sibylla da identificare. Lunghezza 45 mm.
2019-12-26-21.47.27 ZS PMax forum.jpg

cornojpg.jpg


_________________
:hi:
Daniele


Top
profilo
MessaggioInviato: 02/01/2021, 13:57 
Avatar utente

Iscritto il: 04/02/2009, 17:49
Messaggi: 5557
Località: Cagliari
Nome: Daniele Sechi
Questa l'hai controllata? Sibylla (Sibyllopsis) griffinii guineensis Roy, 1965?

_________________
:hi:
Daniele


Top
profilo
MessaggioInviato: 02/01/2021, 16:54 
Avatar utente

Iscritto il: 19/06/2012, 14:35
Messaggi: 5666
Località: Alfonsine (RA)
Nome: Marco Villani
Sì, anche io ero arrivato a griffinii. Sulla validità della sottospecie guineensis ho forti dubbi, dal momento che esistono tutte le forme di transizione tra essa e la tipica, ma in ogni caso nel Gabon ci sarebbe la forma tipica (la guineensis è più occidentale).
Marco :hi:


Top
profilo
MessaggioInviato: 02/01/2021, 17:33 
Avatar utente

Iscritto il: 04/02/2009, 17:49
Messaggi: 5557
Località: Cagliari
Nome: Daniele Sechi
marco villa ha scritto:
Sì, anche io ero arrivato a griffinii. Sulla validità della sottospecie guineensis ho forti dubbi, dal momento che esistono tutte le forme di transizione tra essa e la tipica, ma in ogni caso nel Gabon ci sarebbe la forma tipica (la guineensis è più occidentale).
Marco :hi:

:ok:

_________________
:hi:
Daniele


Top
profilo
Visualizza ultimi messaggi:  Ordina per  
nuovo argomento
rispondi
Pagina 1 di 1 [ 4 messaggi ]

Tutti gli orari sono UTC + 1 ora [ ora legale ]


Chi c’è in linea

Visitano il forum: Nessuno e 5 ospiti


Non puoi aprire nuovi argomenti
Non puoi rispondere negli argomenti
Non puoi modificare i tuoi messaggi
Non puoi cancellare i tuoi messaggi
Non puoi inviare allegati

Cerca per:
Vai a:  
cron