Benvenuto Ospite

Forum Entomologi Italiani

www.entomologiitaliani.net/forum
 
Oggi è 31/01/2026, 18:49

Tutti gli orari sono UTC + 1 ora [ ora legale ]

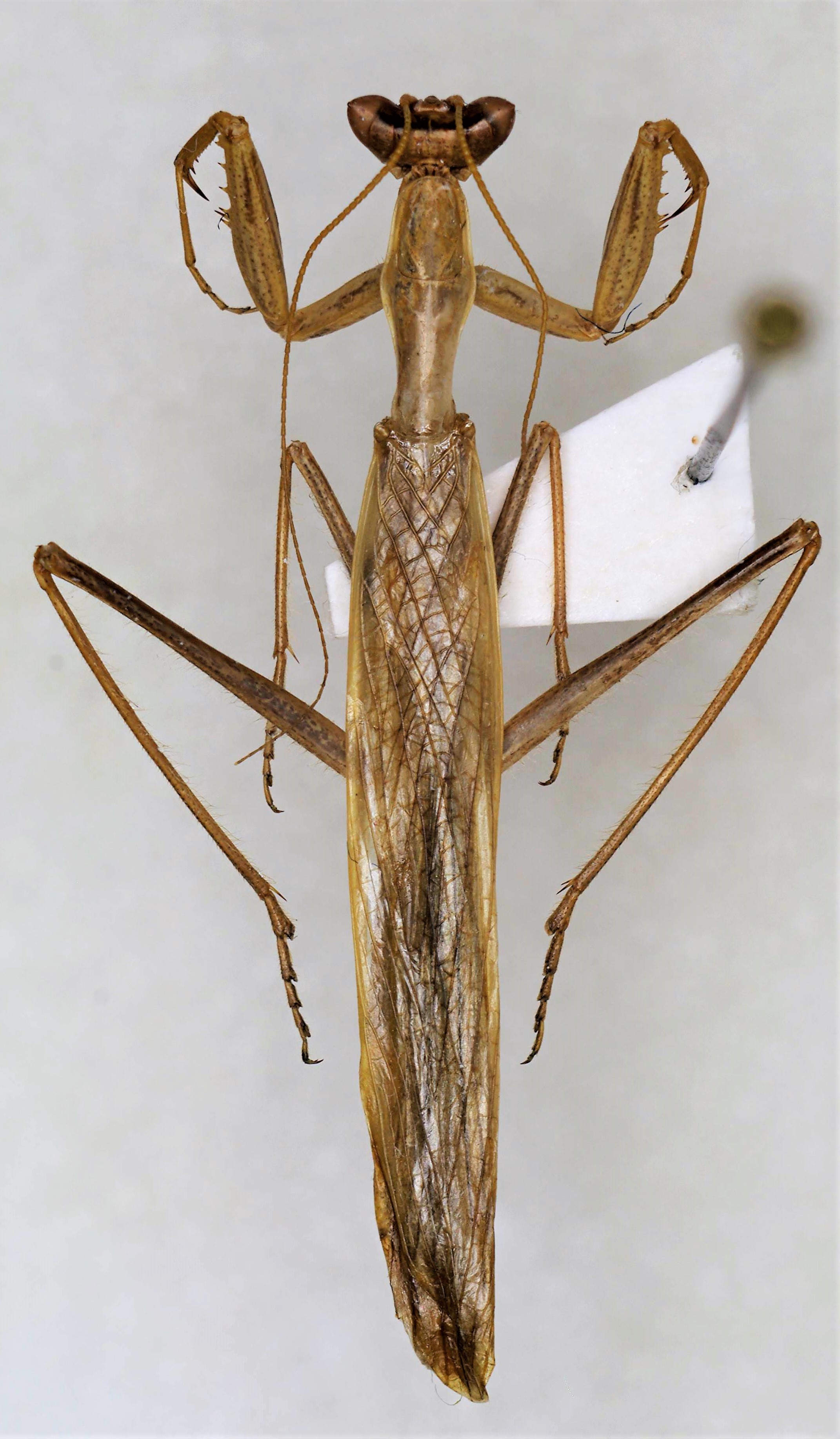
Parameles (Parameles) acuta Villani, 2020 - Mantodea, Amelidae, Amelini

1.VII.2019 - MAROCCO - EE, Berkane prov., 30 km W Berkane, Moulouya river, 47 m, 34°54’02”N 2°38’34”W, leg. I. Zappi


nuovo argomento
rispondi
Pagina 1 di 1 [ 6 messaggi ]
Autore Messaggio
MessaggioInviato: 05/01/2021, 22:30 
Avatar utente

Iscritto il: 19/06/2012, 14:35
Messaggi: 5661
Località: Alfonsine (RA)
Nome: Marco Villani
Vi mostro l'olotipo di questa specie recentemente descritta in un articolo sulla tassonomia degli Amelini. Ovviamente le foto (le stesse della descrizione originale) non sono mie, ma di Augusto Degiovanni, che ringrazio anche qui per la disponibilità, la professionalità e la gentilezza con le quali ha realizzato questi eccellenti scatti :) . Spero non me ne voglia Augusto se uso le sue foto in un mio post, ma credo che nessuno potrebbe mai attribuirle a me :oops: .
Parameles acuta è attualmente nota dell'Algeria nord-occidentale, del Marocco nord-orientale e della parte più meridionale della Penisola Iberica (Andalucia). In passato è stata più volte confusa con Ameles nana (ora sinonimo di Ameles spallanzania) e con Parameles picteti (che, come dimostrano i tipi, è una specie diversa da come viene intesa nelle ultime revisioni). La specie più strettamente imparentata a Parameles acuta è effettivamente Parameles picteti, dalla quale differisce soprattutto per gli occhi più distintamente conici e con un tubercolo apicale evidente e per la conformazione dei genitali.
foto parameles acuta holotypus.png


parameles acuta habitus.jpg


parameles acuta habitus ventral.jpg


parameles acuta modificata.jpg


Tra l'altro, l'esemplare che ho designato come olotipo è stato raccolto dal "nostro" Iuri Zappi, e l'ho acquistato ad Entomodena.
Qui la descrizione originale.
Marco :hi:


Top
profilo
MessaggioInviato: 05/01/2021, 22:41 
Avatar utente

Iscritto il: 10/05/2010, 22:31
Messaggi: 4372
Località: Gavorrano (GR)
Nome: marco bastianini
Ho dato un'occhiata al lavoro che hai da poco postato;ovviamente non mi intendo assolutamente di queste bestiole, ma ciò non mi impedisce di valutare e capire che si tratta di un gran bel lavoro e la tua giovane età gli rende ancora più merito.Bravissimo Marco. :ok: :ok: :ok:

_________________
:to: Marco
"Le foreste a precedere le civiltà, i deserti a seguire."
François-René de Chateaubriand


Top
profilo
MessaggioInviato: 06/01/2021, 14:53 
Avatar utente

Iscritto il: 21/04/2015, 21:43
Messaggi: 413
Località: Firenze
Nome: Lorenzo Pancini
Anche io non ci capisco niente di mantidi,ma il tuo lavoro é ben argomento e veramente ben scritto! Complimenti! :ok: :birra:

_________________
Lorenzo


Top
profilo
MessaggioInviato: 06/01/2021, 16:26 
Avatar utente

Iscritto il: 19/06/2012, 14:35
Messaggi: 5661
Località: Alfonsine (RA)
Nome: Marco Villani
Grazie a tutti!
Marco :hi:


Top
profilo
MessaggioInviato: 06/01/2021, 19:43 
Avatar utente

Iscritto il: 26/01/2019, 15:53
Messaggi: 185
Località: Campagna (SA)
Nome: Antonio Fasano
Un lavoro bellissimo, completo ed estremamente accurato. Complimenti Marco!!! :ok: :ok: :ok:

_________________
A differenza degli altri insetti che possono vedere, le mantidi possono guardare.....


Top
profilo
MessaggioInviato: 08/01/2021, 11:39 
Avatar utente

Iscritto il: 19/06/2012, 14:35
Messaggi: 5661
Località: Alfonsine (RA)
Nome: Marco Villani
Grazie, Antonio :)
Marco.


Top
profilo
Visualizza ultimi messaggi:  Ordina per  
nuovo argomento
rispondi
Pagina 1 di 1 [ 6 messaggi ]

Tutti gli orari sono UTC + 1 ora [ ora legale ]


Chi c’è in linea

Visitano il forum: Nessuno e 2 ospiti


Non puoi aprire nuovi argomenti
Non puoi rispondere negli argomenti
Non puoi modificare i tuoi messaggi
Non puoi cancellare i tuoi messaggi
Non puoi inviare allegati

Cerca per:
Vai a: