| Autore |
Messaggio |
|
Pactolinus
|
Inviato: 23/07/2012, 17:36 |
|
Iscritto il: 14/01/2010, 0:10 Messaggi: 3603 Località: Liguria, Genova
Nome: Giovanni Ratto
|
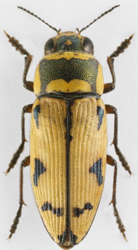
Corel PaintShop Photo Pro X3 (Fatto in maniera "veloce") 
_________________ GiovanniPactolinus gigas (Paykull, 1811)
|
|
| Top |
|
 |
|
clido
|
Inviato: 23/07/2012, 17:38 |
|
| Amministratore |
 |
Iscritto il: 06/02/2009, 9:16 Messaggi: 6922 Località: Portici (Napoli)
Nome: Claudio Labriola
|
Ciao Daniele, ecco il risultato che ho ottenuto usando Photoshop. Pulizia sfondo con selezione e pennelli usando le maschere di livello, leggera aggiustatina alle ombre e alle luci e come ultima operazione ho aggiunto un po' di filtro maschera di contrasto per aumentare un po' la nitidezza. Il risultato può essere sicuramente migliore lavorandoci più tempo, direttamente sul file originale e soprattutto se tutto il soggetto è a fuoco. 
_________________ Claudio LabriolaBuona Vita!!!!
|
|
| Top |
|
 |
|
Daniele Sechi
|
Inviato: 23/07/2012, 17:44 |
|
Iscritto il: 04/02/2009, 17:49 Messaggi: 5557 Località: Cagliari
Nome: Daniele Sechi
|
clido ha scritto: Ciao Daniele, ecco il risultato che ho ottenuto usando Photoshop. Pulizia sfondo con selezione e pennelli usando le maschere di livello, leggera aggiustatina alle ombre e alle luci e come ultima operazione ho aggiunto un po' di filtro maschera di contrasto per aumentare un po' la nitidezza. Il risultato può essere sicuramente migliore lavorandoci più tempo, direttamente sul file originale e soprattutto se tutto il soggetto è a fuoco.  Indubbiamente un gran miglioramento Clido, al costo di...?
_________________  Daniele
|
|
| Top |
|
 |
|
Mikiphasmide
|
Inviato: 23/07/2012, 19:13 |
|
Iscritto il: 21/02/2011, 15:25 Messaggi: 3879 Località: Montecchio Emilia (RE)
Nome: Violi Michele
|
|
Io ancora non ho capito come fate a fare lo sfondo in ECECEC, credo che mel'abbiate spiegato, o sul forum o su mp, ma essendo duro di comprendonio e molto poco pratico con fotografie e fotoritocco non ho capito. Riuscite a spiegarmelo?
_________________ Michele 
|
|
| Top |
|
 |
|
Julodis
|
Inviato: 24/07/2012, 8:27 |
|
Iscritto il: 30/12/2009, 22:20 Messaggi: 31564 Località: Roma
Nome: Maurizio Gigli
|
|
Per Miki:
Ci sono essenzialmente due modi per avere uno sfondo grigio uniforme ECECEC. Uno più costoso e laborioso, ed uno più economico e più rapido.
Prima di fare come descritto nei punti 1 o 2, se necessario bisogna fare il bilanciamento del bianco. Photoshop mi pare lo abbia già incorporato. ce l'hanno anche le ultime versioni di Paint Shop Pro (X, X1, X2, X3, ecc.) ma funziona così male che è praticamente inutile. Faststone non ce l'ha.
Io uso un plugin di cui ho già parlato e messo il link in altra discussione (che ora non posso cercare causa connessione che va e viene), che funziona con Photoshop, dovrebbe funzionare con PSP (ma in realtà funziona con le versioni precedenti e non con le ultime due), e funziona anche con il programma gratuito e velocissimo Irfanview. Per prima cosa si procede col bilanciamento del bianco (io carico l'immagine in Irfanview, modifico il bilanciamento col plugin suddetto e salvo), poi si carica sul programma di fotoritocco preferito e si procede come segue.
1 - Con Photoshop o con Paint Shop Pro, che sono programmi a pagamento, si può ottenere un controllo molto buono dell'immagine (migliore con Photoshop, che però è un po' più complesso). La prima cosa da fare è pulire lo sfondo dalle varie macchie ed imperfezioni, se ci sono. Si può fare selezionando le aree desiderate e cambiandone il colore con vari sistemi, oppure usando la funzione clone. Una volta reso più uniforme lo sfondo, va reso tutto grigio. Per farlo ci sono anche qui vari modi. Si può selezionare con la bacchetta magica e con la selezione manuale tutto lo sfondo e poi colorarlo di grigio (richiede molta precisione, altrimenti ti trovi i contorni dell'insetto col vecchio colore di sfondo oppure parti dell'insetto che risultano tagliate via, soprattutto i peli che sbordano oltre il corpo) oppure agire sui livelli. Io preferisco questo secondo sistema, più veloce e che introduce meno artefatti sull'immagine. Porto i valori chiari da 255 a 236 (236 corrisponde al grigio ECECEC), in modo che tutto ciò che ha i tre colori base più chiari di 236 abbia i valori innalzati a 255, ossia bianco. Se questa modifica schiarisce anche l'insetto, alzo un po' i valori medi, di pochi punti, in modo da compensare. A questo punto lo sfondo è tutto o quasi tutto bianco. Per renderlo grigio, uso il pennello riempimento (secchiello o come si chiama nel vostro programma), rendendolo grigio 236,236,236 (uguale ad ECECEC). In questo modo si cambia lo sfondo senza perdere particolari del'insetto, anche se i bordi sembrano meno netti che col sistema precedente (e si fa molto prima). La funzione riempimento va usata, se il programma lo permette (PSP lo fa) in modo che colori solo le parti più chiare del colore impostato (grigio), altrimenti si rischia che renda grigie anche parti chiare dell'insetto prossime ai margini.
2 - se non si vuole spendere niente e fare prima, si può usare un programma gratuito con qualche funzionalità utile. Io uso Faststone. E' necessario che la foto abbia uno sfondo non troppo irregolare, altrimenti le modifiche devono diventare troppo pesanti. Procedo esattamente come con PSP. Se non ci sono zone troppo irregolari nell'originale (se ci sono, cerco di toglierle con "clona e pulisci" che però non sono buoni come nei programmi di cui sopra), dopo aver raddrizzato e ritagliato l'immagine, vado su "colori" -> "ombre e luci" e schiarisco un po' le parti chiare, aggiusto un po' il contrasto, ecc. Poi vado su "colori" -> "regola livelli" e agisco come prima. In questa finestra c'è anche la possibilità di impostare un valore di soglia. regolandolo su 236, dopo aver regolato i livelli come spiegato prima, mi trovo già lo sfondo ECECEC (unico problema, se l'insetto ha delle parti bianche molto chiare, possono diventare anch'esse grigio ECECEC).
Finite tutte le modifiche, salvo una copia dell'immagine nelle dimensioni originali (veramente ne salvo due, una prima di fare lo sfondo grigio e una dopo), poi riduco l'immagine a 1024x.... di dimensioni, applico una leggerissima maschera di contrasto per compensare la perdita di dettaglio che si genera riducendo l'immagine, e salvo l'immagine definitva per il Forum.
|
|
| Top |
|
 |
|
clido
|
Inviato: 24/07/2012, 18:37 |
|
| Amministratore |
 |
Iscritto il: 06/02/2009, 9:16 Messaggi: 6922 Località: Portici (Napoli)
Nome: Claudio Labriola
|
Daniele Sechi ha scritto: ... Indubbiamente un gran miglioramento Clido, al costo di...? Daniele, immagino che ti riferisca al costo del programma utilizzato, Adobe Photoshop, indubbiamente elevato Io lo uso in ufficio per lavoro e probabilmente per un uso esclusivamente domestico la spesa è sicuramente eccessiva, ma un risultato molto simile lo si può ottenere con programmi equivalenti più economici o addirittura gratuiti per uso personale come ad esempio Gimp.
_________________ Claudio LabriolaBuona Vita!!!!
|
|
| Top |
|
 |
|
Daniele Sechi
|
Inviato: 24/07/2012, 21:40 |
|
Iscritto il: 04/02/2009, 17:49 Messaggi: 5557 Località: Cagliari
Nome: Daniele Sechi
|
clido ha scritto: Daniele Sechi ha scritto: ... Indubbiamente un gran miglioramento Clido, al costo di...? Daniele, immagino che ti riferisca al costo del programma utilizzato, Adobe Photoshop, indubbiamente elevato Io lo uso in ufficio per lavoro e probabilmente per un uso esclusivamente domestico la spesa è sicuramente eccessiva, ma un risultato molto simile lo si può ottenere con programmi equivalenti più economici o addirittura gratuiti per uso personale come ad esempio Gimp. Grazie, proverò!
_________________  Daniele
|
|
| Top |
|
 |
|
Mikiphasmide
|
Inviato: 25/07/2012, 9:11 |
|
Iscritto il: 21/02/2011, 15:25 Messaggi: 3879 Località: Montecchio Emilia (RE)
Nome: Violi Michele
|
Grazie mille Maurizio per la spiegazione! Ho scaricato Faststone, ma non riesco proprio a trovare la funzione riempimento 
_________________ Michele 
|
|
| Top |
|
 |
|
Daniele Sechi
|
Inviato: 25/07/2012, 16:52 |
|
Iscritto il: 04/02/2009, 17:49 Messaggi: 5557 Località: Cagliari
Nome: Daniele Sechi
|
clido ha scritto: un risultato molto simile lo si può ottenere con programmi equivalenti più economici o addirittura gratuiti per uso personale come ad esempio Gimp. Ciao Claudio, ho provato ad installare GIMP ma senza successo, pur seguendo alla lettera le istruzioni di quel forum, il programma non si avvia. Vabbè ho provato a smanettare un po' con Corel Photo-Paint ed ecco il risultato. Più dello scontornamento mi interessa ora lo sfondo che in questa immagine è un grigio a caso, qualcuno sa se può impostare un colore specifico (in questo caso il grigio dello sfondo da noi utilizzato)? In più non trovo in CPP "luci e ombre" o "livelli di colore" 
_________________  Daniele
|
|
| Top |
|
 |
|
clido
|
Inviato: 25/07/2012, 17:21 |
|
| Amministratore |
 |
Iscritto il: 06/02/2009, 9:16 Messaggi: 6922 Località: Portici (Napoli)
Nome: Claudio Labriola
|
Daniele Sechi ha scritto: ... Ciao Claudio, ho provato ad installare GIMP ma senza successo, pur seguendo alla lettera le istruzioni di quel forum, il programma non si avvia. ... Ciao Daniele, che sistema operativo hai e qual'è l'errore?
_________________ Claudio LabriolaBuona Vita!!!!
|
|
| Top |
|
 |
|
Daniele Sechi
|
Inviato: 25/07/2012, 17:37 |
|
Iscritto il: 04/02/2009, 17:49 Messaggi: 5557 Località: Cagliari
Nome: Daniele Sechi
|
clido ha scritto: Daniele Sechi ha scritto: ... Ciao Claudio, ho provato ad installare GIMP ma senza successo, pur seguendo alla lettera le istruzioni di quel forum, il programma non si avvia. ... Ciao Daniele, che sistema operativo hai e qual'è l'errore? Windows Xp Professional
errore.pdf [95.91 KiB]
Scaricato 90 volte
_________________  Daniele
|
|
| Top |
|
 |
|
clido
|
Inviato: 25/07/2012, 17:44 |
|
| Amministratore |
 |
Iscritto il: 06/02/2009, 9:16 Messaggi: 6922 Località: Portici (Napoli)
Nome: Claudio Labriola
|
Daniele Sechi ha scritto: ... Windows Xp Professional errore.pdf La versione 2.8.0 stabile di Gimp può essere installata su una versione di windows XP aggiornata con il Service Pack3 la tua versione è aggiornata? Come alternativa puoi provare una versione meno recente.
_________________ Claudio LabriolaBuona Vita!!!!
|
|
| Top |
|
 |
|
Daniele Sechi
|
Inviato: 25/07/2012, 18:21 |
|
Iscritto il: 04/02/2009, 17:49 Messaggi: 5557 Località: Cagliari
Nome: Daniele Sechi
|
clido ha scritto: Come alternativa puoi provare una versione meno recente. Bene!  Almeno il grigio è quello, sono lento nell'apprendere e questo era il mio intento, ...per oggi Grazie mille Claudio!
_________________  Daniele
|
|
| Top |
|
 |
|
Julodis
|
Inviato: 25/07/2012, 19:39 |
|
Iscritto il: 30/12/2009, 22:20 Messaggi: 31564 Località: Roma
Nome: Maurizio Gigli
|
Mikiphasmide ha scritto: Grazie mille Maurizio per la spiegazione! Ho scaricato Faststone, ma non riesco proprio a trovare la funzione riempimento  Perché non c'è! Quella funzione te l'avevo elencata tra i comandi da usare con Paint Shop Pro o con Photoshop (che sono entrambi a pagamento, anche se PSP costerà forse un decimo di Photoshop). Non a caso con Faststone avevo scritto, per rendere lo sfondo grigio, di usare la funzion "soglia", che si trova nella stessa schermata dei livelli, impostandola sul 236, che corrisponde ad ECECEC.
|
|
| Top |
|
 |
|
Mikiphasmide
|
Inviato: 25/07/2012, 20:08 |
|
Iscritto il: 21/02/2011, 15:25 Messaggi: 3879 Località: Montecchio Emilia (RE)
Nome: Violi Michele
|
|
Ho fatto una prova, credo senza successo.
_________________ Michele 
|
|
| Top |
|
 |
|