Benvenuto Ospite

Forum Entomologi Italiani

www.entomologiitaliani.net/forum
 
Oggi è 30/11/2025, 12:39

Tutti gli orari sono UTC + 1 ora [ ora legale ]

Prima foto con Helicon focus



nuovo argomento
rispondi
Pagina 1 di 1 [ 5 messaggi ]
Autore Messaggio
 Oggetto del messaggio: Prima foto con Helicon focus
MessaggioInviato: 18/10/2011, 22:11 
Avatar utente

Iscritto il: 01/06/2011, 11:43
Messaggi: 292
Località: Palermo
Nome: Lello Brancato
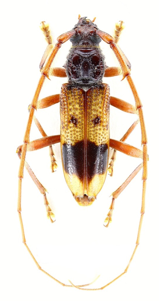
Ho finalmente cominciato a fare prove con il nuovo (per me) software Helicon focus ed Helicon remote e sono rimasto entusiasta.
Ecco la prima foto in assoluto che ho fatto e devo dire che mai avrei pensato di poterci arrivare ! :hp: :hp: :hp:
La comodità, velocità e facilità di utilizzo sono davvero impressionanti.
Utilizzando una Canon con il live wiev e collegamento via USB praticamente da computer setti tutto e dai solo il via.
L'unico rammarico è dover postare foto 1024 px che rendono il 10 % del fotogramma reale.
Che ne pensate ? Sono sulla buona strada ?

Lello


recurva 3.jpg


_________________
....ed era tutta vela la navicella dell'ingegno mio.
Top
profilo
 Oggetto del messaggio: Re: Prima foto con Helicon focus
MessaggioInviato: 18/10/2011, 22:16 
Avatar utente

Iscritto il: 08/07/2010, 10:53
Messaggi: 3171
Località: Matera
Nome: Domenico Cardinale
Ciao Lello :)

mi sa che sei proprio sulla strada giusta! :ok: Secondo me dovresti curare meglio l'esposizione, questa foto la vedo leggermente sovraesposta ;)

_________________
Saluti :hi: Mimmo


Top
profilo
 Oggetto del messaggio: Re: Prima foto con Helicon focus
MessaggioInviato: 18/10/2011, 22:19 
Avatar utente

Iscritto il: 26/03/2010, 14:55
Messaggi: 5985
Località: Romania
Nome: Cosmin-Ovidiu Manci
great first one, qui e la mia prima :ses :ses .

regarding using the Helicon, i recomand you Zerene (is much slower, but better results) or even the free software Combine ZP ... both with better results... see here some comparisons.

:hi: :hi:

_________________
Cosmin-Ovidiu Manci
**********************
cosmln's place - my blog
just insects
Dragonflies of Romania


Top
profilo
 Oggetto del messaggio: Re: Prima foto con Helicon focus
MessaggioInviato: 18/10/2011, 22:25 
Avatar utente

Iscritto il: 01/06/2011, 11:43
Messaggi: 292
Località: Palermo
Nome: Lello Brancato
Mimmo011 ha scritto:
Ciao Lello :)

mi sa che sei proprio sulla strada giusta! :ok: Secondo me dovresti curare meglio l'esposizione, questa foto la vedo leggermente sovraesposta ;)


Lo so, lo so, :oops: infatti ho corretto nelle successive l'esposizione, ma volevo postare proprio questa perché è proprio la prima in assoluto e devo dire che nonostante tutto ne vado fiero :D.
A questo proposito volevo chiedere se per caso uno sfondo non bianco, aiuterebbe; per esempio uno sfondo grigio chiaro.

_________________
....ed era tutta vela la navicella dell'ingegno mio.


Top
profilo
 Oggetto del messaggio: Re: Prima foto con Helicon focus
MessaggioInviato: 18/10/2011, 22:29 
Avatar utente

Iscritto il: 01/06/2011, 11:43
Messaggi: 292
Località: Palermo
Nome: Lello Brancato
cosmln ha scritto:
great first one, qui e la mia prima :ses :ses .

regarding using the Helicon, i recomand you Zerene (is much slower, but better results) or even the free software Combine ZP ... both with better results... see here some comparisons.

:hi: :hi:


Ciao Cosmln,
ho provato il demo e devo dire che a parte il risultato, che mi è sembrato ottimo, lo trovo eccezionale nella semplicità e per la gestione totale da computer; collegando la fotocamera via USB, fa tutto da solo, devo solo impostare l'inquadratura.
Comunque ho visto che Zerene c'è anche per Mac e quindi vedremo....

_________________
....ed era tutta vela la navicella dell'ingegno mio.


Top
profilo
Visualizza ultimi messaggi:  Ordina per  
nuovo argomento
rispondi
Pagina 1 di 1 [ 5 messaggi ]

Tutti gli orari sono UTC + 1 ora [ ora legale ]


Chi c’è in linea

Visitano il forum: Nessuno e 1 ospite


Non puoi aprire nuovi argomenti
Non puoi rispondere negli argomenti
Non puoi modificare i tuoi messaggi
Non puoi cancellare i tuoi messaggi
Non puoi inviare allegati

Cerca per:
Vai a: