Benvenuto Ospite

Forum Entomologi Italiani

www.entomologiitaliani.net/forum
 
Oggi è 22/03/2026, 21:18

Tutti gli orari sono UTC + 1 ora [ ora legale ]

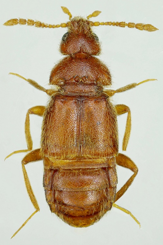
Sebaga sp. - Staphylinidae Pselaphinae Guyana Francese

IV.2014 - GUYANA FRANCESE - EE, Matiti


nuovo argomento
rispondi
Pagina 1 di 1 [ 8 messaggi ]
Autore Messaggio
MessaggioInviato: 11/05/2014, 11:38 
Avatar utente

Iscritto il: 06/02/2009, 9:03
Messaggi: 6379
Località: Bubano di Mordano (Bologna)
Nome: Augusto Degiovanni
Finalmente una bestiaccia per Loris trovato nello stesso modo in cui avevo trovato questo http://www.entomologiitaliani.net/public/forum/phpBB3/viewtopic.php?f=285&t=49989&hilit=histeridae (a proposito, per Giovanni, di quest'ultimo ne ho trovato poco fa, un altro esemplare, e nella stessa modalità, che fotograferò prossimamente ;) )

Lunghezza: 2 mm

tn_Pselaphidae Guyanese.JPG



tn_edeago.JPG



tn_Pselaphidae Guyanese - Copia.JPG


_________________
CIAO :hi: Augusto Degiovanni

http://anthicidaeecarabidae.altervista.org


Top
profilo
 Oggetto del messaggio: Re: Pselaphidae della Guyana Francese
MessaggioInviato: 11/05/2014, 12:22 
Avatar utente

Iscritto il: 09/11/2009, 14:12
Messaggi: 5196
Località: Hradec Kralove,Czech republik
Nome: Jan Matějíček
:ok: Augusto fantastico bestiola !!!!

_________________
Research Fields
Taxonomy, ecology, biomonitoring , faunistic of Staphylinidae


Top
profilo
 Oggetto del messaggio: Re: Pselaphidae della Guyana Francese
MessaggioInviato: 11/05/2014, 12:44 
Avatar utente

Iscritto il: 06/02/2009, 9:03
Messaggi: 6379
Località: Bubano di Mordano (Bologna)
Nome: Augusto Degiovanni
Grazie Jan :ok:

_________________
CIAO :hi: Augusto Degiovanni

http://anthicidaeecarabidae.altervista.org


Top
profilo
 Oggetto del messaggio: Re: Pselaphidae della Guyana Francese
MessaggioInviato: 11/05/2014, 13:08 
Avatar utente

Iscritto il: 09/11/2009, 14:12
Messaggi: 5196
Località: Hradec Kralove,Czech republik
Nome: Jan Matějíček
Supertribu EUPLECTITAE
Tribu Jubini
Genus Sebaga
=Duciola

_________________
Research Fields
Taxonomy, ecology, biomonitoring , faunistic of Staphylinidae


Top
profilo
 Oggetto del messaggio: Re: Pselaphidae della Guyana Francese
MessaggioInviato: 12/05/2014, 8:13 
Avatar utente

Iscritto il: 05/02/2009, 17:25
Messaggi: 4894
Località: Zola Predosa (BO)
Nome: Loris Colacurcio
:shock: .... S-P-L-E-N-D-I-D-A !!!
io arrivavo solo fino a Jubini. davvero una bestiola meravigliosa.

_________________
Loris


Top
profilo
 Oggetto del messaggio: Re: Pselaphidae della Guyana Francese
MessaggioInviato: 12/05/2014, 17:02 
Avatar utente

Iscritto il: 05/02/2009, 17:25
Messaggi: 4894
Località: Zola Predosa (BO)
Nome: Loris Colacurcio
Vista la provenienza, può essere un azzardo plausibile proporre: Sebaga guianensis Park 1952 :? ;)

Per le conferme del caso, sarebbe carino riuscire a trovare la descrizione di questa creatura....

_________________
Loris


Top
profilo
 Oggetto del messaggio: Re: Pselaphidae della Guyana Francese
MessaggioInviato: 12/05/2014, 18:43 
Avatar utente

Iscritto il: 09/11/2009, 14:12
Messaggi: 5196
Località: Hradec Kralove,Czech republik
Nome: Jan Matějíček
A STUDY IN NEOTROPICAL PSELAPHIDAE

http://www.uschovna.cz/zasilka/QI8AR54R ... I9ICW284LT

_________________
Research Fields
Taxonomy, ecology, biomonitoring , faunistic of Staphylinidae


Top
profilo
 Oggetto del messaggio: Re: Pselaphidae della Guyana Francese
MessaggioInviato: 12/05/2014, 21:07 
Avatar utente

Iscritto il: 09/06/2012, 20:57
Messaggi: 4283
Località: Mesola (FE)
Nome: Daniele Maccapani
Ho capito bene, sempre sotto elitre di Carabus? :?
E' un caso, o si può ipotizzare qualche comportamento foretico? :roll: (soprattutto, mi fa strano il caso dei due isteridi... Finchè era uno poteva essere un caso, ma così mi viene il dubbio! :D )

:hi:

PS: ho visto dopo l'ultimo messaggio di Giovanni nella discussione linkata :no1: Ma mi resta lo stesso il dubbio: non è proprio pensabile per questi animali che possano essere foretici? :hi:

_________________
"Lasciate questo mondo un po' migliore di come lo avete trovato" (Sir Robert Baden Powell)
Immagine Daniele


Top
profilo
Visualizza ultimi messaggi:  Ordina per  
nuovo argomento
rispondi
Pagina 1 di 1 [ 8 messaggi ]

Tutti gli orari sono UTC + 1 ora [ ora legale ]


Chi c’è in linea

Visitano il forum: Nessuno e 1 ospite


Non puoi aprire nuovi argomenti
Non puoi rispondere negli argomenti
Non puoi modificare i tuoi messaggi
Non puoi cancellare i tuoi messaggi
Non puoi inviare allegati

Cerca per:
Vai a: